МИНИСТЕРСТВО ОБРАЗОВАНИЯ РОССИЙСКОЙ ФЕДЕРАЦИИ
Казанская государственная архитектурно-строительная академия
Кафедра геодезии
Методические указания
Для выполнения контрольной работы студентами заочного обучения по направлению «Строительство»
СОСТАВЛЕНИЕ ТОПОГРАФИЧЕСКОГО ПЛАНА СТРОИТЕЛЬНОЙ ПЛОЩАДКИ. КОНТРОЛЬНАЯ РАБОТА № 1
Казань – 2010.
Составители: З.Ф. Азизова, В.С. Боровских
УДК 528.48
Составление топографического плана строительной площадки. Контрольная работа № 1. Методические указания для выполнения контрольной работы студентами заочного обучения по направлению «Строительство». Методические указания соответствуют Государственному общеобразовательному стандарту.
/Казанская государственная архитектурно-строительная академия. Сост.: З.Ф. Азизова, В.С. Боровских.
Казань, 2004. – 28 с.
Илл. 9, табл. 6.
Рецензент: доцент кафедры астрономии Казанского государственного университета В.М. Безменов
С Казанская государственная архитектурно-строительная академия
2004 г.
ОБЩИЕ МЕТОДИЧЕСКИЕ УКАЗАНИЯ
Знания и умения, приобретенные студентами в результате изучения инженерной геодезии, определяются в соответствии с квалификационными характеристиками инженера-строителя и потребностями строительного производства.
Специалист должен знать: состав и технологию геодезических работ, обеспечивающих изыскания, проектирование и строительство сооружений, основы выполнения разбивочных работ, геодезического контроля монтажа конструкций в процессе строительства и эксплуатации сооружений.
Специалист должен уметь: ставить перед геодезическими службами конкретные задачи, связанные с возведением строительного объекта на любом его этапе; курировать и направлять эти работы; квалифицированно использовать топографо-геодезические материалы для решения проектно-изыскательских задач; пользоваться основными геодезическими приборами, применяемыми на строительной площадке; самостоятельно выполнять геодезические измерения и топографические съемки небольших участков, отводимых под строительство; производить геодезические разбивочные работы и исполнительные съемки на строительной площадке, нивелировку трасс сооружений линейного типа; осуществлять контроль геометрической точности строительно-монтажных работ.
В основу изучения дисциплины положен действующий Государственный общеобразовательный стандарт по направлению «Строительство».
Забиваем Сайты В ТОП КУВАЛДОЙ - Уникальные возможности от SeoHammer
Каждая ссылка анализируется по трем пакетам оценки: SEO, Трафик и SMM.
SeoHammer делает продвижение сайта прозрачным и простым занятием.
Ссылки, вечные ссылки, статьи, упоминания, пресс-релизы - используйте по максимуму потенциал SeoHammer для продвижения вашего сайта.
Что умеет делать SeoHammer
— Продвижение в один клик, интеллектуальный подбор запросов, покупка самых лучших ссылок с высокой степенью качества у лучших бирж ссылок.
— Регулярная проверка качества ссылок по более чем 100 показателям и ежедневный пересчет показателей качества проекта.
— Все известные форматы ссылок: арендные ссылки, вечные ссылки, публикации (упоминания, мнения, отзывы, статьи, пресс-релизы).
— SeoHammer покажет, где рост или падение, а также запросы, на которые нужно обратить внимание.
SeoHammer еще предоставляет технологию Буст, она ускоряет продвижение в десятки раз,
а первые результаты появляются уже в течение первых 7 дней.
Зарегистрироваться и Начать продвижение
Студенты-заочники изучают инженерную геодезию, слушая лекции и выполняя лабораторные работы в период установочных экзаменационных сессий, самостоятельно изучая учебную литературу, выполняя контрольные работы, а также с помощью консультаций. В процессе изучения курса студенты выполняют две контрольные работы, которые представляются для рецензирования в установленные сроки. По дисциплине предусмотрены два зачета и один экзамен.
Успешному усвоению учебного материала по инженерной геодезии способствует посещение лекций и лабораторных занятий во время установочных и экзаменационных сессий. Учебники и учебные пособия предназначены для очной формы обучения и не учитывают специфику заочного обучения. Поэтому методические рекомендации преподавателя по изучению теоретического курса приобретают первостепенное значение.
Важный элемент заочного обучения – систематическая работа студента в межсессионный период. Студенты-заочники, руководствуясь программой курса, методическими рекомендациями преподавателя и настоящими методическими указаниями, изучают самостоятельно учебник «Инженерная геодезии» Д.Ш. Михелева.-М.: Высшая школа, 2004.
Основной отчетный документ, определяющий качество изучения учебного материала, - контрольная работа. Контрольные работы выполняются в соответствии с шифром студента и указаниями к выполнению работы. При составлении ответов на контрольные вопросы и задания надо показать, что учебный материал проработан и усвоен. Ответы должны быть исчерпывающими и обоснованными, при необходимости дополнены чертежами и рисунками. Решения задач должны сопровождаться кратким пояснительным текстом, в котором указывается какая величина вычисляется и по какой формуле, какие числовые значения подставляются в формулы и откуда они берутся; надо показать ход решения задач. Оформлять контрольные работы следует четко, чернилами. После рецензирования контрольных работ студенту сообщается отзыв об их качестве.
КОНТРОЛЬНАЯ РАБОТА № 1.
Целью контрольной работы №1 является построение топографического плана по результатам геодезических измерений. Работа состоит из трех заданий, выполняемых в «Тетради для выполнения контрольной работы». Решение всех задач, входящих в данную работу, высылаются на рецензирование одновременно.
ЗАДАНИЕ 1. Вычисление исходных дирекционных углов; решение прямой геодезической задачи.
