Инв.№17/3988
Экз.№
ОТКРЫТОЕ АКЦИОНЕРНОЕ ОБЩЕСТВО
ТЕРРИТОРИАЛЬНЫЙ ГРАДОСТРОИТЕЛЬНЫЙ ИНСТИТУТ
«Красноярскгражданпроект»
Шифр: 9860-06
(с изменениями и дополнениями)
Заказчик: Администрация п. Березовка
Объект: Генеральный план п. Березовка
Красноярского края
Том
III
Пояснительная записка
Мероприятия по охране окружающей среды
Главный инженер Ю.И. Кучеренко
Начальник МГП-1 Т.П. Лисиенко
Главный инженер проекта Л.К. Саломатова
г.Красноярск 2010 г.
Работа разработана авторским коллективом мастерской градостроительного проектирования №1.
Начальник МГП-1 Т.П. Лисиенко
Глав. специалист Н.И. Васильева
Содержание Том
III
ВВЕДЕНИЕ. 4
1. КРАТКИЕ СВЕДЕНИЯ О ПРОЕКТИРУЕМОМ ОБЪЕКТЕ. 5
1.1. Характеристика площадки строительства. 5
1.2. Характеристика существующего положения. 6
1.3. Основные положения проекта. 7
2. МЕРОПРИЯТИЯ ПО ОХРАНЕ И РАЦИОНАЛЬНОМУ ИСПОЛЬЗОВАНИЮ ЗЕМЕЛЬНЫХ РЕСУРСОВ.. 8
2.1. Краткая характеристика земель. 8
2.2. Инженерно-геологические условия. 9
2.3. Почвенные условия. 10
2.4. Воздействие объекта на территорию.. 10
2.5. Мероприятия по охрана земель при реализации проектных решений. 15
2.6. Мероприятия по охране и рациональному использованию почвенного слоя 16
2.7. Мероприятия по охране недр. 16
2.8. Перечень мероприятий по охране территории и земельных ресурсов. 20
3. МЕРОПРИЯТИЯ ПО ОХРАНЕ ВОЗДУШНОГО БАССЕЙНА ОТ ЗАГРЯЗНЕНИЯ 22
3.1. Климатическая характеристика. 22
3.2. Характеристика существующего уровня загрязнения атмосферного воздуха 25
3.3. Предложения по организации санитарно-защитных зон. 44
3.4. Мероприятия по уменьшению выбросов загрязняющих веществ в атмосферу 46
3.5. Мероприятия по защите от шума. 47
4. Мероприятия по ОХРАНЕ ПОВЕРХНОСТНЫХ И ПОДЗЕМНЫХ ВОД ОТ ЗАГРЯЗНЕНИЯ И ИСТОЩЕНИЯ.. 51
4.1. Гидрологические условия. 51
4.2. Состояние и охрана поверхностных вод. 53
4.3. Воздействие проектируемого объекта на состояние поверхностных и подземных вод. 56
5. МЕРОПРИТИЯ в области обращения с отходами.. 62
6. Мероприятия по ОХРАНЕ РАСТИТЕЛЬНОСТИ И ЖИВОТНОГО МИРА 64
7. ПЕРЕЧЕНЬ МЕРОПРИЯТИЙ ПО ОХРАНЕ ОКРУЖАЮЩЕЙ СРЕДЫ.. 66
ПРИЛОЖЕНИЯ... 69
ВВЕДЕНИЕ
Раздел «Мероприятия по охране окружающей среды» (ООС) разработан по заказу администрации городского поселения муниципального образования поселка Березовка (далее - поселения) в соответствии с письмом – заказом № 165 от 06.04.2004 г., в соответствии с требованиями «Инструкции о порядке разработки, согласования, утверждения и составе проектной документации на строительство предприятий, зданий и сооружений», СНиП 11-01-95.
Забиваем Сайты В ТОП КУВАЛДОЙ - Уникальные возможности от SeoHammer
Каждая ссылка анализируется по трем пакетам оценки: SEO, Трафик и SMM.
SeoHammer делает продвижение сайта прозрачным и простым занятием.
Ссылки, вечные ссылки, статьи, упоминания, пресс-релизы - используйте по максимуму потенциал SeoHammer для продвижения вашего сайта.
Что умеет делать SeoHammer
— Продвижение в один клик, интеллектуальный подбор запросов, покупка самых лучших ссылок с высокой степенью качества у лучших бирж ссылок.
— Регулярная проверка качества ссылок по более чем 100 показателям и ежедневный пересчет показателей качества проекта.
— Все известные форматы ссылок: арендные ссылки, вечные ссылки, публикации (упоминания, мнения, отзывы, статьи, пресс-релизы).
— SeoHammer покажет, где рост или падение, а также запросы, на которые нужно обратить внимание.
SeoHammer еще предоставляет технологию Буст, она ускоряет продвижение в десятки раз,
а первые результаты появляются уже в течение первых 7 дней.
Зарегистрироваться и Начать продвижение
Целью разработки раздела является рациональное использование природных ресурсов и принятие технических решений, предупреждающих негативное влияние на окружающую среду и обеспечивающих создание комфортных условий проживания населения.
Раздел «Мероприятия по охране окружающей среду» разработан в соответствии с действующими санитарными и строительными нормами и правилами:
1. Федеральный закон № 7-ФЗ «Об охране окружающей среды».
2. Федеральный закон № 96-ФЗ «Об охране атмосферного воздуха».
3. Федеральный закон № 89-ФЗ «Об отходах производства и потребления».
4. Федеральный закон № 2395-1 «О недрах».
5. Градостроительный кодекс РФ;
6. Водный кодекс РФ. 12.04.2006 г.
7. Лесной кодекс РФ № 200-ФЗ
8. Федеральный закон N 52-ФЗ «О санитарно-эпидемиологическом благополучии населения» (с изменениями на 31 декабря 2005 года);
9. СНиП 2.07.01-89* «Градостроительство, планировка и застройка городских и сельских населённых мест».
10. Пособие к СНиП 11-01-95 по разработке раздела проектной документации «Охрана окружающей среды».
11. СНиП 23.01-99.Строительная климатология.
12. Гигиенические требования к обеспечению качества атмосферного воздуха населенных мест. СанПиН 2.1.6.1032-01
13. Методическое пособие по расчету, нормированию и контролю выбросов загрязняющих веществ в атмосферный воздух, C-Пб, 2002
14. СН 2.2.4\2.1.8.562-96 «Шум на рабочих местах, в помещениях жилых, общественных зданий и на территории жилой застройки»
15. «Рекомендации по учету требований по охране окружающей среды при проектировании автомобильных дорог и мостовых переходов» (Министерство Транспорта Федеральный дорожный департамент, 1995г.).
16. Руководство по учету в проектах планировки и застройки городов требований снижения уровней шума. ЦНИИП Градостроительства, 1984 г.
17. СНиП 23-03-2003 «Защита от шума»
18. СанПиН 2.2.1/2.1.1.1200-03 «Санитарно-защитные зоны и санитарная классификация предприятий, сооружений и других объектов»;
19. СанПиН 2.1.4.1110-02. Питьевая вода и водоснабжение населенных мест. Зоны санитарной охраны источников водоснабжения и водопроводов питьевого назначения.
