| Реферат
на тему:
«Вода. Структура и необычные свойства»
План
1. Вступление.......................................................................................................................... 3
2. Что такое вода.................................................................................................................... 9
3. Свойства воды................................................................................................................. 16
Вступление
Вода во вселенной
Разве в космосе вода есть?
Да, оказывается, вода есть в космическом пространстве. Десять лет назад астрофизики с помощью радиотелескопа обнаружили идущие к нам из космоса странные короткие радиоволны
— длиной 1,35 см. Оказалось, что это излучение исходит от загадочных гигантских облаков, расположенных в нашей Галактике в созвездии Ориона, Кассиопеи и в некоторых других созвездиях.
Теоретический расчет показал, что такое излучение принадлежит... воде. Молекулы водяного пара поглощают инфракрасную часть спектра света звезд и переходят в возбужденное состояние. При этом возрастает уровень энергии их вращательного движения. Когда же
молекулы снова возвращаются в основное состояние, то они начинают излучать энергию на волне 1,35 см.
И на других планетах вода есть?
На этот вопрос можно дать совершенно определенный и точный ответ: да, на других планетах также есть вода.
Советские ученые послали на планету Венера автоматические химические лаборатории, которые непосредственно в атмосфере планеты произвели химический анализ ее состава и передали результаты на землю по радио.
Пролетев 500 млн км, первая из них — «Венера-4» произвела успешный спуск на парашюте в атмосфере «планеты загадок», выполнила уникальные измерения физико-химического состояния атмосферы: температуры, давления, плотности — и прямо на месте проанализировала химический состав газов. Это произошло впервые в истории науки 18 октября 1967 г. Две последующие автоматические станции достигли Венеры в мае 1969 г. И подтвердили ранее полученные результаты. Было найдено, по уточненным данным, что на Венере «воздух» содержит:
· углекислого газа — около 97%
· кислорода — не более 0,1%
Забиваем Сайты В ТОП КУВАЛДОЙ - Уникальные возможности от SeoHammer
Каждая ссылка анализируется по трем пакетам оценки: SEO, Трафик и SMM.
SeoHammer делает продвижение сайта прозрачным и простым занятием.
Ссылки, вечные ссылки, статьи, упоминания, пресс-релизы - используйте по максимуму потенциал SeoHammer для продвижения вашего сайта.
Что умеет делать SeoHammer
— Продвижение в один клик, интеллектуальный подбор запросов, покупка самых лучших ссылок с высокой степенью качества у лучших бирж ссылок.
— Регулярная проверка качества ссылок по более чем 100 показателям и ежедневный пересчет показателей качества проекта.
— Все известные форматы ссылок: арендные ссылки, вечные ссылки, публикации (упоминания, мнения, отзывы, статьи, пресс-релизы).
— SeoHammer покажет, где рост или падение, а также запросы, на которые нужно обратить внимание.
SeoHammer еще предоставляет технологию Буст, она ускоряет продвижение в десятки раз,
а первые результаты появляются уже в течение первых 7 дней.
Зарегистрироваться и Начать продвижение
· азота — не более 2%
· паров воды — около 1%
15 декабря 1970 г. межпланетная автоматическая станция «Венера-7» достигла поверхности планеты и передала на Землю сведения непосредственно с поверхности Венеры. Оказалось, что температура на планете превышает 470°С, а давление в 90 раз больше, чем на Земле.
Конечно, жидкой воды на Венере нет. Существование известных нам форм жизни на Венере невозможно. Но вода там есть, это бесспорно.
Есть предположение, что вода существует и в атмосфере Марса. В течение многих лет астрономы неоднократно наблюдали на Марсе загадочные яркие вспышки. Они послужили неплохой завязкой сюжета для многих фантастических романов. Но вот, наконец, эти таинственные вспышки были разгаданы. Наши ученые путем точного измерения углов световых лучей от этих вспышек с направлением на Солнце установили, что они вызваны отражением солнечных лучей от кристалликов льда, витающих в атмосфере Марса. Такие же явления часто наблюдаются и на Земле, когда в сильные морозы на небе появляются изображения ложных солнц. Так что очень может быть, вода есть и на Марсе. Совсем недавно это предположение получило веское подтверждение: следы водяного пара были обнаружены в атмосфере Марса спектроскопическим путем.
Астрофизики уже нашли воду и на Юпитере. Эта гигантская планета, пожалуй, с еще большим правом может быть названа планетой загадок. На роли воды в атмосфере Юпитера следует остановиться подробнее. Хотя в этом много таинственного и неразгаданного, но, может быть, именно тут наука приближается к решению величайшей тайны — тайны зарождения жизни во Вселенной.
Раскаленное, хотя и недостаточно для начала термоядерных процессов, ядро Юпитера окружено оболочкой из металлического водорода. Снаружи планета покрыта плотным слоем атмосферы толщиной в десятки тысяч километров. Внешняя температура Юпитера очень низка — около –100°С. Атмосфера его состоит главным образом из водорода и гелия. Но в ней обнаружены также метан, аммиак, сероводород и... вода.
Самые удивительные и таинственные превращения протекают в той зоне атмосферы Юпитера, где условия сходны с земными — температура лежит в пределах от 0° до 100°С и давление не превышает двух-трех атмосфер.
Астрономы обнаружили, что на Юпитере непрерывно происходят чудовищные грозы и ураганы. Там должен идти снег и дождь, как и на Земле, из воды. Но там еще льются ливни из жидкого аммиака и сероводорода, там выпадает снег из аммиака. Но и снег и ливни никогда не достигают поверхности Юпитера (быть может, ее и не существует), снова возгоняются и вновь выпадают.
Сервис онлайн-записи на собственном Telegram-боте
Попробуйте сервис онлайн-записи VisitTime на основе вашего собственного Telegram-бота:
— Разгрузит мастера, специалиста или компанию;
— Позволит гибко управлять расписанием и загрузкой;
— Разошлет оповещения о новых услугах или акциях;
— Позволит принять оплату на карту/кошелек/счет;
— Позволит записываться на групповые и персональные посещения;
— Поможет получить от клиента отзывы о визите к вам;
— Включает в себя сервис чаевых.
Для новых пользователей первый месяц бесплатно.
Зарегистрироваться в сервисе
Эти чудовищные условия страшного мира гигантской планеты исследователи не раз пытались воссоздать в своих лабораториях. Под действием электрических разрядов и ионизирующего излучения в модельном юпитерианском «воздухе» из паров воды, аммиака и метана возникали многочисленные органические соединения, и среди них даже аминокислоты и углеводороды.
Многие из образующихся химических соединений оказались яркоокрашенными, и их цвета по своему спектральному составу сходны с окраской облачных полос на Юпитере. Многие ученые считают, что в атмосфере Юпитера существуют условия, благоприятные для возникновения жизни.
И на Луне вода есть?
Нет. Никто из людей, побывавших на Луне, пока еще воды там не нашел. Правда, однажды американский космический корабль зарегистрировал на Луне извержение загадочного «гейзера», но, что это было, пока еще не установлено.
А на кометах вода есть?
Есть. Многие ученые считают, что голова кометы представляет собой твердое тело — «грязный лед», состоящий из смеси обыкновенного водяного льда и льда из застывших в космическом холоде газов аммиака, метана. В этот лед вкраплены частицы твердого метеоритного вещества, состоящего главным образом из железа, кальция, кремния и других химических элементов.
Когда комета приближается к Солнцу, более легкие молекулы испаряются, образуя величественный хвост кометы. В спектре сияния хвоста кометы и были обнаружены линии гидроксила, образующегося при распаде молекул воды.
Где еще во Вселенной может быть вода?
На звездах и на нашем Солнце она вряд ли может быть. Хотя там есть и водород и кислород, но при чудовищных температурах звезд молекулы воды не могут образоваться. Но астрономы установили, что у многих звезд во Вселенной, подобно тому, как у Солнца, есть планетные системы.
Состав первичной атмосферы этих планет должен состоять из соединений водорода — наиболее обильного элемента в космосе, больше всего должно быть молекул водорода — Н2, воды — Н20, аммиака — NН3 и метана — СH4.
Вода есть во всех уголках Вселенной. Это бесспорно.
Знает ли вода, что происходит в космосе?
Этот вопрос затрагивает область столь необыкновенных, столь таинственных, до сих пор совершенно непонятных наблюдений, что они вполне оправдывают образную формулировку вопроса. Экспериментальные факты как будто бы установлены твердо, но объяснения для них пока еще не найдены.
Поразительная загадка, к которой относится вопрос, была установлена не сразу. Она относится к малозаметному и как будто бы пустяковому явлению, не имеющему серьезного значения. Это явление связано с самыми тонкими и пока непонятными свойствами воды, трудно доступными количественному определению, —со скоростью химических реакций в водных растворах, и главным образом со скоростью образования и выпадения в осадок труднорастворимых продуктов реакции. Это тоже одно из бесчисленных свойств воды.
Так вот, у одной я той же реакции, проводимой в одних и тех же условиях, время появления первых следов осадка непостоянно. Хотя этот факт был давным-давно известен, химики на него внимания не обращали, удовлетворяясь, как это еще часто бывает, объяснением «случайными причинами». Но постепенно, по мере развития теории скоростей реакции и усовершенствования методики исследования, этот странный факт стал вызывать недоумение.
Несмотря на самые тщательные предосторожности в проведении опыта, в совершенно постоянных условиях результат все равно не воспроизводится: то осадок выпадает сразу, то приходится довольно долго ждать его появления.
Казалось бы, не все ли равно — выпадает осадок в пробирке за одну, две или через двадцать секунд? Какое это может иметь значение? Но в науке, как и в природе, нет ничего не имеющего значения.
Странная невоспроизводимость все более и более занимала ученых. И, наконец, был организован и осуществлен совершенно небывалый эксперимент. Сотни добровольных исследователей-химиков во всех частях земного шара по единой, заранее разработанной программе, одновременно, в один и тот же момент по мировому времени снова и снова повторяли один и тот же простой опыт: определяли скорость появления первых следов осадка твердой фазы, образующейся в результате реакции в водном растворе. Опыт продолжался почти пятнадцать лет, было проведено более трехсот тысяч повторений.
Постепенно стала вырисовываться удивительная картина, необъяснимая и загадочная. Оказалось, что свойства воды, определяющие протекание в водной среде химической реакции, зависят от времени.
Сегодня реакция протекает совсем иначе, чем в тот же момент она шла вчера, и завтра она будет идти снова по-другому.
Различия были невелики, но они существовали и требовали внимания, исследования и научного объяснения.
Результаты статистической обработки материалов этих наблюдений привели ученых к поразительному выводу: оказалось, что зависимость скорости реакции от времени для разных частей земного шара совершенно одинаковая.
Это означает, что существуют какие-то таинственные условия, изменяющиеся одновременно на всей нашей планете и влияющие на свойства воды.
Дальнейшая обработка материалов привела ученых к еще более неожиданному выводу. Оказалось, что события, протекающие на Солнце, каким-то образом отражаются на воде. Характер реакции в воде следует ритму солнечной активности — появления пятен и вспышек на Солнце.
Но и этого мало. Обнаружено еще более невероятное явление. Вода каким-то необъяснимым путем отзывается на то, что происходит в космосе.
Была установлена четкая зависимость от изменения относительной скорости Земли в ее движении в космическом пространстве.
Таинственная связь воды и событий, происходящих во Вселенной, пока необъяснима.
А какое значение может иметь связь между водой и космосом?