Сервис онлайн-записи на собственном Telegram-боте
Попробуйте сервис онлайн-записи VisitTime на основе вашего собственного Telegram-бота:
— Разгрузит мастера, специалиста или компанию;
— Позволит гибко управлять расписанием и загрузкой;
— Разошлет оповещения о новых услугах или акциях;
— Позволит принять оплату на карту/кошелек/счет;
— Позволит записываться на групповые и персональные посещения;
— Поможет получить от клиента отзывы о визите к вам;
— Включает в себя сервис чаевых.
Для новых пользователей первый месяц бесплатно.
Зарегистрироваться в сервисе
ЗАДАЧА 1.1. Вычислить дирекционные углы линий ВС и СД, если известен дирекционный линии АВ и измеренные правые по ходу углы β1 и β2 (см. рис.1).
Исходный дирекционный угол линии АВ берется в соответствии с шифром и фамилией студента: число градусов равно двузначному числу, состоящему из двух последних цифр шифра; число минут равно 30.2 плюс столько минут, сколько букв в фамилии студента.
Например: Зуев, шифр – 1101229, αАВ=29˚34.2΄.
Правый угол при точке В (между сторонами АВ и ВС) для всех вариантов равен, β1=189˚59.2΄ ; правый угол при точке С (между сторонами ВС и СД) для всех вариантов равен, β2 =159˚28.0΄ .
Дирекционные углы вычисляют по правилу: дирекционный угол последующей стороны равен дирекционному углу предыдущей стороны плюс 180˚ и минус горизонтальный угол, справа по ходу лежащий.
Следовательно:
αВС = αАВ +180˚ - β1 ; αСD = αВС +180˚ - β2 .
Пример. Вычисление дирекционных углов выполняем столбиком:
αАВ ……………………… 29˚34.2΄+
180˚
209˚34.2΄ - 189˚59.2΄
αВС……………………… 19˚35.0΄ +
180˚ 199˚35.0΄ -
159˚28.0΄ αСD………………………40˚07.0΄
Примечание. Если при вычислении уменьшаемое окажется меньше вычитаемого, то к уменьшаемому прибавляем 360˚. Если дирекционный угол получается больше 360˚, то из него вычитают 360˚.
ЗАДАЧА 1.2. Решение прямой геодезической задачи.
Найти координаты Хс и Ус точки С (см. рис.1), если известны координаты точки В, равные Хв=-14.02 м, Ув=+627.98 м, длина (горизонтальное проложение) линии ВС, равное dвс=239.14 м и дирекционный угол линии ВС. Дирекционный угол линии ВС следует взять из решения предыдущей задачи.
Координаты точки С вычисляются по формулам: Хс=Хв+ΔХвс, Ус=Ув+ΔУвс, где ΔХвс и ΔYвс – приращения координат, вычисляемые из соотношений ΔXbc=dbc xcos α bc, ΔYbc=dbc x sin α bc.
Вычисление приращений координат рекомендуется вести на ПЭВМ или микрокалькуляторах. В этом случае знаки приращений координат устанавливаются в зависимости от знаков sin и cos.
Приращения координат можно вычислить предварительно переведя дирекционные углы в румбы, пользуясь табл.1. Тогда знаки вычисленных приращений координат определяют по названию румба, руководствуясь также табл.1.
Перевод дирекционных углов в румбы, знаки приращений координат. Таблица 1.
| Четверть
|
Формула перевода
|
Знаки приращений координат
|
| Номер
|
название
|
ΔХ
|
ΔY
|
| I
II
III
IV
|
СВ
ЮВ
ЮЗ
СЗ
|
r = α
r = 180˚ - α
r = α - 180˚
r = 360˚ - α
|
+
-
-
+
|
+
+
-
-
|
Пример. Дано dbc=239.14 м, αbc=19˚35΄ .Выполнив вычисления, получаем Δ Xbc=+225.31 м и ΔYbc=+80.15 м.
Координаты точки С получаем алгебраическим сложением координат точки В с приращениями по линии ВС, действуя по схеме
Xc=Xb + ΔXbc=-14.02+225.31=+211.29 м,
Yc=Yb + ΔYbc=+627.98+80.15=+708.13 м.
Задачи решают в тетради, решение каждой из них должно сопровождаться схематичным чертежом, соответствующим выполняемому варианту.
В задаче 1.1 пример подобран так, что вычисленный дирекционный угол αсд последней линии должен получится на 10 ˚32.8΄больше, чем исходный дирекционный угол αав. Это должно служить контролем правильности решения задачи 1.1.
Решение задачи 1.2 непосредственно не контролируется. К ее
решению необходимо подойти особенно внимательно, так как вычисленные координаты точки С будут использоваться в задании 2.
ЗАДАНИЕ 2. Составление топографического плана строительной площадки.
По данным полевых измерений выполнить обработку и вычертить топографический план строительной площадки в масштабе 1:2000 с высотой сечения рельефа 1 м.
ИСХОДНЫЕ ДАННЫЕ.
1. Для съемки участка на местности между двумя пунктами полигонометрии ПЗ8 и ПЗ19 проложен теодолитно-высотный ход. В нем измерены длины всех сторон (рис. 2), а на каждой вершине хода – правый по ходу горизонтальный угол и углы наклона на предыдущую и последующую вершины. Результаты измерений горизонтальных углов и длин линий даны в табл.2, а результаты тригонометрического нивелирования даны в табл.4 и 4а. Эти данные являются общими для всех вариантов. Измерение углов проводилось оптическим теодолитом 2Т30 с точностью отчетов 0.5΄ .
Результаты измерений углов и длин сторон.