Сервис онлайн-записи на собственном Telegram-боте
Попробуйте сервис онлайн-записи VisitTime на основе вашего собственного Telegram-бота:
— Разгрузит мастера, специалиста или компанию;
— Позволит гибко управлять расписанием и загрузкой;
— Разошлет оповещения о новых услугах или акциях;
— Позволит принять оплату на карту/кошелек/счет;
— Позволит записываться на групповые и персональные посещения;
— Поможет получить от клиента отзывы о визите к вам;
— Включает в себя сервис чаевых.
Для новых пользователей первый месяц бесплатно.
Зарегистрироваться в сервисе
20. СанПиН 2.1.5.980-00. Гигиенические требования к охране поверхностных вод
21. Сборник нормативно-методических документов «Безопасное обращение с отходами»
22. Федеральный классификационный каталог отходов.
23. СанПиН 2.1.7.1322-03. Гигиенические требования к размещению и обезвреживанию отходов производства и потребления
24. СанПиН 42-128-4690-88. Санитарные правила содержания территорий населенных мест
1. КРАТКИЕ СВЕДЕНИЯ О ПРОЕКТИРУЕМОМ ОБЪЕКТЕ
1.1. Характеристика площадки строительства
Проектируемый поселок является районным центром Березовского района.
В орфографическом отношении район характеризуется следующим своеобразием: на юге и юго-западе возвышаются отроги Восточного Саяна, к востоку и юго-востоку, а также вдоль южной границы выделяются предгорная полоса, обрамляющая отроги Восточного Саяна и представляющая собой краевую часть Рыбинской впадины. Рассматриваемый поселок располагается в части района, относящейся к зоне островных лесостепей, в его окружении преобладают остепненные склоны, переходящие в залесенные возвышенности.
Район имеет благоприятные природно-климатические и транспортно-географические условия для развития сельскохозяйственного и промышленного производства. Недра района детально не изучены. Широко распространены месторождения нерудных полезных ископаемых: гравия, песка, глины, камня, известняков. Многие из них эксплуатируются – Шумковское и Березовское месторождение песчано-гравийной смеси, Торгашинское глина, известняков и др. Значительны лесные ресурсы района. Однако перспективы развития лесозаготовительных предприятий ограничены, так как основная часть лесонасаждений вокруг г. Красноярска представлена защитными лесами.
В широтном направлении район пересекает Транссибирская ж/д магистраль и автодорога «Байкал» Иркутск-Новосибирск (М-53); в меридиональном направлении - р. Березовка, правый приток р.Енисей.
Ширина р. Березовки в среднем составляет 6-7 м, глубина 0,4-1,0 м скорость течения до 1 м/сек. Берега реки имеют различную высоту. Левый берег более пологий, правый - крутой и обрывистый, максимальная высота его до 6,0 м, минимальная 1,5-2,0 м.
Р. Березовка в холодное время года перемерзает и во многих местах образует наледи. Притоками р. Березовки являются реки Сухая, Быстрая, Ближняя Камала, Дальняя Камала, Каракушка, Солнечная, ручей Кулаковский и др. некоторые из них не имеют постоянных водотоков, и часть не доходят до реки, теряясь в аллювии р. Березовки.
В геоморфологическом отношении исследуемая площадка расположена на II надпойменной террасе р. Енисей. Абсолютные отметки поверхности, где расположена застройка, составляют 146-155 м. В границах поселковой черты рельеф спокойный, заболоченность на большей части территории отсутствует. Вдоль русла реки Березовка часть земель подвержена паводковому затоплению и подтоплению. Залесенные территории имеются лишь на восточной окраине поселка.
С северной стороны от поселка протекает р. Енисей, вдоль которой протянулась транзитная автодорога. На западе поселок граничит с городом Красноярском, граница поселка примыкает к городским промышленным территориям. К востоку располагается бор и далее сельскохозяйственные поля. За южной окраиной поселка начинается возвышенный рельеф – всхолмленная равнина, переходящая в предгорья Восточного Саяна.
1.2. Характеристика существующего положения
Поселок непосредственно граничит с городом, между городом и поселком тянется сплошная промышленно-коммунальная зона, нет разрыва в виде естественного ландшафта. Залесенные территории имеются лишь на восточной окраине поселка.
Расположение районного центра Березовка с точки зрения состояния среды не благоприятно. Поселок находится в непосредственной близости от Красноярска, с подветренной стороны и ниже по течению реки Енисей. В западном направлении (со стороны города) расположены золоотвалы ТЭЦ-1, отстойники сточных вод. Таким образом, поселок оказывается в зоне влияния атмосферных загрязнений краевого центра, выпусков сточных вод в реку.
Крупные предприятия краевого центра осуществляют выбросы в атмосферу загрязняющих веществ. Поселок Березовка расположен в местности, куда воздушными потоками относятся вредные выбросы. В поселке высокая загрязненность земель ионами тяжелых металлов и высокая концентрация вредных веществ в атмосфере.
В поселке слабо развиты системы централизованного водоснабжения и канализации.
Схема централизованного сбора и вывоза ТБО не охватывает частный сектор, что способствует замусориванию территории поселка.
Таблица 1.2.1. Показатели состояния окружающей среды в поселке
| №
|
Показатели состояния окружающей среды
|
Ед. изм.
|
2005 г.
|
2006 г.
|
| 1
|
Суммарная мощность очистных сооружений по видам
|
соотв. единиц
|
-
|
-
|
| 2
|
Выбросы загрязняющих веществ в атмосферу, отходящих от стационарных источников – всего
|
тонн
|
3728
|
3730
|
| №
|
Показатели состояния окружающей среды
|
Ед. изм.
|
2005 г.
|
2006 г.
|
| 3
|
Объем сброса загрязненных сточных вод (без очистки и недостаточно очищенных) за год
|
тыс. куб.м
|
40
|
40
|
| 4
|
Объем нормативно-очищенных сточных вод за год
|
тыс. куб.м
|
-
|
-
|
| 5
|
Образование отходов производства (по классам опасности для окружающей среды)
|
тонн
|
297
|
302
|
| 6
|
Использовано и обезврежено отходов производства
|
тонн
|
-
|
-
|
Поселок пересекает железнодорожный путь «Бугач – Красноярск–Северный - Красноярск-Восточный», по которому проходит весь грузопоток по Главсибу в обход г. Красноярска, а также железнодорожный путь и автодорога на г. Сосновоборск и г. Железногорск.
Сеть местных дорог в районе развита хорошо, но техническое состояние дорог и покрытие отстает от роста интенсивности движения и требует реконструкции. Протяженность дорог с твердым покрытием составляет 187,2 км, плотность - 44,1 км на 1000 км2
территории.
Благоприятным фактором является соседство с такой крупной рекой, какой является Енисей, а так же наличие малых рек на территории поселка.
1.3. Основные положения проекта
При разработке генплана поселка на основе комплексной градостроительной оценки площадок приняты следующие решения с учетом мероприятий по охране окружающей среды:
- Резервирование селитебных территорий под развитие поселка в северном, северо-восточном, восточном и юго-восточном направлениях.
- Осуществление мероприятий по улучшению состояния окружающей среды: нормализация состояния воздушного бассейна, земель, воды в Енисее и его притоках.
- Сохранение природных ландшафтов.
- Создание единой системы зеленых насаждений, включая новые селитебные территории и природные комплексы.
- Запрещение размещения новых промышленных и коммунально-складских предприятий I-II классов вредности, которые могут увеличить загрязнение окружающей среды и требующих больших разрывов от селитебных зон.
- Рациональное использование территорий промышленно-коммунальных зон при реорганизации промышленности с выделением участков многоцелевого назначения.
- Очередность освоения новых жилых территорий с учетом реальных результатов в проведении мероприятий по улучшению экологического состояния территории.