Никто еще не может знать, насколько оно велико… В нашем теле около 75% воды; на нашей планете нет жизни без воды; в каждом живом организме, в каждой его клеточке протекают бесчисленные химические реакции. Если на примере простой и грубой реакции подмечено влияние событий в космосе, то пока даже и представить себе нельзя, как велико может быть значение этого влияния на глобальные процессы развития жизни на Земле. Наверное, станет очень важной и интересной наука будущего — космобиология. Одним из ее главных разделов явится изучение поведения и свойств воды в живом организме.
Вода и здоровье
На воду приходится 55 - 70% веса тела взрослого человека. В мышцах содержится больше воды, чем в жире, поэтому чем вы стройнее, тем больше доля воды в вашем теле. Вода содержится в каждой клетке организма. Кровь состоит из воды на 83%, мышцы - на 73%, жиры - на 25%, кости - на 22%.
Достаточное поступление воды в организм является одним из основных условий здорового образа жизни. Вода активно участвует в химических реакциях проходящих в нашем организме, доставляет питательные вещества в каждую клетку тела, выводит из организма токсины, шлаки и излишки солей, содействует понижению кровяного давления, уменьшая тем самым вероятность сердечного приступа. Потребление достаточного количества воды - это один из лучших способов предотвратить образование камней в почках. Вода смазывает суставы, выполняет роль амортизатора для спинного мозга, через дыхательную систему регулирует температуру тела, благотворно влияет на состояние кожи.
Участвуя в обмене веществ, вода позволяет уменьшить жировые накопления и снизить вес. Многие из тех, кто хочет похудеть, считают, что их организм удерживает воду и стараются меньше ее пить. Однако вода является естественным мочегонным средством и, если вы ее пьете, то теряете в весе.
Если организм получает достаточное количество воды, то человек становится более энергичным и выносливым. Ему проще контролировать свой вес, поскольку улучшается пищеварение, а когда вас тянет перекусить, часто достаточно бывает просто попить воды, чтобы снизить аппетит. Симптомами обезвоживания организма являются сухая кожа (может сопровождаться зудом), усталость, плохая концентрация внимания, головные боли, запоры, повышение давления, плохая работа почек, повторяющаяся инфекция мочеполовых путей, сухой кашель, боли в спине и суставах.
О пользе питьевых минеральных вод
Поскольку минеральные питьевые поды оказывают на организм выраженное воздействие и при неправильном приеме могут вызвать различные тяжелые нарушения электролитного состава, они назначаются только врачом. В домашних условиях продолжительность курса питьевого лечения минеральной водой составляет от 3 до 6 недель. Повторные курсы лечения проводят обычно через 3-5 месяцев, но не чаще двух раз в год. Следует помнить, что минеральные питьевые воды показаны далеко не всем желающим. Они противопоказаны при обострениях хронических заболеваний желудочно-кишечного тракта с рвотой, поносом, кровотечением и резким болевым синдромом, желчнокаменной болезни, остром холецистите, сужении пищевода и привратника, недостаточности кровообращения и острой задержке мочи. Эффективность внутреннего применения минеральных вод тем выше, чем более правильно подобран класс минеральных вод и чем строже соблюдаются пациентами предписанные врачом методики лечения. Наряду с питьевым лечением минеральные воды применяют также и в других лечебных методиках в домашних условиях.
Гидрокарбонатно-сульфидно-хлоридные лечебно-столовые воды используют в виде ингаляций при заболеваниях верхних дыхательных путей и легких. Лучше всего для ингаляций применять минеральные воды "Боржоми", "Варзн Ятчи", "Ессентуки 4", "Ноябрьская" и "Смирновская". Мелкораспыленный аэрозоль минеральной воды температуры 35-40 °С больные вдыхают в течение 6-12 мин. ежедневно в течение 7-10 дней. Гидрокарбонатно-хлоридные лечебно-столовые минеральные воды применяют для полосканий рта и глотки при заболеваниях полости рта, пародонта и глотки. С этой цель больные набирают в рот одну из следующих минеральных вод - "Азовскую", "Боржоми", "Ессентуки 4 и 17" "Нарзан", "Екатерингофская", "Семигорская» и другие. Минеральную воду температуры 33-42 °С набирают в рот и держат ее в течение 2-3 мин. Полоскания проводят от 1-го до 15 дней ежедневно.
Кроме полосканий и ингаляций сульфатные минеральные питьевые воды применяют также для стимуляции выделения желчи (беззондовый дренаж - тюбаж), а также для очистительных клизм при хронических заболеваниях толстого кишечника. Итак, многообразие минеральных питьевых вод на торговых прилавках безусловно радует глаз покупателя. Однако, выбирая воду для употребления, они должны придерживаться определенных рекомендаций, часть из которых изложена выше. Более подробную информацию и совет можно получить у своего лечащего врача. Выбор столовых минеральных вод от них свободен и зависит от вкусов и желаний покупателя. Следует твердо помнить - минеральные питьевые воды - неисчерпаемый родник аппетита, бодрости и здоровья в вашем доме
2. Что такое вода
Что такое вода?
Такой вопрос может показаться не только странным, но и немного невежливым. Кто же этого может не знать? Всякий знает, что вода — это соединение водорода и кислорода. Вот ее всем известная формула: Н2О.
С водой очень хорошо знаком каждый, кто привык умываться по утрам, пьет чай, умеет плавать, любит бегать под дождем, не боясь промокнуть, кататься на коньках и ходить на лыжах.
А что такое водород?
Вообще говоря, подобные вопросы задавать не следует. На них просто нельзя ответить из-за неисчерпаемости содержания. Всю жизнь можно отдать изучению водорода и до конца ответа не получить.
Но все-таки кое-что сказать следует. Химики до сих пор никак не могут решить, где же должен стоять водород в таблице Менделеева, и помещают его одновременно сразу в двух группах: в VII, где он зачисляется в родственники галогенам — фтору, хлору, брому, и в I группу за его сходство со щелочными металлами — литием, натрием, калием. Так что же такое водород?
В свое время наши исследователи, изучая свойства водорода при высоких давлениях, обнаружили, что при давлении около трех миллионов атмосфер сжатый водород внезапно приобретает удивительное свойство — он становится электропроводным, так же как любые обычные металлы. Это явление теоретики предвидели уже давно, а теперь оно было обнаружено на опыте. Как ни удивительно, но, по-видимому, водород — металл.
Сколько существует различных водородов?
В природе существует три различных водорода — три его изотопа. Самый легкий — 1H. Химики его часто называют протием. Водород в обычной воде почти нацело состоит из протия. Кроме него, во всякой воде есть тяжелый водород — дейтерий 2Н, его чаще в химии обозначают символом D. Дейтерия в воде очень мало. На каждые 6700 атомов протия в среднем приходится только один атом дейтерия. Кроме протия и дейтерия, существует еще сверх тяжелый водород 3Н. Его обычно называют тритием и обозначают символом Т.
Тритий радиоактивен, период его полураспада немного больше 12 лет. Он непрерывно образуется в стратосфере под действием космического излучения. Количество трития на нашей Земле исчезающе мало — меньше одного килограмма на всем земном шаре; но, несмотря на это, его можно обнаружить повсюду, в любой капле воды.
Физики научились получать тритий искусственно в ядерных реакторах.
Ученые заподозрили, что возможно существование четвертого изотопа водорода — 4Н и даже пятого — 5Н. Они тоже должны быть радиоактивными.
А больше нет никаких водородов?
Да, как будто бы больше нет. По крайней мере, ученые пока новых водородов еще не нашли. Но зато известны антипротон и позитрон. Значит, можно говорить об антиводороде, в атомах которого вокруг отрицательного ядра (антипротона) вращается положительный электрон (позитрон). Найден также и антидейтрон, следовательно, возможно, что существует и антиизотоп водорода с массовым числом 2 — антидейтерий. Недавно найдено ядро антитрития.
Не может быть никакого сомнения в том, что из этих антиядер и позитронов могут образоваться антиатомы, но пока даже самых простых антиатомов антиводорода никто еще не наблюдал.
Сколько на свете кислородов?
В природе найдены три различных изотопа кислорода. Больше всего легкого кислорода 16О, значительно меньше тяжелого 18О и совсем мало кислорода 17О. В кислороде воздуха, которым мы дышим, на каждые 10 атомов 17О приходится 55 атомов 18О и более 26 000 атомов изотопа кислорода 16О.
Физики сумели создать в своих ускорителях и реакторах еще пять радиоактивных изотопов кислорода: 13О, 14О, 15О, 19О, 20О. Все они живут очень недолго и через несколько минут распадаются, превращаясь в изотопы других элементов.
Сколько может быть различных вод?
Если подсчитать все возможные различные соединения с общей формулой Н2О, то результат покажется неожиданным: всего могут существовать сорок восемь разных вод. Из них тридцать девять вод будут радиоактивными, но и стабильных, устойчивых вод тоже будет немало — девять:
Н216O, Н217O, Н218O, HD16O, HD17O, HD18O, D216O, D217O, D218O.
Если же окончательно подтвердится сообщение о том, что существуют еще два сверхтяжелых изотопа водорода — 4Н и 5Н, то будут возможны уже сто двадцать различных вод. Но и это еще не все. Советские физики в 1970 г. на большом ускорителе многозарядных ионов создали совершенно удивительный кислород — сверхтяжелый изотоп 24О. В его ядре огромный избыток нейтронов, и оно очень неустойчиво. Если принять во внимание и этот новый изотоп кислорода, то тогда различных вод можно будет насчитать уже сто тридцать пять!
Подсчитайте сами, сколько различных вод, молекулы которых содержат тритий, может образовываться на границе с космосом и постепенно вместе с дождями выпадать на землю. Попробуйте сосчитать также, сколько различных радиоактивных вод возникает в воде, охлаждающей атомный реактор. Где бы в мире ни зачерпнуть стакан воды, в нем всегда окажется смесь различных молекул, неодинаковых по изотопному составу. Конечно, вероятность образования молекул с разным изотопным составом далеко не одинакова. Молекулы, содержащие сразу два или три редко встречающихся изотопных атома, будут возникать так редко и их будет так мало, что, по мнению физиков, их пока можно не принимать во внимание.
Что же такое обыкновенная вода?
Такой воды в мире нет. Нигде нет обыкновенной воды. Она всегда необыкновенная. Даже по изотопному составу вода в природе всегда различна. Состав зависит от истории воды — от того, что с ней происходило в бесконечном многообразии ее круговорота в природе. При испарении вода обогащается протием, и вода дождя, поэтому отлична от воды озера. Вода реки не похожа на морскую воду. В закрытых озерах вода содержит больше дейтерия, чем вода горных ручьев. В каждом источнике свой изотопный состав воды.
Когда зимой замерзает вода в озере, никто из тех, кто катается на коньках, и не подозревает, что изотопный состав льда изменился: в нем уменьшилось содержание тяжелого водорода, но повысилось количество тяжелого кислорода. Вода из тающего льда другая и отличается от воды, из которой лед был получен.
Если воду разложить химически и сжечь добытый из нее водород, то получится снова вода, но совсем другая, потому что в воздухе изотопный состав кислорода отличается от среднего изотопного состава кислорода воды. Но зато в отличие от воды изотопный состав воздуха один и тот же на всем земном шаре.
Вода в природе не имеет постоянного изотопного состава, она вечно меняется, и только поэтому нельзя сказать, что где-то есть какая-то обыкновенная вода.
Что такое легкая вода?
Это та самая вода, формулу которой знают все школьники — 1Н216О. Но такой воды в природе нет. Такую воду с огромным трудом приготовили ученые. Она им понадобилась для точного измерения свойств воды, и в первую очередь для измерения ее плотности. Пока такая вода существует только в нескольких крупнейших лабораториях мира, где изучают свойства различных изотопных соединений.
Что такое тяжелая вода?