Таблица 2.
| № вершин
|
Измеренные углы (правые)
|
Длины сторон (гор. Проложения), в м.
|
| ˚
|
΄
|
ПЗ8
|
330
|
59.2
|
| 1
|
50
|
58.5
|
263.02
|
| 11
|
161
|
20.0
|
239.21
|
| 111
|
79
|
02.8
|
269.80
|
ПЗ19
|
267
|
08.2
|
192.98
|




2. Известны координаты полигонометрических пунктов ПЗ8 и ПЗ19 (т.е. начальной и конечной точек хода): Xпз8=-14.02 м, Yпз8=+627.98 для всех вариантов; Xпз19 принимается равным Xc, а Yпз19-значению Yc, полученные при решении задачи 2 в задании 1.
Известны также исходный αо и конечный αn дирекционные углы:
αо – дирекционный угол направления ПЗ7 – ПЗ8 берется в соответствии с шифром и фамилией студента также, как и в задании 1. Таким образом αо = αав ;
αn - дирекционный угол стороны ПЗ19 – ПЗ20 для всех студентов принимается равным дирекционному углу линии CD, вычисленному в задача 1, т.е. αn =αcd . Так в нашем примере αо = αав =29˚34.2΄, αn =αcd =40˚07.0΄.
3. Отметки пунктов ПЗ8 и ПЗ19 были получены из геометрического нивелирования. При выполнении же задания значение отметки ПЗ8 следует принять условно: количество целых метров в отметке должно быть трехзначным числом, в котором количество сотен метров равно единице, а количество десятков и единиц метров составляют две последние цифры шифра студента. В дробной части отметки (дм, см, мм) ставятся те же цифры, что и в целой части например: Зуев – шифр – 1101229, то отметка пункта ПЗ8 будет равна 129.129 м. Отметка ПЗ19 для всех студентов принимается на 3.282 м больше отметки ПЗ8.
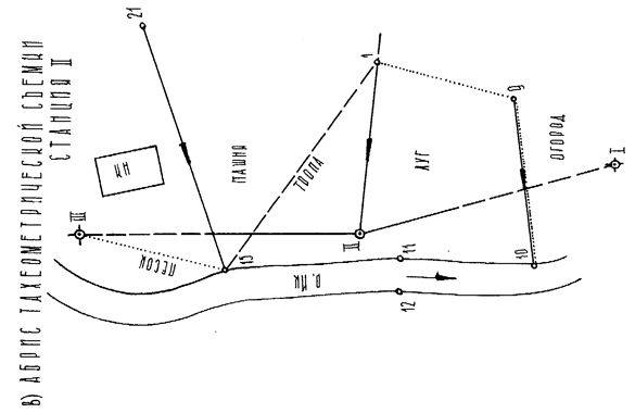
4. При съемке участка местности были составлены абрисы съемки, показанные на рис. 3, а и б, и рис. 4, а-г.
УКАЗАНИЯ К ВЫПОЛНЕНИЮ РАБОТЫ.
1. Обработка ведомости вычисления координат вершин хода.
1.1. Увязка угловых измерений.
Значения измеренных углов записывают в графу 2 ведомости вычисления координат (см. табл.3). В графе 4 записывают и подчеркивают исходный дирекционный угол αо на верхней строчке и конечный дирекционный угол αn на нижней строчке. Вычисляют сумму измеренных углов хода Σβпр . Определяют теоретическую сумму углов по формуле: Σβт = αо – αn +180˚ х n, здесь n – число вершин хода.
Находим угловую невязку: fβ = Σβпр – Σβт .
Если невязка fβ не превышает допустимой величины: fβ доп.=1΄х √n, то ее распределяют с обратным знаком поровну на все углы хода с округлением значений поправок до десятых долей минуты. Исправленные этими поправками углы записывают в графу 3 ведомости, Сумма исправленных углов должна равняться теоретической сумме.
1.2. Вычисление дирекционных углов и румбов сторон хода.
По исходному дирекционному углу αо и исправленным значениям углов β хода по формуле для правых углов вычисляют дирекционные углы всех остальных сторон: дирекционный угол последующей стороны равен дирекционному углу предыдущей стороны плюс 180˚ и минус правый исправленный угол хода, образованный этими сторонами.
Например: αпз8-1 = αо + 180˚ - βпз8 =29˚34.2΄ + 180˚ + 360˚ - 330˚58.9΄=238˚35.3΄.
Для контроля вычисления дирекционных углов следует найти конечный дирекционный угол αn по дирекционному углу α111-пз19 последней стороны и исправленному углу βпз19 (см. рис.2):
αn = α111-пз19 + 180 – βпз19 .
Это вычисленное значение αn должно совпасть с заданным дирекционным углом αn . При переходе от дирекционных углов к румбам см. табл.1.
Значения дирекционных углов записывают в графу 4 ведомости с точностью до десятых долей минут, а румбов – в графу 5, при этом
значения румбов округляют до целых минут.
1.3 Вычисление приращений координат.
Приращения координат вычисляют по формулам:ΔX =d x cos α=d x cos r; ΔY = d x sin α = d x sin r; так же, как в задаче 2 задания 1.
Вычисленные значения приращений координат ΔX и ΔY выписывают в графу 7 и 8 ведомости с точностью до сотых долей метра. Знаки приращений координат устанавливают в зависимости от знаков sin α и cos α, либо по названию румба, руководствуясь табл.1. В каждой из граф складывают все вычисленные значения ΔX и ΔY, находя практические суммы приращений координат Σ ΔXпр и Σ Δyпр.
1.4. Нахождение абсолютной и относительной линейных невязок хода; увязка приращений координат.
Сначала вычисляют невязки fx и fy в приращениях координат по осям x и y: fx = Σ ΔXпр - Σ ΔXт ; fy = Σ Δyпр - Σ Δyт ; где Σ ΔXт = Xкон. – Xнач. , Σ Δyт = Yкон. – Yнач. Теоретические суммы приращений координат вычисляются как разность абсцисс и ординат конечной ПЗ19 и начальной ПЗ8 точек хода. Координаты начальной и конечной точек хода записывают в графах 11 и 12 и подчеркивают.