- Создание полноценной системы учреждений культурно-бытового назначения краевого, поселкового значения, обеспечивающей потребность населения.
- Организация рациональной улично-дорожной сети, развитие различных видов транспорта, обеспечивающих оптимальное решение вопросов транспортного сообщения в поселке с учетом технической возможности реализации.
- Обеспечение инженерного оборудования существующей и перспективной застройки.
2. МЕРОПРИЯТИЯ ПО ОХРАНЕ И РАЦИОНАЛЬНОМУ ИСПОЛЬЗОВАНИЮ ЗЕМЕЛЬНЫХ РЕСУРСОВ
2.1. Краткая характеристика земель
Районный поселок Березовка расположен у впадения одноименной реки в р. Енисей, на второй надпойменной террасе. По природно-географическому зонированию территория относится к зоне островных лесостепей, преобладающий тип почв – черноземы.
Общая площадь поселка в существующих на 1.01.2008г. границах составляет 861,16 га, в том числе на селитебной территории: жилая застройка – 290,09 га, застройка общественного значения – 34,94 га, производственные и коммунальные территории – 52,66 га, улицы, переулки, площади – 108,42 га, зеленые насаждения общего пользования – 1,98 га, под водой – 12,91 га, земли сельхоз-использования (огороды, сенокосы, пастбища) – 52,72 га, кладбище – 3,3 га. Внеселитебные территории составляют 214,5 га.
Земли в границах п. Березовка представлены пятью основными категориями земель: земли населенного пункта; земли сельскохозяйственного назначения; земли промышленности; земли лесного фонда; и земли запаса. Земель водного фонда в границах муниципального образования нет. Земель особо охраняемых территорий в границах муниципального образования нет.
На основании Постановления Администрации Березовского района Красноярского края №628 от 07.081996 г, произошла передача лесных земель из ведения Березовской поселковой администрации в ведение Красноярскому лесничествуу. Площадь передаваемых земель составила 359 га (Березовский бор). За счет чего образовались земли лесного фонда МО п. Березовка – 384 га.
Земли запаса площадью 116 га находятся в районе СПК «Березовское» и занимают в основном территории покрытые лесом.
На южной окраине площадки, а также в центральной и северо-западной частях ее прослеживаются лога небольших размеров с пологими склонами, подверженные эрозии. В центральной части протекает р. Березовка в направлении близком к меридиональному. В период паводка (по опросным данным) пойма р. Березовки затапливает ближайшие огороды, не доходя до линии застройки.
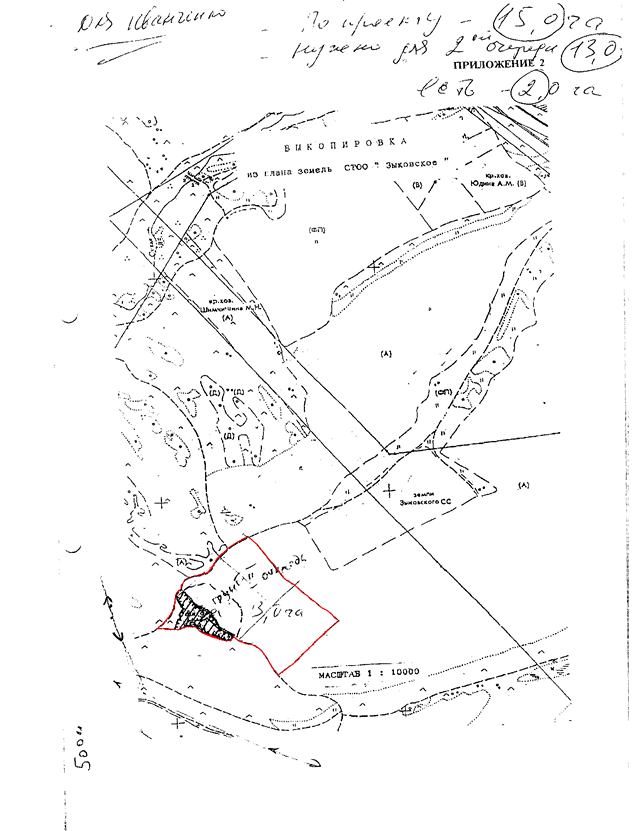
На восточной и северо-восточной окраинах в д. Кожевенка, а также юго-западной окраине д. Шумково имеются карьеры строительных материалов. Размеры самого большого карьера составляют 1400 м × 300 м. В районе железнодорожного моста имеются выемки грунта, навалы, бугры.
На территории поселка множество действующих и ранее разработанных карьеров, различного рода выемок, канав, глубина которых достигает 20 м и более, имеются насыпи, отвалы высотой до 10 м (см. схему планировочных ограничений). В некоторых отработанных карьерах дно залито водой, в других вода залегает близко к поверхности (0.5-0.7 м.). Насыпи в карьерах образованы за счет перемещения грунта и представлены галечником, песком, супесями, почвенно-растительным слоем.
2.2. Инженерно-геологические условия
В геоморфологическом отношении поселок расположен на II надпойменной террасе р.Енисей.
На основании данных инженерно-геологических изысканий на рассматриваемой площадке выделяются участки различные по литологическому составу.
Основные несущие грунты – суглинки просадочные и непросадочные, супеси непросадочные, пески от пылеватых до гравелистых рыхлые, средней плотности и плотные, гравийные и галечниковые грунты с песчаным заполнителем, а так же аллювиальные суглинки.
Грунтовые условия площадки I типа. Максимальная мощность просадочной толщи – 4,5 м. Редко наблюдается проседания в виде блюдец незначительных размеров глубиной 0,20-0,30 м.
Участок работ сложен, в основном, легко проницаемыми грунтами, благодаря чему поверхностные воды быстро и полностью поглощаются, уходя вглубь, поэтому поверхностный сток и размыв отсутствуют.
На прилегающих к долине р. Березовка участках, а также на восточной окраине распространены суглинки и супеси. На западной окраине выделяется небольшой участок просадочных суглинков. Остальную территорию слагают галечниковые грунты.
Нормативные давления на пески гравелистые – 5 кг/см2
, на гравийные грунты с песчаным заполнителем – 5.0 кг/см2
, на галечниковые грунты с песчаным заполнителем – 6.0 кг/см2
.
Глубина заложения фундаментов на участках ограниченно–пригодных назначается не менее расчетной глубины сезонного промерзания грунтов, а на остальной территории не зависит от глубины сезонного промерзания.
Нормативная глубина сезонного промерзания для суглинков 2.50 м., супесей, песков равна 3.0 м.
О физико-механических свойствах грунтов см. в отчете о комплексных изысканиях, выполненных в 1973 году Красноярским трестом инженерно-строительных изысканий шифр (84/15).
Грунтовые воды I типа встречены на глубине 0,50-9,80 м выработками, пройденными в центральной и южной частях площадки, гидравлически связаны с р. Березовкой и с водами р. Енисей. Зеркало грунтовых вод находится в пределах относительных отметок 136,30-147,10 м. Воды в основном гидрокарбонатно-кальциево-натриевые, безнапорные с общей минерализацией 0.5-0.9/л, по отношению к бетону неагрессивные на любом виде цемента.
2.3. Почвенные условия
Согласно схеме почвенно-географическое районирование Березовский район находится в Красноярском районе Красноярского округа среднесибирской провинции лесостепной зоне серых лесных почв, оподзоленных, выщелоченных и обыкновенных чернозёмов. Дерново-подзолистые почвы не образуют самостоятельной зоны, их развитие определяется главным образом условиями рельефа и составом почвообразующих пород.