И этой воды в природе нет. Строго говоря, нужно было бы называть тяжелой воду, состоящую только из одних тяжелых изотопов водорода и кислорода — D218O; но такой воды нет даже и в лабораториях ученых. Конечно, если эта вода понадобится науке или технике, ученые сумеют найти способ, как ее получить: и дейтерия, и тяжелого кислорода в природной воде сколько угодно.
В науке и ядерной технике принято условно называть тяжелой водой тяжеловодородную воду. Она содержит только дейтерий, в ней совсем нет обычного легкого изотопа водорода. Изотопный состав по кислороду в этой воде соответствует обычно составу кислорода воздуха. Формулу тяжеловодородной воды написать нельзя. Это не химическое соединение, а смесь нескольких различных вод, в которых во всех содержится дейтерий, легкого водорода нет совсем, а стабильные изотопы кислорода в этой смеси вод с разным изотопным составом находятся точно в таком же соотношении, в каком они присутствуют в воздухе.
Еще совсем недавно никто в мире и не подозревал, что такая вода существует, а теперь во многих странах мира работают гигантские заводы, перерабатывающие миллионы тонн воды, чтобы извлечь из нее дейтерий и получить чистую тяжелую воду.
Бывает ли полутяжелая вода?
Полутяжелой водой можно назвать воду со смешанными молекулами состава HDO. Она есть во всякой природной воде, но получить ее в чистом виде невозможно, потому что в воде всегда протекают реакции изотопного обмена. Атомы изотопов водорода очень подвижны и непрерывно переходят, из одной молекулы воды в другую. Приготовить воду, средний состав которой будет соответствовать формуле полутяжелой воды, нетрудно. Но благодаря реакции обмена: обой смесь молекул с разным изотопным составом: Н2О, HDO, D2O.
Что такое нулевая вода?
Нулевая вода состоит из чистого легкого водорода и кислорода воздуха. И для нулевой воды формулу не напишешь. Она тоже смесь нескольких вод, каждая из которых состоит из легкого водорода и одного из стабильных изотопов кислорода.
Соотношение между кислородами в нулевой воде тоже точно такое же, как в воздухе. Тяжелого водорода в нулевой воде нет.
Эту воду физико-химики выбрали в качестве эталона: у нее очень постоянный состав. Ее не так уж трудно получать, и с ней удобно сравнивать воду неизвестного состава: определив разницу в плотности, легко найти содержание дейтерия.
А может быть, есть еще какая-нибудь вода?
Кроме всех перечисленных вод, еще существует тяжелокислородная вода — Н218О. Получить ее из природной воды очень сложно и трудно. До сих пор эту воду в чистом виде еще, пожалуй, никто не сумел приготовить.Тяжелокислородная вода очень нужна для исследования многих биологических и химических процессов, поэтому довольно концентрированные растворы этой воды в воде обычной получают теперь на заводах.
А радиоактивная вода существует?
Да. Физики научились получать тритиевую воду искусственным путем в атомных реакторах. Из-за сильной радиоактивности эта вода очень опасна. Пока такая вода нужна только ученым.
Больше еще никаких вод не получено?
Больше нет. Просто потому, что все остальные возможные воды пока еще никому не нужны. Если понадобятся и они, то, без сомнения, наука найдет способ получать любую из них.
Должна ли существовать антивода?
К сожалению, физики на этот вопрос пока ответить не могут. Хотя и есть все основания утверждать возможность существования антиводорода, но говорить об антикислороде еще рано. Наши исследователи, правда, уже получили ядра одного из изотопов антигелия — антигелий-3. Если уже получен антиэлемент № 2, то можно высказать надежду, что физики скоро могут дойти и до антиэлемента № 8 (антикислорода), скорее всего, они приготовят его сами. Тогда можно будет говорить и об антиводе. Вода же из антиводорода и обычного кислорода, как вы сами понимаете, немыслима. Их встреча может только привести к большой катастрофе.
Поэтому не следует пока подсчитывать число различных вод, содержащих изотопы антиводорода. Для того чтобы могла возникнуть молекула антиводы, должен существовать и антикислород. Пока мы еще о нем ничего не знаем. Но может быть, где-нибудь в недрах Вселенной есть миры (физики и астрономы обсуждают этот вопрос совершенно серьезно), состоящие из антивещества. В этих антимирах и существует, может быть, столько же различных антивод, сколько мы их насчитали в нашем мире. Так это или нет, никто еще сказать не может. Поэтому, сколько всего в мире может существовать различных вод, мы еще не знаем.
Много ли различных вод содержится в воде?
В какой воде? В той, что льется из водопроводного крана, куда она пришла из реки, тяжелой воды D216O около 150 г на тонну, а тяжелокислородной (Н217О и Н218О вместе) почти 1800 г на тонну воды. А в воде из Тихого океана тяжелой воды почти 165 г на тонну.
В тонне льда одного из больших ледников Кавказа тяжелой воды на 7 г больше, чем в речной воде, а тяжелокислородной воды столько же. Но зато в воде ручейков, бегущих по этому леднику, D216O оказалось меньше на 7 г, а Н218О — на 23 г больше, чем в речной.
Тритиевая вода Т216О выпадает на землю вместе с осадками, но ее очень мало — всего лишь 1 г на миллион миллионов тонн дождевой воды.
В океанской воде ее еще меньше.
Строго говоря, вода всегда и всюду разная. Даже в снеге, выпадающем в разные дни, разный изотопный состав. Конечно, отличие невелико. Всего 1—2 г на тонну. Только, пожалуй, очень трудно сказать — мало это или много.
Тяжёлая вода потому и тяжёлая, что тяжелее обычной. Её плотность 1,104.
Тяжёлая вода замерзает при более высокой температуре, чем обычная вода (3,813°C)…
…и кипит при более высокой температуре (101,431°C).
В чем же различие между легкой природной и тяжелой водой?
Ответ на этот вопрос будет зависеть от того, кому он задан. Каждый из нас не сомневается, что с водой-то он знаком хорошо. Если каждому из нас показать три стакана с обычной, тяжелой и легкой водой, то каждый даст совершенно четкий и определенный ответ: во всех трех сосудах простая чистая вода. Она одинаково прозрачна и бесцветна. Ни на вкус, ни на запах нельзя найти между ними никакой разницы. И это будет верно. Это все — вода.
Химик на этот вопрос ответит почти так же, между ними нет почти никакой разницы. Все их химические свойства почти неразличимы: в каждой из этих вод натрий будет одинаково выделять водород, каждая из них при электролизе будет одинаково разлагаться, все их химические свойства будут почти совпадать. Это и понятно: ведь химический состав у них одинаков. Это вода.
Физик не согласится. Он укажет на заметную разницу в их физических свойствах; и кипят и замерзают они при различных температурах, плотность у них разная, а упругость их пара тоже немного различна. И при электролизе они разлагаются с разной скоростью. Легкая вода чуть быстрее, а тяжелая — помедленнее. Разница в скоростях ничтожна, но остаток воды в электролизере оказывается немного обогащенным тяжелой водой. Таким путем она и была открыта. Изменения в изотопном составе мало влияют на физические свойства вещества. Те из них, которые зависят от массы молекул, изменяются заметнее, например скорости диффузии молекул пара.
Биолог, пожалуй, станет в тупик и не сразу сумеет найти ответ. Ему нужно будет еще немало поработать над вопросом о различии между водой с разным изотопным составом. Совсем недавно все считали, что в тяжелой воде живые существа не могут жить.
Ее даже мертвой водой называли. Но оказалось, что если очень медленно, осторожно и постепенно заменять протий в воде, где живут не которые микроорганизмы, на дейтерий, то можно их приучить к тяжелой воде и они будут в ней неплохо жить и развиваться, а обычная вода для них станет вредной.
Кому же нужна тяжелая вода? Человечеству? Оно уже стоит у порога, за которым ждет его страшная угрозаэнергетического голода. И вся надежда связана с тем, что будет решена проблема, как использовать для энергетики тяжелую воду.
Зачем нужна тяжелая вода теперь?
Все, что мы до сих пор говорили, касалось тех свойств, которые зависят от строения атомов, от их порядкового номера, от числа и расположения электрических зарядов в атомных ядрах и электронов в молекуле. Только это и определяет химическое поведение вещества. Строение молекулы не зависит от массы атомного ядра. Поэтому одинаковые молекулы с разным изотопным составом химически почти неразличимы.
Правда, в науке слово «почти» нужно употреблять очень осторожно и осмотрительно. Это верно, что химические соединения, различные по изотопному составу, по химическим свойствам почти неразличимы. Но все же они ведут себя немного по-разному, хотя наблюдаемые при этом изотопные эффекты очень невелики: чуть-чуть различаются по скорости реакций, у них чуть-чуть различны значения константы равновесия. Различаются между собой спектры одинаковых по составу и строению молекул с разным изотопным составом.
Сходство в свойствах изотопных соединений прекращается, когда вопрос касается кинетических и ядерных характеристик. Молекула, содержащая тяжелый изотопный атом, при той же температуре движется с меньшей скоростью, при столкновении таких частиц иначе протекает обмен кинетической энергией. А самое главное — изменяется способность вступать в ядерные превращения. Вот эти-то свойства резко отличают тяжелую воду от любой другой воды с иным изотопным составом: ведь в ее состав входит тяжелый водород. В наши дни тяжелая вода успешно применяется в атомной энергетике для замедления нейтронов в ядерных реакторах.
Роль замедлителя в атомном котле очень важна. Когда ядро урана-235 распадается на два атомных ядра-осколка, из него одновременно вылетают два или три нейтрона. Скорость их огромна, она превышает 20 000 км/с. Эти быстрые нейтроны не могут сами вызвать новый распад в других атомах урана. Они пролетят мимо них с такой быстротой, что просто не успеют прореагировать.
Нейтроны нужно замедлить примерно до 2,2 км/с, так чтобы они пришли в равновесие с тепловым движением окружающих молекул. При этом энергия нейтронов должна уменьшиться почти в 60 млн. раз. Далеко не всякое вещество пригодно в качестве замедлителя. Выбор очень ограничен. Во-первых, оно не должно поглощать нейтроны, вступая само в ядерные реакции, а во-вторых, оно должно состоять обязательно из легких элементов с малыми массовыми числами. При соударении с тяжелым ядром скорость нейтрона почти не изменяется, точно так же как почти не изменяется скорость мяча, отскакивающего при ударе о стенку.
Самым лучшим замедлителем мог бы быть легкий водород, но он заметно поглощает нейтроны. Тяжелый водород их почти не поглощает. Нейтрону, попавшему в тяжелую воду, достаточно всего 25 раз столкнуться с тяжелым водородом, чтобы потерять свою высокую энергию и приобрести способность взаимодействовать с ураном. Неплохой замедлитель — углерод в форме графита, но нейтрону в нем приходится испытывать около 110 столкновений, чтобы утратить начальную скорость.
Используя тяжелую воду как замедлитель, конструкторы создают очень эффективные, а главное, легкие и компактные атомные энергетические установки, применяемые в основном на транспорте.
Зачем еще нужна тяжелая вода?
Чтобы исследовать механизм многих химических, физических и биологических процессов.
Это, конечно, скромное, но очень важное применение тяжелой воды. Наверное, нет ни одного природного процесса, в котором не принимали бы участия вода или водород. Атомы тяжелого водорода — наиболее важные меченые атомы. Их, как разведчиков в бой, направляют химики в исследуемые реакции, чтобы проследить за ее ходом. В наши дни уже возникла и быстро развивается самостоятельная область науки — химия изотопного обмена. Наиболее важная ее задача — изучать с помощью дейтерия механизм химических реакций при получении органических соединений и исследовать их строение.
Почему же человечеству будет нужна именно тяжелая вода?
Чтобы ответить на этот вопрос, нельзя обойтись без самого замечательного языка, без языка цифр и формул. Он понятен всем по-настоящему грамотным людям, в какой бы стране они ни жили и на каком бы языке ни разговаривали.
Для химиков теперь очень точно измерены массы всех изотопных атомов. Вот некоторые значения этих масс:

Физики сумели установить возможность ядерных реакций между легкими атомами, в том числе возможность реакции между атомами дейтерия:

В такой реакции неприменим закон сохранения массы, каким пользуется обычная химия; в результате реакции получается недостача:

Это немалая недостача. Она означает, что если бы удалось найти условия, при которых может протекать реакция между двумя молями тяжелого водорода, то, согласно уравнению Эйнштейна:

можно было бы получить энергию:
0,00433х(3,0х1010)2 эрг=3,9х1018 эрг=3,9х1011 Дж.
Это немалая энергия. В наше время, чтобы получить такую энергию, приходится сжигать в топках котлов ни много ни мало 13,5 т первосортного угля. А ведь его еще нужно добыть из шахт и доставить из-под земли к топке.
Между тем в соответствии с уравнением ядерной реакции такую энергию можно получить при затрате всего лишь двух молей дейтерия, которые содержатся в одном моле тяжелой воды. Следовательно, простой воды потребуется:

или 120 л. Значит, из одного литра обычной воды можно добыть больше энергии, чем можно получить ее из ста килограммов высококачественного угля. А запасы воды на нашей Земле огромны.
Что же мешает получать энергию из воды?
Такая возможность пока что кажется фантастической, но она вполне реальна. На пути к ее осуществлению наука уже преодолела немало трудностей. Решена сложнейшая проблема, как извлекать тяжелую воду из природной. Теоретически исследованы и рассчитаны условия, при которых возможны ядерные реакции между легкими атомами.
Но, к сожалению, исследователи встретили много трудностей. Насколько они серьезны, может показать простой расчет: чтобы два атома могли вступить в ядерную реакцию, их ядра должны столкнуться, т. е. сблизиться до расстояния примерно 10–14 м, начиная с которого межъядерные силы уже могут преодолеть электростатическое отталкивание.
Но ядра атомов защищены, как броней, своими электронными оболочками. Эти оболочки простираются на расстояние в десятки тысяч раз большее. А самое главное — ядра заряжены и отталкиваются друг от друга, как и все одноименно заряженные тела. Энергию, необходимую для того, чтобы преодолеть их взаимное отталкивание, рассчитать нетрудно. Из закона Кулона следует, что потенциальная энергия двух ядер, сблизившихся на расстояние 10–14 м, должна быть равна:

Если между собой сталкиваются элементы с атомными номерами Z1 и Z2.
Конечно, мир атомных величин не очень привычен и нагляден, и трудно сразу представить себе, какова же эта энергия — мала или не очень мала. Но легко сообразить, с какой скоростью должны сталкиваться атомы, чтобы преодолеть потенциальную энергию электростатического отталкивания. Они должны обладать не меньшей кинетической энергией или по крайней мере равной. Следовательно, можно написать:

Массу одного атома можно найти из атомной массы, зная, сколько атомов содержится в одном моле:

Можно найти и скорость, с которой должны столкнуться атомы, чтобы могла начаться ядерная реакция:

У дейтерия атомный номер Z=1. Масса изотопа А=2, следовательно, скорость атомов должна быть равна: V=3,8х108 м/с, или 3800 км/с. При обычной температуре физикам известна средняя скорость теплового движения у атомов дейтерия, она равна всего лишь 1,9 км/с. При комнатной температуре, равной примерно 293 К, кинетическая энергия молекул возрастает пропорционально абсолютной температуре, или, что то же самое, пропорционально квадрату скорости.
Следовательно, чтобы средняя скорость молекул дейтерия была достаточной для реакции между ядрами, нужно нагреть тяжелый водород до температуры:

Итак, сталкиваться и реагировать между собой могут только ядра дейтерия, «нагретые» до температуры свыше миллиарда Кельвинов. Вот в этом-то и заключается довольно серьезное затруднение для подлинных героев науки — физиков, посвятивших свою жизнь труднейшей и величественнейшей из проблем — стремлению обеспечить энергией будущие поколения.
Быть может, тяжелую воду можно чем-нибудь заменить?
Ничем. Тяжелая вода как источник тяжелого водорода для термоядерных реакций с целью получения энергии, по-видимому, незаменима. Это следует из того, что необходимая для начала реакции температура сильно возрастает по мере увеличения атомного номера элемента. В самом деле, попробуйте сама подсчитать, какой температуре будет соответствовать кинетическая энергия частиц, способных преодолеть электростатическое отталкивание ядер атомов бериллия или кремния. Часть дейтерия можно заменить на тритий, но этого изотопа в природе почти нет.
Неужели это все-таки возможно?
Очень трудно, но возможно. Во-первых, природа и физика идут навстречу исследователям: чтобы началась реакция, не нужно, чтобы весь газ был нагрет до такой немыслимо чудовищной температуры. Достаточно, если отдельные атомы будут обладать в нем столь высокой энергией.
Во всяком газе при любой температуре есть частицы с разными скоростями, от очень малых до очень больших. Благодаря этому реакция между атомами дейтерия будет идти с достаточной скоростью даже и при температуре, в несколько раз меньшей, чем 109 К. Это намного облегчает задачу. Кроме того, существует так называемый туннельный эффект, благодаря которому всегда есть некоторая вероятность, что реакция между ядрами все же может произойти, даже если их кинетическая энергия будет несколько ниже, чем необходимо для преодоления электростатического отталкивания.
Поэтому для начала термоядерного процесса между ядрами тяжелого водорода оказывается вполне достаточной температура всего только в триста миллионов кельвинов!
Если же вести реакцию между дейтерием и тритием, то будет достаточно и сорока миллионов кельвинов
.
Как же это будет сделано?
Это уже сделано. Физики осуществили реакцию термоядерного взрыва, в которой температура, необходимая для начала ядерного синтеза более тяжелых элементов из легких ядер, достигается взрывом атомного заряда — запалом.
Но очень, очень много осталось еще сделать. Ведь нужен человечеству не взрыв, а управляемая реакция — источник энергии для промышленности, для транспорта, для всего, что будет необходимо обществу будущего. Нужна термоядерная «топка» — топка с температурой в сотни миллионов кельвинов.
3.Свойства воды
Почему вода — вода?
Этот вопрос совсем не так неразумен, как может показаться. В самом деле, разве вода — это только та бесцветная жидкость, что налита в стакан?
Океан, покрывающий почти всю нашу планету, всю нашу чудесную Землю, в котором миллионы лет назад зародилась жизнь, — это вода. Тучи, облака, туманы, несущие влагу всему живому на земной поверхности, — это ведь тоже вода.
Бескрайние ледяные пустыни полярных областей, снеговые покровы, застилающие почти половину планеты, — и это вода.
Прекрасно, невоспроизводимо бесконечное многообразие красок солнечного заката, его золотых и багряных переливов; торжественны и нежны краски небосвода при восходе солнца. Эта обычная и всегда необыкновенная симфония цвета обязана рассеянию и поглощению солнечного спектра водяными парами в атмосфере.
Это великий художник природы — вода.
Горные цепи сложены гигантскими толщами сотен различных горных пород, и геологи знают, что большинство из них создано величайшим строителем природы — водой. Непрерывно изменяется облик Земли. На месте, где возвышались высочайшие горы, расстилаются бескрайние равнины, их создает великий преобразователь — вода.
Безгранично многообразие жизни. Она всюду на нашей планете. Но жизнь есть только там, где есть вода. Нет живого существа, если нет воды.
Почему же одно из бесчисленных химических соединений с простой и ничем не примечательной формулой, состоящее из двух обычных для мироздания химических элементов, молекула которого состоит всего из трех атомов, — простая окись водорода, самая обычная, всем известная вода занимает столь особое место в жизни природы? Чем объясняется такая исключительная роль воды?
Среди необозримого множества веществ вода с ее физико-химическими свойствами занимает совершенно особое, исключительное место.
Почти все физико-химические свойства воды исключение в природе. Она действительно самое удивительное вещество на свете.
Вода удивительна не только многообразием изотопных форм молекулы и не только надеждами, которые связаны с ней как с неиссякаемым источником энергии будущего, но и своими самыми обычными свойствами.
А есть ли у воды родственники?
Если считать родственными воде соединения, состоящие, как и вода, только из водорода и кислорода, то родственники у воды есть.
Правда, их очень немного — всего два. Одно из этих соединений давно известно всем. Это самая обыкновенная перекись водорода. Другое найдено совсем недавно.
Теоретики, рассчитывающие структуры молекул, нашли термодинамическим путем, что при достаточно низких температурах кроме молекул:
Н—О—Н и Н—О—О—Н
могут быть устойчивы еще молекулы Н—О—О—О—Н.
Других молекул водород и кислород образовать больше не могут, потому что молекулы с еще большим содержанием кислорода
Н—О—О—О—О—Н
должны быть нестабильными даже при очень низких температурах.
Другая группа ученых, не приняв во внимание предсказания теории, пыталась на опыте доказать невозможность существования молекул Н2О3. Они хотели опровергнуть результаты всех предшествующих попыток получить это соединение; и... сами открыли трехокись водорода
. Молекула этого нового соединения водорода с кислородом построена в виде зигзагообразной цепочки:

Оно устойчиво только при температурах намного ниже 0°С. При более высокой температуре разлагается на воду и кислород. Получается в результате реакция между водородом и кислородом в тлеющем электрическом разряде при низких температурах.
Таким образом, открытие трехокиси водорода еще раз подтвердило, что теоретические расчеты вполне заслуживают доверия. Больше родственников у воды как будто бы нет.
Как построена молекула воды?
Как построена одна молекула воды, теперь известно очень точно. Она построена вот так.

Хорошо изучено и измерено взаимное расположение ядер атомов водорода и кислорода и расстояние между ними. Оказалось, что молекула воды нелинейна. Вместе с электронными оболочками атомов молекулу воды, если на нее взглянуть «сбоку», можно было бы изобразить вот так.
А если взглянуть «сверху» — со стороны атома кислорода, то так (3): т.е. геометрически взаимное расположение зарядов в молекуле можно изобразить как простой тетраэдр.
Все молекулы воды с любым изотопным составом построены совершенно одинаково.
Сколько молекул воды в океане?
Одна. И этот ответ не совсем шутка. Конечно, каждый может, посмотрев в справочник и узнав, сколько в Мировом океане воды, легко сосчитать, сколько всего в нем содержится молекул Н2О. Но такой ответ будет не вполне верен. Вода — вещество особенное. Благодаря своеобразному строению отдельные молекулы взаимодействуют между собой. Возникает особая химическая связь вследствие того, что каждый из атомов водорода одной молекулы оттягивает к себе электроны атомов кислорода в соседних молекулах. За счет такой водородной связи каждая молекула воды оказывается довольно прочно связанной с четырьмя другими соседними. Правда, эта схема чересчур упрощена. Представим себе несколько более верную картину. Для этого нужно учесть, что плоскость, в которой расположены водородные связи, в молекуле воды направлена перпендикулярно к плоскости расположения водородных атомов.
Все отдельные молекулы Н2О в воде оказываются связанными в единую сплошную пространственную сетку — в одну гигантскую молекулу. Поэтому вполне оправдано утверждение некоторых ученых физико-химиков, что весь океан — это одна молекула. Но не следует понимать это утверждение слишком буквально. Хотя все молекулы воды в воде и связываются между собой водородными связями, они в то же время находятся в очень сложном подвижном равновесии, сохраняя индивидуальные свойства и единичных молекул и образуя сложные агрегаты.
Подобное представление приложимо не только к воде: кусок алмаза тоже одна молекула.
Как построена молекула льда?
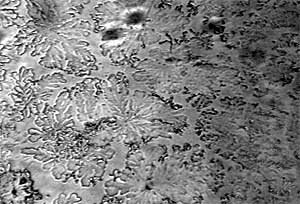
Никаких особых молекул льда нет. Молекулы воды благодаря своему замечательному строению соединены друг с другом так, что каждая из них связана и окружена четырьмя другими молекулами. Это приводит к возникновению очень рыхлой структуры льда, в которой остается очень много свободного объема. Правильное кристаллическое строение льда выражается в изумительном изяществе снежинок и в красоте морозных узоров на замерзших оконных стеклах.
А что такое снежинки?
Сростки ледяных кристалликов, образовавшиеся при конденсации водяного пара в верхних слоях атмосферы, где очень низкая температура.