Абсолютную линейную невязку ΔР хода вычисляют по формуле:
ΔР = √ f ²x + f ²y и записывают с точностью до сотых долей метра.
Относительная линейная невязка ΔР/Р хода (Р - сумма длин сторон хода) выражается простой дробью с единицей в числителе. Если относительная невязка окажется меньше допустимой 1/2000, то невязки fx и fy распределяют, вводя поправки в вычисленные приращения координат. Поправки в приращения распределяют прямо пропорционально длинам сторон, записывают в графе 6, и вводят со знаком, обратным знаку соответствующей невязки. Значения поправок округляют до сотых долей метра и записывают в ведомости над соответствующими приращениями, следя за тем, чтобы суммы поправок в ΔX и Δy равнялись соответственно невязкам fx или fy с противоположным знаком. Исправленные приращения координат записывают в графы 9 и 10; суммы исправленных приращений координат должны быть равны соответственно Σ ΔXт и Σ Δyт.
Пример в задании подобран так, чтобы невязка ΔР/Р получилась допустимой. Если эта величина окажется больше 1/2000, значит в вычислениях допущена ошибка. Чаще всего ошибки встречаются при вычислениях дирекционных углов, при переводе дирекционных углов в румбы, в знаках приращений и при вычислении приращений.
Ведомость вычисления координат вершин теодолитного хода.
Таблица 3.
| № вершин хода
|
Измеренные углы
|
Исправленные углы
|
Дирекционные углы
|
Румбы r
|
Длины линий (гориз. пролож.)
d
|
Приращения координат, м
|
Координаты
|
№ вершин хода
|
| Вычисленные
|
Исправленные
|
| ±
|
Δх
|
±
|
Δу
|
±
|
Δх
|
±
|
Δу
|
±
|
х
|
±
|
у
|
| ˚
|
΄
|
˚
|
˚
|
΄
|
назв
|
˚
|
΄
|
| 1
|
2
|
3
|
4
|
5
|
6
|
7
|
8
|
9
|
10
|
11
|
12
|
13
|
| ПЗ 7
|
-
|
-
|
-
|
-
|
29
|
34,2
|
-
|
-
|
-
|
-
|
-
|
ПЗ 7
|
| ПЗ 8
|
330
|
-0,3
59,2
|
330
|
58,9
|
-
|
14,02
|
+
|
627,98
|
ПЗ 8
|
| 238
|
35,3
|
ЮЗ
|
58
|
35
|
263,02
|
-
|
+6
137,10
|
-
|
-5
224,46
|
-
|
137,04
|
-
|
224,51
|
| I
|
50
|
-03
58,5
|
50
|
58,2
|
-
|
151,06
|
+
|
403,47
|
I
|
| 7
|
37,1
|
СВ
|
7
|
37
|
239,21
|
+
|
+5
237,10
|
+
|
-4
31,71
|
+
|
237,15
|
+
|
31,67
|
| II
|
161
|
-0,3
20,0
|
161
|
19,7
|
+
|
86,09
|
+
|
435,14
|
II
|
| 26
|
17,4
|
CB
|
26
|
17
|
269,80
|
+
|
+6
241,91
|
+
|
-5
119,47
|
+
|
241,97
|
+
|
119,42
|
| III
|
79
|
-0,3
02,8
|
79
|
02,5
|
+
|
328,06
|
+
|
554,56
|
III
|
| 127
|
14,9
|
ЮВ
|
52
|
45
|
192,98
|
-
|
+4
116,81
|
+
|
-4
153,61
|
-
|
116,77
|
+
|
153,57
|
| ПЗ19
|
267
|
-0,3
08,2
|
267
|
07,9
|
+
|
211,29
|
+
|
708,13
|
ПЗ19
|
| 40
|
07,0
|
-
|
-
|
-
|
| ПЗ20
|
-
|
-
|
-
|
-
|
-
|
-
|
ПЗ20
|
| Σβт=а0 – аn + 180º х n= 29º34,2’ - 40º07,0’ +
+ 180º x 5 = 889º27,2’
fβдон = ±1’ √n = ±1’√5 =
=±0º02.2’
|
Р = 965,01
ΣΔпр
|
+
|
479,01
|
+
|
304,79
|
+
|
479,12
|
+
|
304,66
|
| Σβпр
|
889
|
28,7
|
889
|
27,2
|
| -
|
253,91
|
-
|
224,46
|
-
|
253,81
|
-
|
224,51
|
| Σβт
|
889
|
27,2
|
889
|
27,2
|
| +
|
225,10
|
+
|
80,33
|
| fβ
|
+0
|
01,5
|
0
|
00,0
|
| ΣΔт
|
+
|
225,31
|
+
|
80,15
|
+
|
225,31
|
+
|
80,15
|
|  fβдон
|
±0
|
02,2
|
| f
|
-
|
0,21
|
+
|
0,18
|
|  
|
| ΔР =√f²х + f²у = √(0,21)² + (0,18)² ≈ 0,28 м
(ΔР / Р) = (0,28 / 965,01) ≈ (1 / 3400) < 1 / 2000
|
1.5. Вычисление координат вершин хода
.
Координаты вершин хода получают путем последовательного алгебраического сложения координат предыдущих вершин с соответствующими исправленными приращениями:
X1 = Xпз8 + ΔXпз8-1 ; X11 = X1 + ΔX1-11 и т. д. Контролем правильности вычислений являются полученные известные координаты конечной точки ПЗ19 хода.
2. Обработка тахеометрического журнала.
В табл.4 приведена часть журнала тахеометрической съемки, в котором студент должен обработать результаты измерений, выполненных на станции ПЗ19.
2.1. Вычисление место нуля вертикального круга и углов наклона
.