В соответствии с почвенным покровом каждой из условных зон необходима правильная организация земледелия с учётом местных особенностей.
Лучшими пахотными и пахотно-пригодными почвами района являются темно-серые оподзоленные мощные, черноземы оподзоленные, выщелоченные и обыкновенные среднегумусные среднемощные тяжело- и среднесуглинистого механического состава, с содержанием гумуса в перегнойном горизонте от 4,0 до 8,7% при средней мощности около 50 см, Это наиболее плодородные почвы, пригодные для возделывания всех районированных сельскохозяйственных культур.
К хорошим пахотным и пахотно-пригодным почвам относятся глубокодерновые слабо- и среднеподзолистые, серые оподзоленные мощные, черноземы среднегумусные мало- и среднемощные, Гумусированность почв достаточно высокая: от 3,0 до 8,0%, с мощностью перегнойного горизонта в среднем 45 см.
К почвам среднего качества относятся среднедерновые среденеподзолистые, светло-серые среднемощные и мощные, все маломощные разновидности черноземов, Мощность перегнойного горизонта не превышает 40 см, гумусированность от 3,0 до 7,4%.
К почвам ниже среднего качества относятся мелкодерновые слабо- и среднеподзолистые почвы, черноземы малогумусные маломощные. Мощность перегнойного горизонта не превышает 30 см, гумусированность не превышает 6,0. К кормовым угодьям хорошего и среднего качества отнесены луговые почвы, среднего и плохого качества – пойменные слоистые, темно-бурые и темноцветные солончаковые и малоразвитые почвы.
2.4. Воздействие объекта на территорию
Одной из основных задач, решаемых настоящим проектом, является территориальное развитие поселка, выделение новых площадок для жилищного строительства и развития производства. Проектом разработано три направления развития селитебной территории для новой застройки. Всего на этих направлениях рассмотрены три новые крупные площадки жилищного строительства:
- Северо-восточная площадка за территорией микрорайона Няша вдоль берега р. Енисей до автомобильной развязки объездной дороги и моста через р.Енисей для строительства малоэтажной застройки.
- Восточная площадка
за сосновым бором для малоэтажного строительства.
- Юго-восточная площадка – площадка юго-восточнее птицефабрики «Березовская», южнее автодороги на Иркутск для капитальной застройки средней этажности и малоэтажного строительства.
Таблица 2.4.1. Характеристика предлагаемых для расселения площадок
| № п/п
|
Показатели
|
Един.
измерения
|
Северо-
восточный
|
Восточный
|
Юго-восточный
|
Всего
|
| 1
|
Жилая территория
|
га
|
13,4
|
75,6
|
147,9
|
236,9
|
| 2
|
Население
|
чел.
|
322
|
1814
|
15389
|
17525
|
| 3
|
Резерв жилой застройки
|
га
|
41,6
|
-
|
17,9 - усадебной
10,96 - малоэтажной
|
70,46
|
Относительно благоприятна в экологическом отношении восточная площадка «Сосновый бор», предназначенная для перспективного жилого строительства. Расположена площадка на свободных от леса землях, но с севера и с юга ее развитие ограничивается санитарно-защитными зонами сельскохозяйственных предприятий животноводческого профиля: МТФ (не более 1200 голов – 300 м) и птицефабрики ОАО «Сибирская губерния» (1000 м). Кроме того, в 200 м от возможного размещения жилой застройки расположена граница горного отвода на месте месторождения песчано-гравийных материалов «Аэродром», разработку месторождения будет вести Березовское карьероуправление (ОАО «Литос»). Для обеспечения возможности извлечения полезных ископаемых согласно требованиям Федерального закона «О недрах» освоение под застройку восточного и северного микрорайонов на этой площадке отодвигается по времени в связи с перспективной добычей песчано-гравийных материалов и необходимости соблюдения при этом санитарно-защитной зоны от объекта по добыче полезных ископаемых.
Юго-восточная площадка расположена на свободных от застройки землях, с северо-запада развитие ее ограничивается санитарно-защитной зоной птицефабрики. С юга примыкает к ней «Вознесенское» месторождение цеолитов. Для обеспечения возможности извлечения полезных ископаемых согласно требованиям Федерального закона «О недрах» застройку данной площадки необходимо вести с учетом сохранения требуемых санитарно-защитных зон от объекта добычи.
Таким образом, застройка северной и восточной частей площадки «Сосновый бор» и южных кварталов площадки поселка допускается при согласовании соответствующих органов по контролю за недропользованием.
Северо-восточная площадка расположена на месте разрабатываемого в настоящее время месторождения песчано-гравийных материалов, развитие жилищного строительства возможно только после полного извлечения из недр полезных ископаемых и получения разрешения соответствующих органов по контролю за недропользованием.
Северная площадка за р.Грязнуха предлагается после проведения инженерных мероприятий для строительства усадебного жилья.
Северную площадку можно застраивать после проведения мероприятий по улучшению экологических условий в данном районе и инженерной подготовке территории. Площадка имеет неблагоприятные экологические условия относительно состояния атмосферного воздуха, так как находится в зоне влияния золоотвалов ТЭЦ-1, отстойников сточных вод правобережных очистных сооружений г.Красноярска и промпредприятий города. В настоящее время ведется работа по рекультивации золоотвалов. Значительная часть предприятий правобережья Красноярска прекратила существование. В связи с этим создалась тенденция улучшения экологических условий в рассматриваемом районе.
Северная часть жилого массива Шумково и поселка Березовка входит в зону радикальной реконструкции застройки со сносом ветхого малоэтажного жилья и строительства 5, 6-12 этажных домов. Застройка этой части поселка многоквартирными домами приведет к увеличению плотности застройки, что способствует наиболее эффективному использованию территории.
Многоквартирная жилая застройка от 2-х до 5-ти этажей, предлагается на территории выносимых предприятий, расположенных в жилой зоне (Березовская мебельная фабрика, производственная зона СПК «Березовский» и др.).
В санитарно-защитных зонах производственно-коммунальных предприятий, в санитарно-защитных зонах от железной дроги и магистральных улиц в настоящий период жилые здания продолжают свое существование, а новое строительство жилых объектов запрещается.
Вдоль берега реки Енисей проектом предусмотрена набережная и пешеходные выходы к ней.
Учитывая потребность в промышленно-коммунальных территориях, проектом предусмотрено расширение восточной промышленно-коммунальной зоны, развитие которой формируется вдоль автодороги – продолжении ул.Трактовая. Размещение промышленно-коммунальных территорий в этой зоне, согласно разрешенному классу вредности.
Существующее кладбище в центральной части поселка размером 3,4 га предполагается закрыть из-за отсутствия свободных территорий для захоронения и как не отвечающее современным требованиям по санитарно-гигиеническим показателям. В непосредственной близости от него расположена жилая застройка.
Поселок Березовка расположен в непосредственной близости к г. Красноярску. В связи с большим спросом на строительство пригородного малоэтажного жилья настоящим проектом принято решение о расширении границ населенного пункта.
Проектная поселковая черта увеличена на основании письма главы администрации пгт. Березовки от 28.01.09 года № 1-4925/16 от 29.12.08 года в соответствии с Федеральным Законом №131-ФЗ от 06.10.2003г. «Об общих принципах организации местного самоуправления в РФ», ст.8.