Правильное кристаллическое строение льда выражается в изумительном изяществе снежинок
Почему же они такие красивые?
В кристаллической решетке льда есть плоскости, в которых атомы кислорода расположены так, что образуют правильные шестиугольники, как это видно на рисунке. Наверное, с этим и связана чаще всего встречающаяся шестилучевая форма изящных звездочек-снежинок.
Изумительная красота и бесконечное разнообразие форм снежинок вдохновили многих ученых на долголетние исследования этой удивительной загадки природы.
Были получены десятки тысяч фотографий снежинок в самых разнообразных условиях: и высоко в облаках, и у земли, и на Крайнем Севере, и на юге — всюду, где только может идти снег.
Взаимное притяжение ведет к тому, что средний размер сложной молекулы воды в жидкой воде значительно превышает размеры одной молекулы воды. Такое необычайное молекулярное строение воды обусловливает ее необычайные физико-химические свойства.
Какова должна быть плотность воды?
Правда, очень странный вопрос? Вспомните, как была установлена единица массы — один грамм. Это масса одного кубического сантиметра воды. Значит, не может быть никакого сомнения в том, что плотность воды должна быть только такой, какая она есть. Можно ли в этом сомневаться? Можно. Теоретики подсчитали, что если бы вода не сохраняла рыхлую льдоподобную структуру в жидком состоянии и ее молекулы были бы упакованы плотно, то и плотность воды была бы гораздо выше. При 25°С она была бы равна не 1,0, а 1,8 г/см3.
При какой температуре вода должна кипеть?
Этот вопрос тоже, конечно, странен. Ведь вода кипит при ста градусах. Это знает каждый. Больше того, всем известно, что именно температура кипения воды при нормальном атмосферном давлении и выбрана в качестве одной из опорных точек температурной шкалы, условно обозначенной 100°С.
Попробуйте представить себе, что наша вода потеряла вдруг способность образовывать сложные, ассоциированные молекулы. Тогда она, вероятно, должна была бы кипеть при той же температуре, какая ей положена в соответствии с периодическим законом Менделеева. Что бы тогда стало на нашей Земле? Океаны внезапно закипели бы. На Земле не осталось бы ни одной капли, а на небе никогда не смогло бы появиться ни одного облачка... Ведь в атмосфере земного шара температура нигде не падает ниже –80—90°С.
При какой температуре вода замерзает?
Не правда ли, вопрос не менее странен, чем предыдущие? Ну кто же не знает, что вода замерзает при нуле градусов? Это вторая опорная точка термометра. Это самое обычное свойство воды. Но ведь и в этом случае можно спросить: при какой температуре вода должна замерзать в соответствии со своей химической природой? Оказывается, гидрид кислорода на основании его положения в таблице Менделеева должен был бы затвердевать при ста градусах ниже нуля.
Попробуйте и на этот раз пофантазировать: вдруг исчезает ассоциация молекул воды... немедленно на всей нашей планете исчезают снега и льды.
Нельзя кататься на коньках, бегать на лыжах; впрочем, и некому тогда было бы кататься и бегать.
Полагается ли воде быть на Земле жидкой или твердой?
Нет, не полагается. Из того, что температура плавления и кипения гидрида кислорода — его аномальные свойства, следует, что в условиях нашей Земли жидкое и твердое состояния его также аномалии. Нормальным должно было бы быть только газообразное состояние воды.
Невозможным жителям невозможного мира, в котором все свойства воды были бы нормальны, пришлось бы строить специальные машины, чтобы сжижать такую воду, подобно тому как это делаем мы, получая жидкий кислород.
Самые обычные свойства воды оказываются необычайными и удивительными, если как следует с ними познакомиться и хорошо в них разобраться.
Бывает ли жидкая вода твердой?
Это вполне разумный вопрос. К сожалению, очень немногие знают, как на него правильно ответить. Ответ с первого взгляда несколько неожиданный, но с ним легче будет примириться, если сначала обсудить более простой и понятный обратный вопрос, на который, наверное, могут ответить все: когда твердая вода бывает жидкой?
Конечно, здесь не идет речь о том, что воду можно заморозить или растопить лед. Совсем нет — эти вопросы относятся к жидкой воде и твердому льду.
Всем известно, что лед при медленно действующих нагрузках течет. Ледники в горах текут подобно рекам, только очень и очень медленно, со скоростью всего в несколько метров в год. Значит, любой лед всегда в какой-то очень малой степени одновременно является жидким телом, если обладает свойством течь, подобно тому как течет любая жидкость. Под действием вековых нагрузок становятся пластичными и текут горные породы.
Если твердое тело в той или иной степени является жидким, то отсюда вполне разумно будет сделать вывод, что и обратное заключение тоже может быть справедливым и любая жидкость тоже должна в той или иной степени обладать признаками твердого тела.
Если лед при очень медленной нагрузке течет, то вода при очень быстром воздействии должна вести себя как твердое тело и разбиваться на куски, подобно хрупкому твердому телу. Это так на самом деле и есть. Этот вывод полностью подтверждает опыт. Если по струйке воды ударить с очень большой скоростью стальным бойком, то жидкая водяная струя расколется и разлетится на осколки, так же как расколется разбитая стеклянная палочка. Если пуля попадает в кастрюльку с водой, то мгновенная картина разрушения сходна с разрушением куска стекла. Таким образом, жидкая вода всегда в то же время является твердой. Какое свойство проявится — зависит от скорости деформации.
Только не следует думать, что это интересное качество присуще одной воде. Оно свойственно и другим жидкостям. Даже газы, например воздух, тоже обладают некоторыми свойствами твердого тела, правда в ничтожной степени. «Твердость» воздуха проявляется только в очень узких щелях при быстрой деформации.
Так что, по существу, нет ничего удивительного в том, что жидкая вода одновременно немного твердая. Жители фантастического мира, которые были бы способны двигаться в тысячу раз быстрее, чем мы, могли бы преспокойно гулять по воде.
Сколько существует газообразных состояний воды?
Только одно — пар. А пар тоже только один? Конечно нет, паров воды столько же, сколько существует различных вод. Водяные пары, различные по изотопному составу, обладают хотя и очень близкими, но все же различными свойствами: у них разная плотность, при одной и той же температуре они немного отличаются по упругости в насыщенном состоянии, у них чуть-чуть разные критические давления, разная скорость диффузии.
Сколько существует жидких состояний воды?
На такой вопрос не так просто ответить. Конечно, тоже одно — привычная нам всем жидкая вода. Но вода в жидком состоянии обладает такими необыкновенными свойствами, что приходится задуматься: правилен ли такой простой, казалось бы, не вызывающий никаких сомнений ответ? Вода — единственное в мире вещество, которое после плавления сначала сжимается, а затем по мере повышения температуры начинает расширяться. Примерно при 4°С у воды наибольшая плотность. Эту редкостную аномалию в свойствах воды объясняют тем, что в действительности жидкая вода представляет собой сложный раствор совершенно необычайного состава: это раствор воды в воде.
При плавлении льда сначала образуются крупные сложные молекулы воды. Они сохраняют остатки рыхлой кристаллической структуры льда и растворены в обычной низкомолекулярной воде. Поэтому сначала плотность воды низкая, но с повышением температуры эти большие молекулы разрушаются, и поэтому плотность воды растет, пока не начнет преобладать обычное тепловое расширение, при котором плотность воды снова падает. Если это верно, то возможны несколько состояний воды, только их никто не умеет разделить. И пока неизвестно, удастся ли когда-нибудь это сделать. Такое необычайное свойство воды имеет огромное значение для жизни. В водоемах перед наступлением зимы постепенно охлаждающаяся вода опускается вниз, пока температура всего водоема не достигнет 4°С. При дальнейшем охлаждении более холодная вода остается сверху и всякое перемешивание прекращается. В результате создается не обычайное положение; тонкий слой холодной воды становится как бы «теплым одеялом» для всех обитателей подводного мира. При 4°С они чувствуют себя явно неплохо.
Что должно быть легче — вода или лед?
Кто же этого не знает... Ведь лед плавает на воде. В океане плавают гигантские айсберги. Озера зимой покрыты плавающим сплошным слоем льда. Конечно, лед легче воды.
Но почему «конечно»?.. Разве это так ясно? Наоборот, объем всех твердых тел при плавлении увеличивается, и они тонут в своем собственном расплаве. А вот лед плавает в воде. Это свойство воды — аномалия в природе, исключение, и притом совершенно замечательное исключение.
Попробуем вообразить, как выглядел бы мир, если бы вода обладала нормальными свойствами и лед был бы, как и полагается любому нормальному веществу, плотнее жидкой воды.
Зимой намерзающий сверху более плотный лед тонул бы в воде, непрерывно опускаясь на дно водоема. Летом лед, защищенный толщей холодной воды, не мог бы растаять.
Постепенно все озера, пруды, реки, ручьи промерзли бы нацело, превратившись в гигантские ледяные глыбы. Наконец, промерзли бы моря, а за ними и океаны. Наш прекрасный цветущий зеленый мир стал бы сплошной ледяной пустыней, кое-где покрытой тонким слоем талой воды.