Из отсчетов по вертикальному кругу при «круге лево» (кл) и «круге право» (кп) на предыдущую и последующую станции дважды вычисляют место нуля (МО). Для оптического теодолита 2Т30, которым была выполнена тахеометрическая съемка: МО=(КЛ+КП)/2.
При наведении со станции ПЗ19 на станцию 111:
МО=(-1˚ 34 ΄ + 1˚ 35.5΄)/2 =+0˚ 00.75΄ = +0˚00.8΄.
Углы наклона ν на предыдущую и последующую точки теодолитно-высотного хода вычисляют с контролем по формуле:
ν = (КЛ – КП)/2=КЛ – МО= МО – КП,
и записывают со своим знаком (плюс или минус) в графу 6.
При наблюдении со станции ПЗ19 на станцию 111 угол наклона:
ν =(-1˚ 34 ΄-1˚ 35.5΄)/2= -1˚ 34.75΄= -1˚ 34.8΄,
ν =-1˚ 34 ΄-0˚ 00.75΄= -1˚ 34.75΄= -1˚ 34.8΄,
ν =+0˚ 00.75 ΄-1˚ 35.5΄= -1˚ 34.75΄= -1˚ 34.8΄.
Значение МО для направления на ПЗ20 следует вычислить самостоятельно. Полученные на станции ПЗ19 два значения МО не должны различаться более чем на двойную точность отсчетного приспособления теодолита; записывают их в графе 5 табл.4 на соответствующих строчках. Далее из этих двух значений МО выводят среднее арифметическое, округляют до целых минут и используют для вычисления углов наклонов на реечные точки:
ν = КЛ – МО.
Углы наклона на реечные точки также записывают в графу 6 табл.4.
2.2 Вычисление горизонтальных проложений и превышений
.
Значения горизонтальных расстояний между вершинами теодолитно-высотного хода переписывают в графу 7 табл.4 из ведомости вычисления координат (табл.3). Вычисление горизонтальных проложений d от станций до реечных точек производят по значениям расстояний D΄ (табл.4, графа 2), полученных по нитяному дальномеру: d = D ΄х cos ² ν.
Превышения h точек относительно станции вычисляют по формуле: h = h ΄ + i – l , где i – высота прибора на станции, l – высота наводки на рейку (табл.4, графа 9).
При вычислениях превышений по сторонам теодолитно-высотного хода, длины которых измерены стальной землемерной лентой: h΄ = d x tg ν.
При определении превышений на реечные точки, расстояния до которых измерялись по нитяному дальномеру: h΄ =( D΄/2) x sin 2ν.
Для вычислений d и h лучше использовать микрокалькулятор. Значения горизонтальных проложений d записывают в графу 7 журнала с округлением до десятых долей метра. Если угол наклона меньше 2˚, то горизонтальное проложение принимают практически равным измеренному расстоянию.
Вычисленные значения h ΄ записывают в графу 8 с округлением до сотых долей метра. В графу 10 записывают значения превышений h. Если при визировании на точку труба теодолита наводилась на высоту, равную высоте прибора (i=l), то h = h ΄ и значения превышений из графы 8 без изменений переписывают в графу 10.
Результаты измерений, выполненных на станциях ПЗ8, 1,11 и 111, обработаны почти полностью и для этих станций, вместо журнала тахеометрической съемки, в табл. 4а приведена выписка из его граф 1,3,7,10,11 и 12. Данные в графах 1-4 этой таблицы – общие для всех студентов, а отметки станций и реечных точек в графах 5,6 каждый студент находит самостоятельно.
2.3 Вычисление отметок станций
.
Вычисление отметок станций выполняют в «Ведомости увязки превышений теодолитно-высотного хода и вычисления отметок станций» (табл. 5). Известные отметки Hпз8 и Hпз19 , округленные до сотых долей метра , записывают в графу 8 на первой и последней строчках ведомости. Из журнала тахеометрической съемки выписывают значения прямых hпр и обратных hобр превышений по сторонам хода, вычисляют средние значения hср этих превышений. Затем определяют Σhср полученных превышений, вычисляют теоретическое значение суммы превышений, равное разности известных отметок конечной и начальной точек хода:
Σhт = Hкон - Hнач , находят невязку хода fh = Σhср – Σhт и ее допустимое значение fhдоп =0.20 м х √ L, где L – длина хода в км.
В графе 6 ведомости в превышения введены поправки пропорционально длинам сторон хода. Данные в графах 1-7 и 9 – общие для всех студентов; отметки в графе 8 вычисляются студентом самостоятельно. Отметки станций вычисляют по известной отметке Hпз8 станции ПЗ8 и исправленным превышениям hиспр и записывают в графу 8: H1 =Hпз8 + hпз8-1 ; H11 = H1 + h1-11 и т.д. Контролем правильности вычислений является получение известной отметки станции ПЗ19, записанной ранее в графу 8.
2.4. Вычисление отметок реечных точек
.
Вычисленные отметки станций переписывают в графу 11 табл.4 и графу 5 табл.4а на одной строчке с номером той станции, к которой данная отметка относится. Отметки станций подчеркивают.
Отметки реечных точек на каждой станции студент вычисляет самостоятельно путем алгебраического сложения отметки данной станции с
Тахеометрический журнал.
Таблица 4.
| Номера точек налюдения
|
Отсчеты
|
Место нуля
М 0
|
Угол наклона v
|
Горизонтальное проложение d=
D’
cos²
v
|
h’=(
D’/2)
sin 2
v
Или
h’=
d
tg v
|
Высота наводки
l
|
Превышение
h=
h’+
i-
l
|
Отметки H
|
примечания
|
| По нитяному дальномеру D’=
Kn
|
По горизонтальному кругу
|
По вертикальному кругу
|
| ˚
|
‘
|
˚
|
‘
|
˚
|
‘
|
| 1
|
2
|
3
|
4
|
5
|
6
|
7
|
8
|
9
|
10
|
11
|
12
|
| Станция ПЗ 19, i
= 1,40
|
132,41
|
Оптический теодолит 2Т30 № 45686 с точностью отсчетов по шкаловому микроскопу 0,5’.