Таблица 2.4.2. Распределение земель в границах поселковой черты по категориям на существующее положение и перспективу (га):
| № п/п
|
Показатели
|
Един.
измер.
|
Площади на
1.01.2008 г., га
|
Всего в границах проект. поселковой черты, га
|
в т.ч. новые
прирезаемые площади, га
|
| 1
|
2
|
3
|
4
|
5
|
6
|
| Общая площадь поселка в
границах поселковой черты
|
га
|
861,16
|
4028,69
|
3167,53
|
| 1
|
Селитебная территория, всего
|
га
|
646,66
|
1111,09
|
586,3
|
| в том числе:
|
| 1.1
|
Жилые территории «нетто»
|
«-«
|
290,09
|
593,11
|
295,33
|
| 1.2
|
Резервные территории жилой застройки
|
«-«
|
-
|
70,46
|
70,46
|
| 1.3
|
Общественная застройка
вне микрорайонного знач.
|
«-«
|
34,94
|
100,75
|
39,0
|
| 1.4
|
Резерв общественной застройки
|
-
|
7,97
|
7,97
|
| 1.5
|
Зеленые насаждения общего пользования
|
«-«
|
1,98
|
19,87
|
15,07
|
| 1.6
|
Улицы, проезды, транспортные магистрали.
|
«-«
|
108,42
|
209,12
|
158,47
|
| 1.7
|
Производственные и коммунально-складские территории
|
«-«
|
52,66
|
13,29
|
-
|
| 1.8
|
Санитарно-защитное озеленение
|
6,47
|
-
|
| 1.9
|
Акватория реки Березовки
|
«-«
|
12,91
|
13,46
|
-
|
| 1.10
|
Кладбище (закрытое)
|
3,3
|
| 1.11
|
Прочие территории (огороды, пастбища, сенокосы, пустыри, неудобицы)
|
«-«
|
142,36
|
76,59
|
-
|
| 2
|
Внеселитебных территорий, всего:
|
214,5
|
2917,6
|
2581,23
|
| в том числе:
|
| 2.1
|
Производственные и коммунально-складские территории, включая резерв.
|
«-«
|
116,37
|
502,23
|
383,18
|
| 2.2
|
Общественно деловая застройка
|
«-«
|
12,71
|
9,56
|
| 2.3
|
Санитарно-защитное озеленение
|
«-«
|
-
|
40,52
|
35,37
|
| 2.4
|
Территория ж/д транспорта
|
«-«
|
0,43
|
22,54
|
15,1
|
| 2.5
|
Дороги
|
«-«
|
16,9
|
211,8
|
211,8
|
| 2.7
|
Кладбище
|
«-«
|
-
|
10,36
|
10,36
|
| 2.8
|
Резервные территории кладбища
|
-
|
11,72
|
11,72
|
| 2.9
|
Набережная р.Енисей
|
66,28
|
66,28
|
| 2.10
|
Зеленые насаждения общего пользования
|
60,87
|
55,39
|
| 2.11
|
Лесопарковая зелень
|
«-«
|
-
|
11,86
|
11,86
|
| 2.12
|
Земли с/х использования
|
«-«
|
-
|
1173,46
|
1173,46
|
| 2.13
|
Прочие территории (нарушенные, естественного ландшафта)
|
«-«
|
80,8
|
793,26
|
597,15
|
Установление границы населенного пункта проводится на основании утвержденной градостроительной и землеустроительной документации. Установление и изменения границы населенного пункта влечет за собой перевод земель из других категорий в земли населенного пункта.
В данном случае в части установления границы населенного пункта необходимо произвести перевод земель из категорий сельскохозяйственного назначения, земель промышленности и земель запаса в земли населенного пункта, который будет регулироваться Законом N 172-ФЗ от 21 декабря 2004 г.
Согласно структуре земельного фонда земли населенного пункта п. Березовка как категория составляет 861,16 га. После перевода земель из одной категории в другую категория земель населенного пункта будет составлять 4028,69 га, То есть, площадь земель данной категории увеличится на 3167,53 га.
В ведении краевого государственного бюджетного учреждения «Красноярское лесничество» находится сосновый бор, расположенный рядом с поселком. В территории лесного фонда входят кварталы 117-123 общей площадью 384 га. Земли лесного фонда не требуют осуществления перевода в земли населенного пункта. Территориально же они оказываются в окружении земель поселка Березовка.
Нерегулируемая рекреационная нагрузка на леса приводит к нарушению напочвенного покрова, повреждению растительности. Проектом предлагается благоустройство леса с целью использования его в рекреационных целях и защиты от рекреационной дигрессии.
Согласно ст. 41 «Лесного кодекса РФ» леса могут использоваться для осуществления рекреационной деятельности в целях организации отдыха, туризма, физкультурно-оздоровительной и спортивной деятельности. При осуществлении рекреационной деятельности в лесах допускается возведение временных построек на лесных участках и осуществление их благоустройства.
Органами государственной власти, органами местного самоуправления в пределах их полномочий, определенных в соответствии со статьями 81-84 Лесного Кодекса РФ, осуществляются охрана и защита лесов. (гл. 3 ст. 51 Лесного кодекса).
2.5. Мероприятия по охране земель при реализации проектных решений
Охрана земель при реализации решений генерального плана достигается путем принятия мер, направленных на рациональное использование поселковых земель. Одним из важнейших вопросов, решаемым настоящим проектом является выделение перспективных площадок под малоэтажную жилую застройку, а так же участков размещения общественно-деловой и промышленно-коммунальной застройки.
Под застройку предусматриваются участки не занятые лесом, многолетними насаждениями.
В целях более рационального использования земель выделены зоны реконструкции застройки с увеличением плотности: часть малоэтажной застройки переводится под многоэтажное строительство.
Затапливаемые и подтапливаемые участки территории после проведения инженерных мероприятий предназначены под застройку либо благоустройство.
На территории поселка имеются нарушенные земли, требующие проведения работ по рекультивации общей площадью 35,6 га, из них 4,5 га свалка, 4,2 га – отстойники, остальное – карьеры и выемки, многие из которых затоплены водой. Большой участок изрытых и подтопленных земель площадью 20,8 га расположен в центральной части поселка в зоне перспективного размещения промышленно-коммунальных объектов. В северо-западной части поселка расположены карьеры и выемки – результат деятельности Березовского карьероуправления.
Нарушенные земли проектом предлагаются к рекультивации, в том числе 7,0 га в водоохранной зоне р. Березовка под озеленение, 1,17 га – под усадебную застройку, 27,0 га в промышленно-коммунальных зонах – под строительство нежилого назначения.
Пойменные земли, в том числе занятые огородами, озеленяются, обустраиваются, преобразуются под озелененные территории общего пользования.
Территории лесного фонда сохраняются. Использование их в дальнейшем для рекреационных целей потребует благоустройства: проведение пешеходных и велосипедных дорожек, установки малых архитектурных форм, биотуалетов. Благоустройство природных территорий вблизи населенных пунктов увеличивает устойчивость биогеоценозов к антропогенному воздействию, увеличивает их демографическую емкость и препятствует развитию процессов рекреационной дигрессии.
На землях рекреационного назначения (сосновый бор) запрещается деятельность, препятствующая использованию их по целевому назначению.
На землях населенного пункта в пределах новой поселковой черты выделяются зоны сохранения естественного ландшафта, что актуально для поселка, расположенного в зоне вредного воздействия от Красноярска.
При строительстве объектов различного назначения проектные решения должны обеспечивать сохранность ценных объектов окружающей среды.