Сколько существует льдов?
В природе на нашей Земле — один: обычный лед. Это самый прекрасный из всех минералов. Никакие алмазы не могут сравниться блеском и красотой со снежинками, искрящимися на солнце. Из этого голубовато-зеленого камня сложены на Земле не только горы и колоссальные ледники, им покрыты целые материки. Лед — горная порода с необычайными свойствами. Он твердый, но течет, как жидкость, и существуют огромные ледяные реки, медленно стекающие с высоких тор. Лед изменчив — он непрерывно исчезает и образуется вновь. Лед необычайно прочен и долговечен — десятки тысячелетий хранит он в себе без изменений тела мамонтов, случайно погибших в ледниковых трещинах.
В своих лабораториях человек сумел открыть еще, по крайней мере, шесть различных, не менее удивительных льдов. В природе их найти нельзя. Они могут существовать только при очень высоких давлениях. Обычный лед сохраняется до давления 208 МПа (мегапаскалей), но при этом давлении он плавится при –22°С. Если давление выше, чем 208 МПа, возникает плотный лед — лед-III. Он тяжелее воды и тонет в ней. При более низкой температуре и большем давлении — до 300 МПа — образуется еще более плотный лед-II. Давление сверх 500 МПа превращает лед в лед-V. Этот лед можно нагреть почти до 0°С, и он не растает, хотя и находится под огромным давлением. При давлении около 2 ГПа (гигапаскалей) возникает лед-VI. Это буквально горячий лед — он выдерживает, не плавясь, температуру 80°С. Лед-VII, найденный при давлении 3 ГПа, пожалуй, можно назвать раскаленным льдом. Это самый плотный и тугоплавкий из известных льдов. Он плавится только при 190°C.
Это совершенно необычайный лед. Мало того что на куске такого льда можно было бы с полным успехом жарить пищу, если бы только он существовал при обычном давлении, но этот лед-VII еще обладает необыкновенно высокой твердостью. Не следует думать, что он получается только лишь в установках высокого давления в лабораториях ученых, а больше его нигде и не встретишь. Этот лед может стать даже причиной внезапных катастроф. В подшипниках, в которых вращаются валы мощных турбин электростанций, развивается огромное давление. Если в смазку попадет хотя бы немного воды, она замерзнет, несмотря на то что температура подшипников очень высока. Образовавшиеся частицы льда-VII, обладающие огромной твердостью, начнут разрушать вал и подшипник и быстро выведут их из строя.
Некоторые ученые подозревают, что существует еще неустойчивый лед-IV, быстро переходящий в лед-V.
Может быть, лед и в космосе есть?
Как будто бы есть, и при этом очень странный. Но открыли его ученые на Земле, хотя такой лед на нашей планете существовать не может. Плотность всех известных в настоящее время льдов даже при очень высоких давлениях, лишь очень немного превышает 1 г/см3. Плотность гексагональной и кубической модификации льда при очень низких давлениях и температурах, даже близких к абсолютному нулю, немного меньше единицы. Их плотность равна 0,94 г/см3.
Но оказалось, что в вакууме, при ничтожных давлениях и при температурах ниже –170°С, при , условиях, когда образование льда происходит при его конденсации из пара на охлаждаемой твердой поверхности, возникает совершенно удивительный лед. Его плотность... 2,3 г/см3. Все известные до сих пор льды кристаллические, а этот новый лед, по-видимому, аморфный, он характеризуется беспорядочным относительным расположением отдельных молекул воды; определенная кристаллическая структура у него отсутствует. По этой причине его иногда называют стеклянным льдом. Ученые уверены, что этот удивительный лед должен возникать в космических условиях и играть большую роль в физике планет и комет. Открытие такого сверхплотного льда было для физиков неожиданным.
А еще какие-нибудь льды существуют?
Такой вопрос и задавать не следовало бы. Конечно существуют. Ученые хорошо изучили свойства льда, образующегося при замерзании тяжелой воды. Это совсем особый лед. Он плавится не при нуле градусов, а на 3,18° выше нуля. По всем своим свойствам тяжеловодный лед хоть немного да отличается от природного льда. Можно лед приготовить из легкой воды, можно — из нулевой воды, можно — из тяжелокислородной воды. Уж если быть очень строгим в формулировках, то следует признать, что любой из возможных различных «вод» соответствует свой собственный лед, и в нескольких формах. И конечно, все эти льды разные.
Но может быть, где-нибудь в природе есть еще какие-нибудь льды?
Пока нет. Но наверное, человек, расширяя свое познание природы, сумеет в будущем найти еще не один новый вид льда, И никто не может сказать, какое это будет иметь значение.
Но если больше никаких льдов нет, то какой же лед замерзает летом в газопроводах?
Удивительный и причиняющий много больших затруднений ученым, а еще больше инженерам и технологам.
Во влажном горючем газе при транспортировке его по трубопроводам от подземных скважин под давлением в десятки атмосфер даже летом, в теплую погоду, образуется лед на стенках стальных труб. Слой льда может нарасти настолько толстым, что перекроет трубу ледяной пробкой и прекратит подачу газа. Такую серьезную аварию ликвидировать бывает нелегко.
Этот странный лед возникает только в присутствии сжатого до большого давления горючего газа. Трудно только определить — лед это или не лед. Очень много труда пришлось затратить исследователям, пока удалось выяснить его природу.
Его кристаллическая решетка построена почти так же, как и у обычного льда, — она образована молекулами воды с помощью водородных связей.
Как и у обычного льда, в ней имеются пустые полости определенного объема. При образовании льда в среде сжатого газа происходит странное явление, открытое впервые сравнительно недавно, — в каждой такой свободной полости решетки льда оказывается заключенной молекула метана. Эта пойманная в клетку молекула газа не связана химически с молекулами воды, образующими кристаллическую ячейку льда. Просто она захвачена. Такой лед содержит много метана.
Газовые молекулы, включенные в решетку льда, все-таки влияют на его свойства. Они повышают устойчивость решетки, и поэтому такой лед плавится при более высокой температуре.
Такие соединения, хотя они и существуют, и имеют теперь довольно большое значение, и являются весьма многочисленными, не могут быть причислены к химическим соединениям. Химические связи в их образовании участия не принимают. Они получили название клатратов. Наверное, их можно назвать механическими соединениями.
В трубах, по которым транспортируется газ, и образуется клатратный лед. Пожалуй, это всё-таки не лед.
Что нужно, чтобы лед растаял?
Очень много тепла. Гораздо больше, чем для плавления такого же количества любого другого вещества. Исключительно большая удельная теплота плавления 80 кал (335 Дж) на грамм льда — также аномальное свойство воды. При замерзании воды такое же количество тепла снова выделяется.
Когда наступает зима, образуется лед, выпадает снег и вода отдает обратно тепло, подогревает землю и воздух. Они противостоят холоду и смягчают переход к суровой зиме. Благодаря этому замечательному свойству воды на нашей планете существует осень и весна.
Все ли уже про лед известно?
Что за вопрос? Конечно нет. Ни о чем нельзя в науке сказать: да, это уже полностью изучено, ничего не известного не осталось. Тем более, если вопрос относится к самому удивительному минералу на нашей планете — к твердой воде.
Казалось бы, что может быть изучено более подробно, чем самый обыкновенный лед, но это давно знакомое вещество до сих пор полно тайн и загадок.
Лед обладает таинственной кристаллической структурой. Его строение и прочность определяются прочностью водородных связей между отдельными молекулами воды. Водородная связь играет огромную роль в строении молекул биополимеров в тканях всех живых организмов. Это, быть может, имеет большое значение для жизни, так как следы структуры льда, по-видимому, долго сохраняются в талой воде. Эта область только еще начинает изучаться наукой.
В последние годы начинает развиваться новая важная область знания — физика льда. Лед — прочный, дешевый и хороший строительный материал. Из него строят жилища, склады, он создает природные надежные дороги, переправы, взлетно-посадочные площадки. Лед — причина стихийных бедствий. Он разрушает плотины, сносит мосты, сковывает грунт, вызывает обледенение самолетов и кораблей. Стало совершенно необходимым изучить все свойства льда, определить его механические, электрические, акустические, электромагнитные, радиационные характеристики.
При этом было открыто много неожиданного, о чем раньше и предполагать было нельзя. Например, лед оказался полупроводником, причем его проводимость протонного типа. Установлено, что при замерзании воды на границе между льдом и водой возникает разность электрических потенциалов, достигающая десятков вольт.
Обнаружена подвижность молекул в кристаллической решетке льда: они могут не только вращаться, но и перемещаться скачкообразно на сравнительно большие (в молекулярном масштабе) расстояния.
Много удивительного установлено при изучении процессов образования и поведения льдов в природе. Полярные льды в напряженном состоянии «кричат». Когда начинается деформация льда, то, как описывает Ф. Нансен, возникает легкий треск и стон, усиливаясь, он переходит через все виды тонов — лед то плачет, то стонет, то грохочет, то ревет, постепенно возрастая, его «голос» становится подобным звучанию всех труб органа.
Перед разрушением, при критических напряжениях, лед звенит, вздыхает, ухает.
Установлена зависимость между характером звучания льда и температурой воздуха. Этот важный раздел физики льда изучен еще далеко не достаточно.
Еще больше загадок скрывается в исследованиях энергетики процессов образования льдов в природе. Гигантское количество тепла, освобождающееся при замерзании воды, задерживает наступление зимних холодов. Тепло, поглощаемое при таянии льдов, замедляет приход весны. С изменением массы льда на планете связаны изменения климата на Земле. Но точный расчет зависимости между погодой и колоссальной энергоемкостью этих глобальных процессов пока еще невозможен — слишком много в них неизвестного.
Есть, например, и такие загадки. В старых записях сохранились предания о том, что иногда ледяные поля приобретают способность долго светиться в темноте, испуская слабый свет после того, как были освещены солнцем. Интересно было бы знать, верно ли это, когда и почему это явление происходит, чем объясняется. Есть наблюдения, что иногда светится и снег, если его при нескольких градусах мороза внести в темную комнату после освещения ярким солнцем. Рассказывают, что первые градины тоже светятся - они будто бы обладают электролюминесценцией. Интересно было бы и это проверить и объяснить.
Сколько тепла нужно, чтобы нагреть воду?
Очень много. Больше, чем для нагревания равного количества любого другого вещества. Чтобы нагреть грамм воды на один градус, необходима одна калория (4,2 Дж). Это больше чем вдвое превышает теплоемкость любого химического соединения.
Вода — вещество, необычайное даже в самых обыденных для нас свойствах. Конечно, эта способность воды имеет очень большое значение не только при варке обеда на кухне. Вода — это великий распределитель тепла по Земле. Нагретая Солнцем под экватором, она переносит тепло в Мировом океане гигантскими потоками морских течений в далекие полярные области, где жизнь возможна только благодаря этой удивительной особенности воды.
Как вода попадает в облака?
Очень просто. Солнце нагревает воду. Всюду, где она есть, — в луже, в пруду, в море, в океане. Вода поглощает в своем тонком верхнем слое почти всю энергию попадающих на нее солнечных лучей и испаряется. Молекулы воды исключительно просты в своем строении и вместе с тем необычайны, отличны от всех других молекул. Они сильно притягиваются друг к другу благодаря силам межмолекулярного притяжения за счет дополнительных водородных связей. Солнцу приходится затрачивать очень много энергии, чтобы разделить молекулы воды и превратить ее в пар. Нет ни одного вещества, у которого удельная теплота испарения была бы больше, чем у воды. Вода — лучший теплоноситель. Ничто не может сравниться с ней. Ничто не может лучше работать в паровых турбинах электростанций, в цилиндрах паровых двигателей.
Вода — гигантский двигатель и в природе. Метеорологи подсчитали, что Солнце испаряет на Земле за одну минуту миллиард тонн воды. Каждую минуту миллиард тонн водяного пара вместе с восходящими потоками нагретого воздуха поднимается в верхние слои атмосферы. Каждый грамм водяного пара уносит с собой 537 кал (2265 Дж) солнечной энергии.
На большой высоте, где давление мало, воздух расширяется, его температура сильно понижается и водяной пар конденсируется, снова превращаясь в воду — ее мельчайшие капельки образуют облака.
Энергия Солнца, поднятая с водяным паром вверх, неминуемо должна выделиться обратно, когда пар превращается в облака. Эта энергия переходит в тепловую, нагревая воздух. Каждую минуту водяной пар отдает атмосфере Земли чудовищно огромное количество энергии — 2,2x1010 Дж. Столько энергии за то же время могли бы выработать 40 млн электростанций, по миллиону киловатт каждая.
Это та энергия, которая переносит сотни миллиардов тонн воды по воздуху в облаках и орошает дождями всю поверхность Земли. Это та энергия, за счет которой дуют ветры, возникают бури, рождаются ураганы и штормы. А только один развившийся ураган выделяет энергию, эквивалентную энергии 30 тыс. атомных бомб.
Почему в море вода соленая?
Это, пожалуй, одно из самых важных следствий одного из самых удивительных свойств воды. В ее молекуле центры положительных и отрицательных зарядов сильно смещены относительно друг друга. Поэтому вода обладает исключительно высоким, аномальным значением диэлектрической проницаемости. Для воды она равна 80, а для воздуха и вакуума 1. Это значит, что два любых разноименных заряда в воде взаимно притягиваются друг к другу с силой в 80 раз меньшей, чем в воздухе, по закону Кулона:

Но все же межмолекулярные связи во всех телах, определяющие прочность тела, обусловлены взаимодействием между положительными зарядами атомных ядер и отрицательными электронами. На поверхности тела, погруженного в воду, силы, действующие между молекулами или атомами, ослабевают под влиянием воды почти в сотню раз. Если оставшаяся прочность связи между молекулами становится недостаточной, чтобы противостоять действию теплового движения, молекулы или атомы тела начинают отрываться от его поверхности и переходят в воду. Тело начинает растворяться, распадаясь либо на отдельные молекулы, как сахар в стакане чаю, либо на заряженные частицы — ионы, как поваренная соль.
Именно благодаря аномально высокой диэлектрической проницаемости вода — один из самых сильных растворителей. Она даже способна растворить любую горную породу на земной поверхности. Медленно и неотвратимо она разрушает даже граниты, выщелачивая из них легкорастворимые составные части.
Нет в природе такой прочной породы, которая могла бы сопротивляться всемогущему разрушителю — воде.
Ручьи, речки и реки сносят растворенные водой примеси в океан. Вода из океана испаряется и вновь возвращается на землю, чтобы снова и снова продолжать свою вечную работу. А растворенные соли остаются в морях и океанах.
Не думайте, что вода растворяет и сносит в море только то, что легко растворимо, и что в морской воде содержится только обычная соль, которая стоит на обеденном столе. Нет, морская вода со держит в себе почти все элементы, существующие в природе. В ней есть и магний, и кальций, и сера, и бром, и йод, и фтор. В меньшем количестве в ней найдены железо, медь, никель, олово, уран, кобальт, даже серебро и золото, свыше шестидесяти элементов нашли химики в морской воде. Наверное, будут найдены и все остальные. Больше всего в морской воде поваренной соли. Поэтому вода в море соленая.
А знаете ли вы, что кровь человека и других животных близка по составу к морской воде? И что растения извлекают из земли питательные вещества в виде водного раствора? Если бы вода не обладала удивительным свойством — необычайно высокой диэлектрической проницаемостью, море не было бы соленым. Но это некому было бы заметить — не было бы на Земле жизни.
Распадаются ли в воде ва ионы ее собственные молекулы? Да, распадаются. Молекулы воды очень прочны, но все же очень небольшая часть их диссоциирует на ионы:
Н2О=Н++ОН–.
При этом из каждого миллиарда молекул воды при обычной температуре диссоциированы всего лишь только две молекулы.
Свободный протон Н+ — ядро атома водорода, — конечно, не может существовать в водной среде; ион водорода немедленно присоединяется к молекуле воды и образует ион гидроксония Н3О+.
А может ли быть вода без молекул воды?
Да, как будто бы может. Правда, такая вода еще пока не получена. Но ученые установили, что если воду нагревать все больше и больше, то диссоциация ее молекул на ионы будет возрастать. При очень высокой температуре должно наступить такое удивительное состояние воды, при котором в ней не останется ни одной молекулы воды, все они распадутся на ионы.
Удалось рассчитать, что такое состояние воды должно наступить при температуре не ниже 900°С. Давление при этом должно быть не менее 15 ГПа. Может быть, такая вода существует в недрах Земли. Интересно, какие у нее свойства.
Как вода обрадуется в воде из воды?
Конечно, проще всего предположить, что молекулы воды в воде образуются при взаимодействии протона и иона водорода с отрицательным ионом — гидроксилом. Так это и было написано во всех школьных учебниках мира. Потом химики стали считать, что молекулы воды образуются при взаимодействии гидроксила с ионом гидроксония:
Н3О++ОН–=2Н2O
Так как размеры иона гидроксония гораздо больше размеров «голого» протона — иона водорода Н+, то столкновения гидроксила с гидроксонием должны происходить чаще, чем с протоном, и скорость реакции должна быть выше. Можно даже теоретически рассчитать, определив размеры частиц, значение констант скоростей обеих реакций — и с протоном, и с ионом гидроксония.
Однако опыт привел к неожиданному и удивительному результату: оказалось, что константа скорости реакции на самом деле имеет еще большее значение и молекулы воды в воде образуются и не из ионов водорода Н+, как учили школьные учебники, и не из ионов гидроксония, как считают почти все химики, а из частиц гораздо больших размеров. Ученые думают, что вода в воде образуется из больших ионов:
Н9О4+ и Н7О4–.
Уравнение реакции образования воды в воде теперь выглядит даже для глаза химика удивительно:
H9O4++H7O4–=8H2O
Триединство воды
Введение
В соответствии с эзотерическим учением о человеке, о живой природе, сущность материального триединая: вещество (масса), энергия и информация. Человек, как открытая живая система - это триединство тела, души и духа. Православное учение о Троице не противоречит современным научным представлениям о живой природе, о его полевой структуре. По-видимому, впервые это подметил В. Раушенбах. Он писал: "Мне удалось показать, в чем заключалась логическая ошибка сторонников второй точки зрения (что Бог состоит из трех лиц) и как надо в этом случае правильно рассуждать, чтобы доказать, что понятие Троицы логически безупречно, даже когда три Бога составляют одного Бога. Я сказал себе будем искать в математике объект, обладающий всеми логическими свойствами Троицы и если такой объект будет обнаружен, то этим будет доказана возможность логической непротиворечивости структуры Троицы и, в том случае, когда каждое лицо является Богом. И четко сформулировал логические свойства Троицы, сгруппировав их и, уточнив, я вышел на математический объект полностью соответствующий перечисленным свойствам - это был самый обычный вектор с его ортогональными составляющими. Таким образом было показано, что формальная логика допускает существование триединых объектов, по своей логической структуре аналогичных Троице, не вызывая никаких противоречий".
Как теперь становится очевидным, принцип триединственности проявляется в современном естествознании.
Окружающий нас мир состоит из многочисленных взаимодействующих между собой объектов. Оказывается, что каждый объект живой природы, независимо от его сложности, проявляет себя тройственным образом: испытывает на себе внешние воздействия, изменяется под внешними воздействиями и оказывает воздействие на окружающую среду. Таким образом, триединство проявляется буквально повсюду. Для описания любой системы необходимо и достаточно трех компонентов (неизбыточность).
Основа жизни – вода
Исходя из концепции триединства, особый интерес представляет рассмотрение воды, как самого важного минерала жизни на Земле, "Тот, кто управляет свойствами воды, способен воздействовать на любые процессы, происходящие в мире". Это действительно сегодня подтверждается. Уже хорошо всем известно, что организм человека в среднем на 70% состоит из воды. Это вода клеток, внеклеточной жидкости и сосудистого русла. Вода - это, в первую очередь, растворитель, та среда, в которой протекают все процессы жизнедеятельности, все биохимические и биофизические превращения. Без воды невозможно существование живых структур, вода сама является живой структурой, вода и есть жизнь. Поскольку все в живом мире подчиняется триединству; материя существует в веществе, информации и энергии, то естественно вода как живая система триедина: материя, информация и поле. В природе триединство воды проявляется в том, что это один из минералов природы, который может одновременно существовать в трех состояниях: кристалл (лед) жидкость, газ (пар) и соответственно проявлять различные физические свойства. Это триединство связано с проявлением трех различных фазовых состояний воды. В естественном, жидком состоянии, проявляется триединство свойств воды: материя, информация и поле, которые вместе и объясняют все свойства воды в природе.
Рассмотрим в этой статье некоторые обобщенные свойства воды, с учетом результатов исследований последних лет, которые подтверждают триединую сущность природы воды.
Вода - материальный объект
Поскольку, вода в природе составляет основу любой живой структуры, то неудивительно, что ряд физических характеристик воды приняты за эталоны определенных процессов в природе: температура кипения 1000С, плотность 1 г/см3 и др. . Вода проявляет ряд необычных свойств в природе: высокая температура кипения, значительная растворяющая и диссоциирующая способность, небольшая теплопроводность, высокая теплота испарения и другие свойства, которые определяются строением молекул воды, их химической и пространственной структурой, примесями, которые растворены в воде, если речь идет о природной, о питьевой воде.
Характерной особенностью молекул воды является способность образовывать водородную связь между собой, что является специфической характеристикой воды как конденсированной, жидкой субстанции. В целом структура воды представляется как смесь протонофильных и гидроксофильных кластеров и клатратов. Новым, возможно, в этом является учет наличия в воде протонолитических активных водных кластеров и клатратов.
Первичным в определении свойств воды является её химический состав. Питьевая вода по химическому составу должна соответствовать международному стандарту и определяется этот состав химическим анализом воды.
Как физическая среда, вода имеет характерную структуру, определяющая её фазовую диаграмму состояний и определяется материальная структура воды с помощью специальных физических методов её изучения.
Не затрагивая рассмотрение всех возможных структур воды, как природного объекта исследований, рассмотрим только те физические характеристики воды, которые определяют воду как питьевую воду и каким физическим, физико-химическим критериям должна удовлетворять вода, чтобы считаться питьевой водой наивысшего качества относительно организма человека.
Питьевая вода, природная, которая не имеет на себе влияния тех или иных техногенных влияний водоподготовки - это многокомпонентный водный раствор, состоящий из матрицы - растворителя, структура которого задается сеткой водородных связей, в которую "встроены" различные микроэлементы в соответствующей ионной форме. Возможны две предельные стабильные формы такой воды: одна это обычная гетерофазная, нескоррелированная между собой структура и другая - такая вода представляет собой самоорганизованную, скоррелированную по матрице и примесям, т.е. из хаотической структуры образуется структурно упорядоченная физическая среда. С точки зрения физики, это означает, что такая вода представляет собой слабо концентрированный лиотропный жидкий кристалл. Лиотропный мезоморфизм - это основная структура любой живой системы. Если действительно в конденсированной воде есть хоть очень слабое структурное упорядочение (лиотропный мезоморфизм), то в таком случае, при фазовом переходе: лиотропная фаза - твердая фаза в твердой фазе будет всегда образовываться фрактальная структура.
 Микрофотография твердой фазы структуры обычной питьевой
воды (неупорядоченная) для двух поляризаций света.
На фотографиях приведены микрофотографии твердой фазы двух структур питьевой воды: обычной питьевой воды, соответствующая ГОСТУ на воду "Вода питьевая" и наивысшего качества питьевая вода, структурно- упорядоченная, фрактальная, или "живая" питьевая вода. Характеристику "живая" такая вода приобретает по следующей причине. Оказывается, с одной стороны, фрактальная структура воды это структура, характерная, в первую очередь для живых систем . Кроме этого, образующиеся фракталы, которые обладают оптической активностью или дисимметрийностью, что видно из рис.1, в поляризованном свете структура твердой фазы дисимметрична. А наличие дисимметрии в живой структуре, это является основной характеристикой живой системы - правило Пастера-Кюри-Вернадского.
 