Коэффициент нитяного дальномера К
= 100,0; постоянное слогаемое с ≈
0
Съемка произведена 6.05.01
Вычислял студент Боровских И.В.
ПГС – 03-101
|
| ПЗ 20
|
-
|
-
|
-
|
КП 0
|
32,5
|
| III
|
-
|
-
|
-
|
1
|
35,5
|
| ПЗ 20
|
-
|
-
|
-
|
КЛ –0
|
30,5
|
…
|
-
|
-
|
-
|
-
|
3,00
|
-
|
-
|
| III
|
-
|
0
|
00
|
-1
|
34
|
+0,8’
|
-1
|
34,8
|
192,98
|
-5,32
|
3,00
|
-6,92
|
-
|
| 18
|
86,2
|
29
|
31
|
-2
|
05
|
l = i
|
…
|
| 19
|
56,2
|
69
|
28
|
-2
|
16
|
l = i
|
…
|
| 20
|
48,0
|
165
|
26
|
-3
|
23
|
l = i
|
…
|
| 21
|
103,2
|
288
|
07
|
-0
|
52
|
3,00
|
…
|
| 22
|
60,3
|
340
|
11
|
-2
|
49
|
l = i
|
…
|
Выписка из тахеометрического журнала.
Таблица 4а.
| Номера точек наблюдения
|
Отсчеты по горизонтальному кругу
|
Горизонтальные проложения
|
Превышения
|
Отметки
|
Примечания
|
| ˚
|
‘
|
станций
|
Реечных точек
|
| 1
|
2
|
3
|
4
|
5
|
6
|
7
|
| I
1
2
3
3а
4
|
0
57
140
181
238
345
|
00
50
05
10
00
00
|
Станция ПЗ 8
|
129,13
|
126,81
129,33
-
-
129,18
|
т. 3 – на грунтовой дороге
|
| -
111,2
61,8
66,0
13,6
82,1
|
-4,17
-2,32
+0,20
-
-
+0,05
|
| II
ПЗ 8
5
6
7
8
9
|
-
0
13
52
148
175
327
|
-
00
00
05
30
58
45
|
Станция 1
|
124,95
|
129,00
126,97
124,15
-
127,01
|
т. 7,8 – на линии уреза воды
|
| -
-
149,6
68,0
11,8
25,2
147,8
|
-0,30
+4,13
+4,05
+2,02
-0,80
-
+2,06
|
| III
I
10
11
12
13
|
-
0
27
50
66
182
|
-
00
08
28
48
43
|
Станция II
|
124,65
|
124,42
-
-
124,62
|
т. 10 – 13 – на линии уреза воды
|
| -
-
98,3
24,6
34,4
62,1
|
+0,90
+0,26
-0,23
-
-
-0,03
|
| ПЗ 19
II
14
15
16
17
|
-
0
24
56
128
143
|
-
00
41
23
00
19
|
Станция III
|
125,53
|
124,77
124,90
-
124,93
|
т. 14 – 17 – на линии уреза воды
|
| -
-
102,8
44,1
38,0
25,6
|
+6,87
-0,92
-0,76
-0,63
-
-0,60
|
Ведомость увязки превышений теодолитно-высотного хода
и вычисления отметок станций.
Таблица 5.
| Номера станций
|
Горизонтальные проложения d
|
Превышения
|
Поправки в превышения
|
Исправленные превышения
h
испр
|
Отметки станций
H
|
Номера станций
|
| Прямые
h
пр
|
обратные
h
обр
|
средние
h
ср
|
| 1
|
2
|
3
|
4
|
5
|
6
|
7
|
8
|
9
|
| ПЗ 8
|
263,02
|
-4,17
|
+4,13
|
-4,15
|
-0,03
|
-4,18
|
129,13
|
ПЗ 8
|
| I
|
124,95
|
I
|
| 239,21
|
-0,30
|
+0,26
|
-0,28
|
-0,02
|
-0,30
|
| II
|
124,65
|
II
|
| 269,80
|
+0,90
|
-0,92
|
+0,91
|
-0,03
|
+088
|
| III
|
125,53
|
III
|
| 192,98
|
+6,87
|
-6,92
|
+6,90
|
-0,02
|
+6,88
|
| ПЗ 19
|
132,41
|
ПЗ 19
|
| Р
=
|
965,01
|
∑h
ср=
|
+7,81
-4,43
|
-0,10
∑h
испр=
|
+7,76
-4,48
|
| +3,38
|
+3,28
|
| ∑h
т = H
ПЗ 19 – H
ПЗ 8 = 132,41 – 129,13 = +3,28
f
h
=
∑h
ср - ∑h
т = +3,38 – (+3,28) = +0,10
f
h
доп = ±0,20 м √L
= ±0,20 м.
|
соответствующими превышениями. Полученные отметки записывают в графу 11 табл. 4 и в графу 6 табл. 4а.
3. Построение топографического плана
.
3.1. Построение координатной сетки
Координатную сетку в виде квадратов со стороной по 10 см вычерчивают на листе ватмана размером не менее 40 х 40 см. Необходимое количество квадратов сетки рассчитывают, исходя из полученных значений координат вершин теодолитного хода (см. табл.3) и масштаба построения плана 1:2000.
Сетку вычерчивают остро отточенным карандашом. Построение координатной сетки необходимо тщательно проконтролировать. Пользуясь циркулем-измерителем, сравнивают между собой диагонали квадратов. Расхождения в их длинах допускается не более
0.2 мм. Если расхождения получаются больше, сетку строят заново.