2.6. Мероприятия по охране и рациональному использованию почвенного слоя
Почва, как фактор окружающей среды, может служить источником вторичного загрязнения подземных вод, атмосферного воздуха, сельскохозяйственной продукции. Загрязнение и последующая деструкция почвы обусловлены либо локальным влиянием источника на почву, либо атмосферным переносом токсикантов в аэрозольной фазе. В почве кумулируются химические загрязнения, сохраняют жизнеспособность патогенная микрофлора и яйца гельминтов, что создает опасность для здоровья людей.
Жители неблагоустроенной усадебной застройки выбрасывают бытовой мусор на окраинах, обращенных к дорогам, к реке. Отсутствие рациональной системы организации сбора, утилизации и уничтожения твердых и жидких бытовых отходов, особенно в частном жилом секторе, отсутствие централизованной системы канализации в ряде жилых районов поселка, наличие несанкционированных свалок отходов является причинами бактериологического загрязнения почв селитебных территорий.
Для защиты почв от химического и биологического загрязнения необходимо:
- организация сбора и осуществление своевременного вывоза бытовых отходов из жилой застройки;
- подавление промышленных выбросов в атмосферу от предприятий;
- озеленение территории поселка;
- противоэрозионные мероприятия.
Для охраны земель при строительстве объектов различного назначения проектные решения должны обеспечивать:
- своевременную рекультивацию земель, нарушенных при строительстве зданий и сооружений;
- снятие почвенного слоя при строительстве зданий и сооружений и использование его для рекультивации нарушенных земель.
2.7. Мероприятия по охране недр
Наибольшее воздействие на состояние геологической среды и недр оказывает строительство и эксплуатация предприятий добывающих отраслей промышленности. В Березовском районе широко распространены месторождения нерудных полезных ископаемых: гравия, песка, глины, камня, известняков:
o Березовское месторождение песчано-гравийных материалов, расположенное на правом берегу Енисея, в 6 км северо-восточнее пгт.Березовка, в том числе:
- участок «Няша» в 8 км к востоку от ст.Базаиха Транссибирской ж/д магистрали, в 0,2 км от хутора Няша, запасы составляют 3953 тыс.м³;
- Участок «Няша» (доразведка), примыкает с севера к отрабатываемой площади, Запасы составляют 2249 тыс.м³;
- Участок Аэродром в 3 км северо-восточнее пгт.Березовка, в 9 км к востоку от ст.Базаиха Транссибирской ж/д магистрали, в 0,5 км южнее участка «Няша», Запасы составляют 8800 тыс.м³
o Шумковское (Злобинский участок) в 4,0-4,5 км севернее ж/д ст.Базаиха, запасы списаны с госбаланса, как утратившие промышленную ценность.
В настоящее время в поселке и его окрестностях эксплуатируются Шумковское и Березовское месторождения песчано-гравийной смеси, разработкой месторождений занимается ОАО «Литос» - правопреемник Березовского карьероуправления.
Таблица 2.7.1
Сводная таблица месторождений полезных ископаемых п.Березовка и окрестностей
| №
п/п
|
Наименование месторождения
|
Местоположение
|
Географич. координаты
|
Ископаемые
|
Примечания
|
| 1
|
2
|
3
|
4
|
5
|
6
|
| 1.
|
«Новое»
|
Расположено в 6 км к востоку от г.Красноярска, в 8 км от пгт.Березовка
|
55º57´ с.ш.,
93º03´ в.д.
|
Глины, суглинки легкоплавкие для кирпича
|
Запасы глинистого сырья составляют
9811 тыс.м³
|
| 2.
|
Пузыревское
|
Расположено в 2 км к западу от ст. Зыково Транссибирской ж/д магистрали, на левом берегу р.Березовка у д.Пузырево
|
55º57´ с.ш.,
93º08´ в.д.
|
Суглинки легкоплавкие для кирпича
|
Забалансовые запасы – 276,8 тыс.м³
|
| 3.
|
Северное
|
6 км юго-западнее пгт.Березовка, на восточной окраине г.Красноярска
|
55º59´ с.ш.,
93º04´ в.д.
|
Суглинки легкоплавкие для кирпича
|
Запасы составляют 8547 тыс.м³
|
| 4.
|
Кузнецовское:
|
8-9 км к юго-востоку от г.Красноярска, вблизи д.Кузнецово
|
55º58´ с.ш.,
92º59´ в.д.
|
Глины для цемента
|
| Участок № 1
|
Расположен в верховье Черемухового Лога
|
Легкоплавкие глины (пластичные серовато-бурые, пластичные темно-бурые, светло-желтые)
|
Запасы в количестве 9253 тыс.т
|
| Участок № 2
|
Примыкает с запада к участку № 1
|
Глина (коричневая, красно-бурая)
|
Запасы списаны, как застроенные садовыми участками
|
| Участок № 3
|
Расположен севернее участков № 1 и № 2
|
Глина (коричневая, красно-бурая)
|
Запасы списаны, как застроенные садовыми участками
|
| 1
|
2
|
3
|
4
|
5
|
6
|
| 5.
|
Березовское:
|
Правый берег Енисея, в 6 км северо-восточнее пгт.Березовка
|
56º05´ с.ш.,
93º10´ в.д.
|
Песчано-гравийные мат-лы
|
| Участок «Няша»
|
Расположен в 8 км к востоку от ст.Базаиха Транссибирской ж/д магистрали, в 0,2 км от хутора Няша
|
Суглинок, супесь, песок, гравий
|
Запасы в сумме 3953 тыс.м³
|
| Участок «Няша» (доразведка)
|
Примыкает с севера к отрабатываемой площади
|
Гравий, песок
|
Запасы составляют 2249 тыс.м³
|
| Участок Аэродром
|
Расположен в 3 км северо-восточнее пгт.Березовка, в 9 км к востоку от ст.Базаиха Транссибирской ж/д магистрали, в 0,5 км южнее участка «Няша»
|
Гравий, песок
|
Запасы составляют 8800 тыс.м³
|
| 6.
|
Садовое
|
Расположено в 12 км юго-западнее пгт.Березовка
|
55º58´ с.ш.,
92º57´ в.д.
|
Суглинок
|
Списаны с баланса, так как застроены садовыми участками
|
| 7.
|
«Сухой лог»
|
Расположено в 5 км северо-западнее ст.Зыково, в 7 км южнее пгт.Березовка на правом склоне оврага «Сухой Лог»
|
55º59´ с.ш.,
93º06´ в.д.
|
Суглинок
|
Запасы составляют
4,5 млн.м³
|
| 8.
|
Шумковское (Злобинский участок)
|
Правый берег р.Енисей в 4,0-4,5 км севернее ж/д ст.Базаиха
|
56º02´ с.ш.,
93º04´ в.д.
|
Гравий, песок
|
Списаны с гос.баланса, как утратившие промышлен. ценность
|
| 9.
|
Поперечное
|
Расположено в 3 км юго-западнее ст.Зыково
|
55º58´ с.ш.,
93º06´ в.д.
|
Сиенит-порфиры
|
Запасы – 1,5-2,0 млн.м³
|
| 10.
|
«Черная Сопка»
|
Расположено в 18 км к юго-востоку от г.Красноярска и в 4 км на юг от деревень Кузнецово и Лукино
|
55º55´ с.ш.,
93º04´ в.д.
|
Долериты
|
Месторождение списано
|
| 11.
|
«Отстойник» (притрассовое)
|
Расположено в 3,0 км юго-западнее с.Терентьево по а/дороге Березовка-Сосновоборск, в 9 км северо-западнее пгт.Березовка
|
56º05´ с.ш.,
93º17´ в.д.
|
Суглинок, песок, гравий
|
На восточной и северо-восточной окраинах в д. Кожевенка, а также юго-западной окраине д. Шумково имеются карьеры строительных материалов. Размеры самого большого карьера составляют 1400 м × 300 м.