Микрофотография твердой фазы структуры "живой" воды, структурно-упорядоченная или фрактальная питьевая вода, тоже для 2-х поляризаций света. Е перпендикулярно и параллельно оптической оси кристалла (темная и светлая картинки).
Таким образом, вода как материя, обладает характерными проявлениями структуры, которые отображают её различные свойства, как материальной системы, соответственно физические, химические, биологические, физиологические и другие свойства.
Информационные свойства воды.
Возможно, наиболее важной и сложной для понимания, являются информационные свойства воды. Информация, в количественном смысле понимается, как мера организации, присущей материальным объектам. Такое определение информации затрагивает только её качественную сторону и не дает понятий содержанию информации. Известна формула Шенона, которая позволяет получить количество информации, воплощенной в некоторой системе. Эта формула определяет общее количество информации, воплощенной в состояниях системы. Информация имеет двойственный характер, т.е. она имеет конкретное содержание (качество) и абстрактное количество. Кроме этого информацию можно разделить на объективную и субъективную.
"Объективная информация" в количественном смысле - это определенное свойство физических систем, которое присуще им, независимо от того, воспринимается оно субъектом или нет. Объективная информация имеется в виду та информация, которая присуща объекту как таковому.
Из-за того, что вода составляет основу всех живых объектов, она и выступает основным носителем информации в Природе. Непосредственным передатчиком и носителем информации являются волновые процессы, в которых вода играет определяющую роль. В Природе главными являются геометрические начала, такие как фрактальная биомеханика, которая изучает передачу образов, их семантического наполнения. Существует понятие семантический биорезонанс, высшей формой проявления которого является Любовь - что, в свою очередь, представляет важнейшее качество человека.
Изучение вопросов передачи, преобразования и хранения информации в объектах в норме и патологии составляет основу информационно-волновой биологии и медицины.
Волновые свойства воды заложены в основу вибрационной или информационной медицины - медицины 21 века.
У воды есть "память", т.е. вода благодаря триединству своей структуры способна запоминать любую информацию Природы. Феномен структурной памяти воды, который впервые экспериментально доказали японские ученые, позволяет воде впитывать в себя, хранить и обмениваться с окружающей средой данными, которые несет свет, звук, любое физическое поле, мысль и обычное слово человека. Все это может сохранять в себе структурная память воды.
Любые внешние факторы, в том числе и общение людей друг с другом, в первую очередь через воду, меняют структуру и биохимический состав жидких сред организма на клеточном уровне. Поэтому повышенная утомляемость, плохое настроение, беспричинная агрессия, нервозность, нарушение равновесия вегетативной нервной системы, многие болезни, возникающие на полевом, биоинформационном уровне, все это проявление информационных свойств воды, в первую очередь связанной воды организма. В этой связи важно человеку следить за своими словами и необходимо помнить, что слова человека, как источник информации, влияют на все окружающее. Своими отрицательными мыслями человек способен отравить все, что имеет в своем составе хотя бы мизерное содержание воды. Эти информационные свойства воды в планетарном плане, по мнению многих ученых, имеют отношение к штормам, ураганам, наводнениям и другим катаклизмам природы. Это реакция воды на общее загрязнение информационной среды пространства. Вода возвращает нам вложенную в неё информацию. Очень загрязняют внешнюю среду постоянные негативные поведения населения, криминальные сцены, военные конфликты , порнография, даже если это происходит в кино, по телевидению, радио. Еще раз подчеркнем, все мысли людей, эмоции, действия запоминаются информационной средой, а далее уже как самостоятельная информация могут оказывать воздействие на нашу жизнь и духовность социума. Информационное воздействие водной среды на общество - одно из самых серьёзных эндоэкологических воздействий на человека.
Таким образом, информационные свойства воды - это канал по которому, чистотой своих мыслей, человек способен не только поправлять собственное здоровье, а что не менее важно - очищать окружающую среду своего обитания.
Экспериментально информационные свойства воды как проявление особенностей структуры твердой фазы доказал серией исследований профессор из Японии, Имото Масару. Масару замораживал капельки воды, а затем изучал их под микроскопом, со встроенной фотокамерой. Эти исследования наглядно и однозначно продемонстрировали различия в молекулярной, а за ней и в кристаллической структуре при различном информационном воздействии на воду.
Загрязненная вода имеет нарушенную структуру, как бы случайным образом сформированную структуру.
Изучая кристаллооптически структуру твердой фазы для случая фазового перехода: вода питьевая - твердая фаза (леофилизация), мы показали, что и в этом случае визуализируется информация о воде в виде дисимметрийных фракталов.
Профессор Масару изучил влияние музыки на структуру снежинок. Если сосуд с дистиллированной водой поставить на несколько часов между двух музыкальных колонок, а затем заморозить такую "озвученную" воду, то в зависимости от типа музыки структура снежинок была разной. Он показал, что вода реагировала на иероглифы, написанные на бумаге, когда определенное время вода "видела" их. Влияют звуковые вибрации естественно и на процессы формирования твердой фазы при леофилизации, визуализируя, таким образом, влияние звука на структуру воды.
Последние достижение в изучении информационных свойств воды является то, что исследования японских ученных доказали, что вода реагирует на эмоции человека, т.е. действительно является живой системой.
Биоэнергетические свойства воды
Две составляющие триединства природы воды мы рассмотрели выше, осталась не менее важная, чем эти две, характеристика описывающая энергетические свойства воды. Именно биоэнергетика воды определяет её жизненную силу.
Хорошо известно нам, что можно часами, не уставая, смотреть на струящийся поток воды, который завораживает и успокаивает. Чем вода так завораживает, питает энергию человека? Вода не содержит никаких материальных веществ, способных давать такой эффект. Оказывается, что вода обладает способностью принимать и передавать любую энергию, в том числе и энергию Космоса, сохраняя её в неприкосновенности. В воде растворено прошлое, настоящее и будущее. Эти особенности лежат в основе методов целительства организма человека с помощью воды. Вода является самым доступным и в то же время самими универсальным средством, с помощью которого следует прибегать в трудных жизненных ситуациях.
Текущая вода постоянно забирает энергию Космоса и в чистом виде отдает её в окружающее околоземное пространство, где она поглощается всеми живыми организмами, располагающимися в пределах досягаемости потока, поскольку образование текущей водой биополе постоянно увеличивается за счет отдаваемой энергии. Чем быстрее движется водный поток, тем сильнее это поле. Под воздействием этой силы энергетики воды происходит выравнивание энергетической оболочки живых организмов, организм исцеляется.
Все живое на нашей планете объединяет одно - энергетика, позволяющая нам набираться сил друг от друга и понимать друг друга. Вода, как бы читает наши мысли, способна помочь в трудную минуту.
Природная питьевая вода, имеющая фрактальную структуру (фото 1) обладает специфической, природной биоэнергетикой, которая в литературе называется "живой" водой. Смысл "живой" воды здесь означает, что такая фрактальная вода способна консервировать энергию живого. Это означает, что поместив в такую воду фрагмент живой структуры, например лист растения, такая вода на достаточно длительное время консервирует процессы в живом, зеленом листе. Природу такого феномена "живой" воды еще предстоит изучить.
Наличие собственной биоэнергетики воды впервые было доказано с помощью исследований влияния геометрии формы сосудов, в которых находится вода, на её энергетику и физические свойства.
Понятие "живая" и "мертвая" вода связаны в литературе с активацией питьевой воды с помощью мембранного электролиза. Много различных исследований выполнено по лечебному или оздоровительному воздействию живой (католитной, вода в катодной емкости электролизера) и мертвой (анолитной) воде. Наиболее полно и всесторонне выполнены исследования свойств "живой" и "мертвой" воды для электроактиватора "Эсперо-1". Коллектив фирмы "Эсперо" разработал и внедрил в практику почти 50 различных медицинских применений "живой" и "мертвой" воды, в том числе и для применения во внутрь организма человека. Было показано, что электроактивированная вода обладает целебными и косметическими свойствами и может применяться широко на практике.
Разработаны и внедрены в производство различные мембранные электролизаторы и соответственно изучались электроактивированные растворы (анолит или католит), получаемые с помощью мембранных электролизеров.
Наиболее типичным мембранным электролизером стали "Эсперо-1", "Эсперо-3". Кроме мембранных электролизеров типа "Эсперо-1", описана конструкция так называемого W- образного гидрозатвора.
Аторы монографии впервые указывают, что по механизму воздействия электрического поля на воду, католитная "живая" вода представляет собой правоактивированную (R - вода), а "мертвая", анолитная - левовращающая (L - вода). Если действительно такое разделение на R - и L - воду за счет мембранного электролиза имеет место, то это должно проявляться на физических характеристиках разделенных вод по отношению к исходной питьевой воде.
Выполненные нами многочисленные исследования структуры и свойств таких R - и L - вод, полученных на различных моделях электролизеров, подтверждают, что R - вода, полученная, например, с помощью электроактиватора "Эсперо-1" имеет дисимметрийную фрактальную структуру типа изображенного на фото 1. Такая вода обладает консервирующим свойством, т.е. является живой водой. Мертвая или L - вода, имеет совсем иную структуру, которая по-видимому характерна именно для воды, имеющей левовращающую симметрию.
В работе эти особенности электроактивированного разделения воды проверялись экспериментально. Идея такого экспериментального исследования заключалась в изучении характера взаимодействия между собой, соответственно R и L - воды. Если правильна точка зрения, что действительно R и L - вода, это хиральная, закрученная, или как пишут авторы торсионная вода, то для таких вод законы взаимодействия левой и правой активированной воды такие как в живой природе: левое с левым и правое с правым усиливается, а разноименное: правое с левым компенсирует друг друга.
Для таких исследований можно использовать параметр кислотно-щелочного или биоэнергетического равновесия. Для равновесного, нейтрального состояния рН=7, и соответственно увеличение от этого значения означает увеличение R -компоненты полевой воды, а уменьшение рН - увеличение L - компоненты полевой воды.
Вода нейтральная состоит из двух рацематов (R- и L - ) воды, которые можно разделить при мембранном электролизе. Если теперь смешивать в одинаковых объемах соответственно R- и L - активированные воды можно проверить особенности взаимодействия этих R- и L - активированных вод. Полученные результаты приведены в таблице.
Результаты взаимодействия R- и L активированных вод.
В таблице RR, LL и RL означает, что смешанные одинаковые количества разных R- или L вод - это результат арифметического сложения значения величины биоэнергетики или кислотно-щелочного равновесия компонент.
Как следует из таблицы, взаимодействие R и L активированных вод соответствует качественно теории торсионных полей (полей кручения).
Квантовые запутанные состояния воды
Исследования последних лет привели к созданию квантово-криптографических устройств и прототипов квантовых компьютеров, что, в свою очередь, привело к развитию новых разделов теоретической физики, таких как теория запутанных состояний, теория декогеренции и квантовая теория информации. Запутанность состояний это особая квантовая форма корреляций составных систем, которые не имеют классического аналога. Соответственно декогеренция состояний - это процесс потери квантовых суперпозиций в результате взаимодействия системы с окружающей средой. Сегодня теории запутанных состояний и декогерентности из теоретических исследований переходит в область экспериментальных исследований. Подтверждением перспективности этого нового направления развития физики может служить появление нового электронного научного журнала - "Квантовая Магия", который начал выходить со второй половины 2004 года, благодаря усилиям С. Доронина и его единомышленников.
Сегодня, например, в терминах потока энергии можно объяснить эффекты, связанные с потоками энергии от предметных объектов различной геометрии, которые невозможно объяснить в обычной физике. Имеется в виду, в первую очередь, эффекты пирамид, полостных структур и др.
Что касается возможности проявления запутанных состояний для воды, то пока появляются первые исследования в данном направлении. Например, с помощью методики нейтронного рассеяния наблюдались эффекты, которые возможно объяснить в теории квантовых запутанных состояний.
Нам представляется, что представленные в настоящей работе данные о триединстве свойств питьевой воды являются проявлением квантовой запутанности состояний воды.
Заключение
Природная питьевая вода - это сложная живая структура, проявляющая собой триединство существования: вещества, информации и энергии. С одной стороны это подтверждает космическую связь воды и живой природы, а с другой определения только материальных характеристик воды, как вещества, например определение химического состава это только часть тех свойств, которые характерны для природной живой воды, связанных с энергоинформационными свойствами (полевыми) природной воды.
По материалам: М.В. Курик, А.М. Курик Институт физики НАН Украины
Информационное содержимое: http://www.aquaexpert.ru/
Сайт загрузки:
http://
ucheba.
narod.
ru/ При печати указание ссылок обязательно!!!
|