Координатную сетку оцифровывают так, чтобы теодолитный ход размещался примерно в середине листа бумаги. Так, для примера, приведенного в «Ведомости вычисления координат вершин теодолитного хода» (табл.3), была бы удобна оцифровка, показанная на рис. 5,а.
3.2. Построение теодолитного хода по координатам его вершин
.
Вершины хода наносят на план по их вычисленным координатам (табл. 3, графы 11,12) с помощью циркуля-измерителя и масштабной линейки. Например, требуется нанести точку с координатами X=-14.02 м и Y=+627.98 м . Сначала выясняют в каком квадрате должна лежать эта точка: по оси X точка должна находится между линиями сетки с абсциссами 0 и –200, а по оси Y – между линиями сетки с ординатами +600 и +800 (рис.5,а). От линии с абсциссой 0 по вертикальным сторонам квадрата откладывают вниз расстояние 14.02 м (рис. 5,б) и проводят линию параллельно линии с абсциссой 0 м. Вдоль этой линии от вертикальной линии сетки с ординатой +600 откладывают вправо расстояние 627.98 – 600 = 27.98 м.
Полученную точку отмечают слабым наколом иглы циркуля-измерителя и обводят окружностью диаметром 1.5 мм; внутрь этой окружности никакие линии проводить нельзя. Рядом в виде дроби записывают: в числителе – номер точки, а в знаменателе – взятую из табл. 5 ее отметку с точностью до сотых долей метра.
Нанесение точек хода необходимо проконтролировать. Для контроля измеряют расстояния между нанесенными вешинами: получившиеся на плане длины сторон хода должны отличатся от записанных в графе 6 ведомости вычислений координат не более чем на 0.2 мм в масштабе составляемого плана.
Последующие графические работы по составлению плана каждый студент выполняет по одному из двух вариантов «а» или «б».
3.3 Нанесение на план реечных точек
.
Реечные точки наносят на план с помощью циркуля-измерителя, масштабной линейки и транспортира. Данные для нанесения берут из тахеометрического журнала (табл.4 и 4а).
Вариант «а»:
студенты, фамилии которых начинаются с букв А,Б,В,…,К, наносят реечные точки 1,3а,4-12, так как им следует изобразить ситуацию и рельеф местности в пределах участка, ограниченного линией ПЗ8 – 11, рекой и шоссейной дорогой.
Вариант «б»
: студенты, фамилии которых начинаются с букв Л.М,Р,…,Я, наносят реечные точки 1-3,3а,11-22, изображая ситуацию и рельеф в пределах участка, ограниченного линией ПЗ8-11, рекой, линией 17-19, грунтовой и шоссейной дорогами.
При съемке на станции ПЗ8 лимб теодолита был ориентирован по направлению на станцию 1 (отсчет по горизонтальному кругу на станцию 1 равен 0˚00΄ - табл. 4а, графа 2). С помощью транспортира вправо по ходу часовой стрелки от направления ПЗ8 – 1 откладывают горизонтальные углы (отсчеты по горизонтальному кругу), измеренные при визировании на реечные точки 1,2,3,3а и 4 (см. рис. 6). Получив на плане направления на эти


Надписи к условным знакам в контрольной работе №1
Пересечение координатных линий (вычерчивается зеле ной тушью)
Пункт полигонометрии (полигонометрический знак)
Точка съемочного обоснования
Реечная точка
Строение 4-этажное, каменное, нежилое
Шоссе (кюветы – четыре крайние линии – зеленой тушью)
Грунтовые дороги
Тропа пешеходная
Границы контуров
Огород, пашня (шрифт – курсив, высота 2мм)
Река с отметкой уреза воды и стрелкой напр-я течения
(берега реки-зеленой тушью, река- синяя отмывка)
Лес хвойный, лес лиственный (высота-2,5мм, ширина-1.5мм)
Лес вырубленный
Луг ( условные знаки расставляют в шахматном порядке)
Пески (точки ставятся коричневой тушью)
Горизонталь с отметкой и бергштрихом
(вычерчиваются коричневой тушью)
реечные точки, от станции ПЗ8 по ним откладывают в масштабе 1:2000 значения соответствующих горизонтальных расстояний (табл. 4а, графа 3).
При съемке со станций 1, 11,111, ПЗ19 лимб ориентировали по направлению на предыдущую заднюю станцию. Поэтому при нанесении реечных точек на план горизонтальные углы на этих станциях надо откладывать по часовой стрелке от направления на предыдущую станцию (рис. 7).
Нанесенную на план реечную точку отмечают слабым наколом иглы циркуля-измерителя и обводят кружочком диаметром 1.0 мм. Рядом карандашом подписывают в виде дроби номер точки и ее отметку с округлением до сотых долей метра. Реечные точки7, 10, 13-15 и 17, в которых были определены отметки уреза воды в реке, надо обвести окружностями диаметром 1.2 мм , указав отметки уреза воды с точностью до сотых долей метра. Возле остальных реечных точек, взятых на линии уреза воды, подписывают только их номера.
3.4. Изображение ситуации на плане
.
Накладку ситуации производят в масштабе 1:2000 по абрисам съемки зданий (см. рис. 3) и абрисам тахеометрической съемки (см. Рис. 4,а-г).
Вариант «а»
: используются абрис съемки здания (рис. 3,а) и абрисы тахеометрической съемки (рис. 4,а-в). Шоссе наносится по реечным точкам 3а, 5 и 6; ширина его 22м в пределах участка съемки везде одинаковая. Линия уреза воды в реке Ик проводится по реечным точкам7, 10, 11 и 8, 12; ширина реки определяется взаимным положением точек 7 и 8, 11 и 12.