В некоторых отработанных карьерах дно залито водой, в других вода залегает близко к поверхности (0.5-0.7 м.). Насыпи в карьерах образованы за счет перемещения грунта и представлены галечником, песком, супесями, почвенно-растительным слоем.
Проектные решения по охране недр должны предусматривать рекультивацию нарушенных земляными и горными работами земель и приведение их в состояние, пригодное для дальнейшего использования. Настоящим проектом предлагается вынос Шумковского участка ОАО «Литос» за пределы селитебной территории, в район д. Няша, в связи с его расположением, способствующим ухудшению санитарно-гигиенических условий в поселке.
Часть территории, прилегающая к протоке и р. Березовка, предлагается к рекультивации под озеленение, основная часть нарушенной территории предназначена проектом для рекультивации под нежилую застройку – гаражи и другие коммунальные объекты.
В восточной промышленно-коммунальной зоне имеются нарушенные земли – карьеры и выемки, затопленные водой. Для размещения в дальнейшем здесь зданий и сооружений промышленного и коммунального назначения требуется проведение мероприятий по рекультивации земель.
Согласно Федеральному Закону «О недрах» застройка участков не должна препятствовать извлечению полезных ископаемых из недр.
Для обеспечения возможности извлечения полезных ископаемых согласно требованиям Федерального закона застройку новых площадок необходимо вести с учетом сохранения требуемых санитарно-защитных зон от объекта по добыче полезных ископаемых и с соблюдением очередности строительства.
Застройка северной и восточной частей площадки «Сосновый бор» и соответствующих кварталов юго-восточной площадки допускается при согласовании соответствующих органов по контролю за недропользованием.
2.8. Перечень мероприятий по охране территории и земельных ресурсов
Охрана территории и земельных ресурсов при реализации решений генерального плана достигается путем принятия мер, направленных на рациональное использование поселковых земель и земель, включаемых в границу поселка на основании генерального плана.
Выделение под перспективную застройку участков, не занятых лесом, многолетними насаждениями, особо ценными сельскохозяйственными землями.
Уплотнение и реконструкция существующей жилой застройки: часть малоэтажной застройки отводится под многоэтажное строительство.
Проведение инженерных мероприятий на затопляемых и подтопляемых участках территории, использование их для рекреационных и других целей.
Проведение работ по рекультивации нарушенных земель общей площадью 35,6 га: под озеленение – 7,0 га, под усадебную застройку – 1,17 га, под нежилое строительство – 27,0 га в промышленно-коммунальных зонах.
Озеленение и благоустройство пойменных земель, в том числе занятых огородами, преобразование их под озелененные территории общего пользования.
Сохранение территории лесного фонда, проведение лесоохранных и лесовосстановительных мероприятий.
Благоустройство лесных земель для использования их в рекреационных целях: проведение пешеходных и велосипедных дорожек, установки малых архитектурных форм, биотуалетов, урн для мусора. Благоустройство природных территорий вблизи населенных пунктов увеличивает устойчивость биогеоценозов к антропогенному воздействию, увеличивает их демографическую емкость и препятствует развитию процессов рекреационной дигрессии.
На землях рекреационного назначения (сосновый бор) запрещается деятельность, препятствующая использованию их по целевому назначению.
На землях населенного пункта в пределах новой поселковой черты выделяются зоны сохранения естественного ландшафта, что актуально для поселка, расположенного в зоне вредного воздействия от Красноярска.
Для предотвращения загрязнения и истощения земель необходимо:
- Строительство благоустроенного жилья, обеспечение большей части территории централизованной системой канализации.
- Создание рациональной системы организации сбора, утилизации и уничтожения твердых и жидких бытовых отходов, особенно в частном жилом секторе.
- Ликвидация несанкционированных свалок. Контроль за сбором и удалением отходов.
- Снижение количества выбросов в воздушный бассейн от промышленности и транспорта.
- Озеленение территории.
- Выполнение противоэрозионных мероприятий.
Для охраны земель при строительстве объектов различного назначения проектные решения должны обеспечивать:
- своевременную рекультивацию земель, нарушенных при строительстве зданий и сооружений;
- снятие почвенного слоя при строительстве зданий и сооружений и использование его для рекультивации нарушенных земель.
Вынос Шумковского участка ОАО «Литос» за пределы селитебной территории, в район д. Няша, в связи с его неблагоприятным с экологической точки зрения расположением.
Рекультивация нарушенных земляными и горными работами земель и приведение их в состояние, пригодное для дальнейшего использования.
Рекультивации земель, нарушенных горными работами, под озеленение и под нежилую застройку – гаражи и другие коммунальные объекты.
Для обеспечения возможности извлечения полезных ископаемых согласно требованиям Федерального закона застройку новых площадок необходимо вести с учетом сохранения требуемых санитарно-защитных зон от объекта по добыче полезных ископаемых и с соблюдением очередности строительства.
Застройка северной и восточной частей площадки «Сосновый бор» и соответствующих кварталов юго-восточной площадки допускается при согласовании соответствующих органов по контролю за недропользованием.
3. МЕРОПРИЯТИЯ ПО ОХРАНЕ ВОЗДУШНОГО БАССЕЙНА ОТ ЗАГРЯЗНЕНИЯ
3.1.
Климатическая характеристика
Рассматриваемый поселок расположен на юго-восточной окраине Западно-Сибирской низменности, в пределах Красноярской лесостепи, вблизи отрогов Восточного Саяна. По строительно-климатическому районированию район относится к I климатическому району с подрайоном IВ, характеризующемуся резко континентальным климатом с продолжительной холодной зимой и коротким, сравнительно жарким летом.
Для характеристики климата п. Березовка использованы данные СНиП 23-01-99* «Строительная климатология», материалы многолетних наблюдений Красноярского управления гидрометеослужбы по метеостанции Красноярск.
Количество солнечной радиации, приходящей на земную поверхность достаточно велико, суммы суммарной солнечной радиации при средних условиях облачности – 4145 МДж/м2
в год, при ясном небе – 5948 МДж/м2
в год. В зимнее время радиационный баланс отрицательный, переход к положительному балансу происходит в марте-апреле, обратная смена знака радиационного баланса отмечается в ноябре. Солнечная радиация поступает в течение года крайне неравномерно из-за короткого светового дня в зимний период. Продолжительность солнечного сияния по м/ст Солянка составляет – 2044 ч в год, в том числе в июне – 296 ч, в декабре – 48 ч.
В зимнее время на территории преобладает антициклональный режим, что определяет морозную погоду со слабыми ветрами и штилями.
Начало периода устойчивых морозов приходится на первую половину ноября (11.XI), переход среднесуточных температур через -5˚С происходит 6.XI. Обратный переход через -5˚С к более высоким температурам наблюдается 20 марта, 17 марта – дата прекращения устойчивых морозов.
Летний сезон, когда среднесуточные температуры превышают 10˚С, начинается во второй декаде мая (18.V) и продолжается до 13.IX. Проникновение арктических масс воздуха вглубь материка часто вызывает заморозки и в июне. Наиболее теплый период со среднесуточными температурами выше 15˚С длится 75 дней.