Вариант «б»
: используется абрис съемки здания (рис. 3,б) и абрисы тахеометрической съемки (рис. 4,а, в, г). Шоссе и грунтовая дорога наносятся по реечным точкам 3а, 3, 20, 19; ширина шоссе 22м и грунтовой дороги 6 м в пределах участка съемки сохраняются постоянными. Линия уреза воды в реке Ик проводится по реечным точкам 11, 13, 14, 15, 17 и 12, 16; ширина реки определяется взаимным положением точек 11 и12, 16 и 17.
3.5 Рисовка рельефа на плане
.
По отметкам станций и реечных точек на плане проводят горизонтали с сечением рельефа 1 м. Следы горизонталей следует отыскивать графической интерполяцией; ее выполняют только между точками, которые в абрисах съемки соединены стрелками. Соединение каких-либо двух точек в абрисе стрелкой говорит о том, что местность между ними имеет один скат без перегибов, направление по которому сверху вниз и указывает стрелка. Приступая к изображению рельефа, точки на плане, между которыми в абрисе имеются стрелки, соединяют карандашом тонкими вспомогательными линиями. Интерполяция выполняется по намеченным линиям. Найденные интерполяцией следы одноименных горизонталей соединяют плавными кривыми и таким образом получают горизонтали. Отметки горизонталей, кратные 5 м, подписывают в разрывах горизонталей; при этом верх цифр должен быть обращен в сторону повышения ската местности. При некоторых


горизонталях ставятся бергштрихи в направлениях характерных линий рельефа; бергштрих обязательно ставят при каждой замкнутой горизонтали.
Через контуры зданий, шоссе и грунтовую дорогу горизонтали не проводят.
3.6 Построение графика заложений
.
В нижней части плана строят график заложений для уклонов. Задаваясь уклонами 0.01, 0.02, 0.03, 0.04, 0.05, 0.06, 0.07 и высотой сечения рельефа 1 м составляемого плана, вычисляют соответствующие заложения. Исходной формулой для вычислений является формула уклона: i = h/d , здесь i – уклон линии; h – превышение (в нашем случае – высота сечения рельефа); d – заложение. Например: для уклона i =0.02 вычисляем заложение d = 1.0 м/0.02 = 50.0 м, которое в масштабе плана составит 25.0 мм.
По одной оси графика откладывают значения уклонов, отложив через 5 мм шесть равных отрезков , у концов которых подписывают значения уклонов от 0.01 до 0.07 через 0.01. На концах отложенных отрезков восстанавливают перпендикуляры, по которым откладывают в масштабе 1:2000 соответствующие уклонам значения заложений. Через концы отложенных заложений проводят плавную кривую линию по лекалу.
3.7 Оформление топографического плана строительной площадки
.
Все контуры и рельеф, изображаемые на плане, вычерчиваются тушью в соответствии с условными знаками. При этом можно руководствоваться образцами условных знаков, приведенных на рис. 8 и при вычерчивании необходимо тщательно выдерживать очертания и размеры условных знаков.
Береговые линии реки и кружочки, обозначающие реечные точки 7, 10, 13-15 и 17, в которых были определены отметки уреза воды, вычерчивают зеленой тушью. Зеленой тушью проводят и по две крайние линии (кюветы) с обеих сторон шоссе.
При вычерчивании элементов рельефа горизонтали проводят коричневой тушью. Толщина горизонталей должна быть 0.1 мм, а горизонтали с отметками, кратными 10 м, утолщают в 2.5 раза. Отметки горизонталей, кратные 5 м, подписывают в разрывах горизонталей; это делается тоже коричневой тушью. Коричневой тушью ставят точки в условном знаке песка. Отметки реечных точек и станций выписывают черной тушью.
Все остальные линии, условные знаки и надписи выполняют черной тушью.
С северной стороны участка подписывают значения y, а с восточной – x линий координатной сетки. Это делают возле пересечений координатных линий (вершин квадратов) сетки.
В верхней части листа выполняют заглавную надпись, в нижней - указывают численный масштаб плана, высоту сечения рельефа и размещают график заложений для уклонов.
Общее представление об оформлении составленного плана дает рис.9.
ЗАДАНИЕ 3. РЕШЕНИЕ ЗАДАЧ ПО ТОПОГРАФИЧЕСКОМУ ПЛАНУ СТРОИТЕЛЬНОЙ ПЛОЩАДКИ.
ЗАДАЧА 3.1. Найти отметку точки А, взятой между двумя соседними горизонталями. Точка А намечается самим студентом между любыми двумя горизонталями. Найденную отметку подписывают на плане рядом с точкой.
ЗАДАЧА 3.2. Определить уклон отрезка ВС, проведенного между соседними горизонталями. Отрезок проводится в любом места плана так, чтобы его точки В и С лежали на двух соседних горизонталях. Найденное значение уклона записывают вдоль отрезка.
ЗАДАЧА 3.3. От пункта ПЗ8 к реечной точке 10 (вариант «а») или от пункта ПЗ19 к станции 111 (вариант «б»), пользуясь графиком заложений, провести кратчайшую ломаную линию так, чтобы ни на одном из ее отрезков уклон не превышал 0.02.
Задачи следует решать на составленном студентом плане (рис.9), при этом все необходимые построения выполняют в карандаше четко и аккуратно.
НА РЕЦЕНЗИРОВАНИЕ ПРЕДСТАВЛЯЕТСЯ «тетрадь для выполнения контрольной работы № 1» с обязательным указанием шифра, группы и фамилия студента. В тетради представляются:
1. Решение задач на вычисление дирекционных углов линий и координат точек.
2. Ведомость вычисления координат точек теодолитного хода.
3. Два тахеометрических журнала
4. Ведомость увязки превышений теодолитно-высотного хода и вычисления отметок станций.
5. План строительной площадки.
6. Решение задач по топографическому плану строительной площадки.
Рекомендуемый источник:
Д.Ш. Михелев. Инженерная геодезия. – М.: Высшая школа, 2004.
|