Осенний период в рассматриваемом районе довольно короткий, и уже 20 октября происходит переход среднесуточных температур через 0°С к отрицательным значениям.
Температурный режим:
Температурный режим характеризуется резкими перепадами как в течение суток, так и в течение года. Среднесуточные амплитуды температуры в июле составляют 11,1°С, в январе – 8,4°С.
Средняя температура воздуха наиболее холодного месяца –18,2°С. Температура воздуха наиболее холодной пятидневки обеспеченностью 0,92 – -40°С. Абсолютный минимум температур –53°С.
Средняя температура воздуха наиболее жаркого месяца +19,1°С. Средняя максимальная температура наиболее жаркого месяца +24,3°С.
Продолжительность периода с положительными температурами воздуха – 193 дня. Продолжительность периода с температурами воздуха ≤8°С – 234 дня.
Таблица 3.1
Климатические показатели и распределение их в течение года
| №
|
Климатические показатели
|
единица измерения
|
показатели
|
| 1
|
Средняя годовая температура воздуха
|
градус С
|
0,5°С
|
| 2
|
Средняя температура января
|
градус С
|
–18,2°С
|
| 3
|
Средняя температура июля
|
градус С
|
+19,1°С.
|
| 4
|
Абсолютный минимум температур
|
градус С
|
–53°С
|
| 5
|
Абсолютный максимум температур
|
градус С
|
36,0
|
| 6
|
Средняя дата наступления первого заморозка
|
18. IX
|
| 7
|
Средняя дата наступления последнего заморозка
|
22.V
|
| 8
|
Продолжительность безморозного периода
|
дней
|
118
|
| 9
|
Суточный максимум осадков
|
мм
|
97
|
| 10
|
Количество осадков за теплый период
(апрель- октябрь)
|
мм
|
369
|
| 11
|
Количество осадков за холодный период
(ноябрь- март)
|
мм
|
85
|
| 12
|
Среднегодовая скорость ветра
|
м/сек
|
3,0
|
| 13
|
Максимальная высота снежного покрова
|
см
|
56
|
Осадки:
за год в данном районе выпадает 454 мм осадков. Распределение осадков в течение года крайне неравномерно: в теплый период, с апреля по октябрь, выпадает 369 мм (81%), в холодный период, с ноября по март, лишь 85 мм (19%).
Ветровой режим
Преобладающие направления ветра в течение всего года – западное и юго-западное, их повторяемость в сумме составляет 75-80%. Среднегодовая скорость ветра – 3,0 м/с.
Таблица 3.2
Характеристика ветрового режима
| Направление ветра
|
С
|
СВ
|
В
|
ЮВ
|
Ю
|
ЮЗ
|
З
|
СЗ
|
Штиль
|
| Повторяемость направлений ветра в январе, %
|
1
|
1
|
2
|
1
|
15
|
64
|
15
|
1
|
35
|
| Повторяемость направлений ветра в июле, %
|
4
|
9
|
10
|
3
|
11
|
41
|
16
|
6
|
24
|
| Скорость ветра по направлениям в январе, м/с
|
0,6
|
0,4
|
0,8
|
0,5
|
6,2
|
5,3
|
3,6
|
0,9
|
-
|
| Скорость ветра по направлениям в июле, м/с
|
2,0
|
2,2
|
2,2
|
1,4
|
2,8
|
3,0
|
2,4
|
2,3
|
-
|
Скорости ветра больше или равные 15 м/с чаще наблюдаются в зимние месяцы, всего за год бывает 23 дня с таким ветром по м/ст Красноярск, оп.поле, 32 дня по м/ст Красноярск.
При антициклональном характере погоды над рассматриваемой территорией наблюдается большая повторяемость штилей и слабых ветров. В переходные сезоны – весна, осень – наблюдается увеличение скорости ветра, снижается вероятность слабых скоростей ветра.
Вероятность штилей в течение года составляет 29%, штили в сочетании со слабыми ветрами (до 5 м/с) – 85-90%.
Повторяемость температурных инверсий составляет в январе – феврале 91-92%, в том числе приземных 40-45%, приподнятых 15-17%. В зимний период в связи с антициклональным характером погоды инверсии наблюдаются чаще и являются более продолжительными по времени. Температурные инверсии, как правило, наблюдаются в утренние часы и часто сопровождаются слабыми скоростями ветра.
За год наблюдается в среднем 11 дней с туманом общей продолжительностью 46 часов. Зимой туманы более продолжительны, в среднем – 5,8 ч в день с туманом, летом – 3,3 ч.
В целом рассматриваемый поселок расположен на территории с высоким потенциалом загрязнения атмосферы. Условия для рассеивания вредных примесей неблагоприятны.
3.2. Характеристика существующего уровня загрязнения атмосферного воздуха
Источниками загрязнения атмосферного воздуха в поселке помимо воздушных масс от г. Красноярска являются предприятия поселка и транспортные магистрали. Производственные и коммунально-складские предприятия размещены бессистемно по всей территории поселка, часто с нарушением санитарно-гигиенических норм.
Районный поселок Березовка размещается в зоне влияния атмосферных загрязнений г. Красноярска – одного из самых неблагополучных в экологическом отношении городов края. Основные загрязняющие вещества – бенз(а)пирен, формальдегид, взвешенные вещества, диоксид азота;
Суммарный индекс загрязнения атмосферы по 5 приоритетным для города загрязняющим веществам (ИЗА5) в Красноярске в 2008 г. составил 15,31, что характеризует уровень загрязнения воздуха как очень высокий.
Таблица 3.2.1. Загрязнение атмосферного воздуха в г.Красноярске в 2008г.
|
Наименование загрязняющих веществ
|
Среднегодовая концентрация
|
Максимальная концентрация
|
ПДКс.с
, мг/м3
|
ПДКм.р
, мг/м3
|
| мг/м3
|
доли ПДКс.с.
|
мг/м3
|
доли ПДКм.р.
|
| Взвешенные вещества
|
0,193
|
1,29
|
2,5
|
5,0
|
0,15
|
0,5
|
| Диоксид серы
|
0,0046
|
0,09
|
0,109
|
0,22
|
0,05
|
0,5
|
| Оксид углерода
|
0,906
|
0,30
|
13,0
|
2,6
|
3
|
5
|
| Диоксид азота
|
0,078
|
1,95
|
0,760
|
3,8
|
0,04
|
0,2
|
| Оксид азота
|
0,063
|
1,05
|
2,10
|
5,25
|
0,06
|
0,4
|
| Фенол
|
0,001
|
0,30
|
0,015
|
1,5
|
0,003
|
0,01
|
| Гидрофторид
|
0,0028
|
0,56
|
0,078
|
3,9
|
0,005
|
0,02
|
| Формальдегид
|
0,0065
|
2,17
|
0,255
|
7,3
|
0,003
|
0,035
|
| Бенз(а)пирен, нг/м3
|
4,10*
|
4,10
|
18,0*
|
18,0
|
1* 10-6
|
–
|
| Бензол
|
0,024
|
0,24
|
0,380
|
1,3
|
0,1
|
0,3
|
| Ксилол
|
0,045
|
0,23
|
0,66
|
3,3
|
–
|
0,2
|
| Толуол
|
0,040
|
0,07
|
1,59
|
2,65
|
–
|
0,6
|
| Этилбензол
|
0,016
|
0,8
|
0,19
|
9,50
|
–
|
0,02
|
Примечания:
* – концентрация бенз(а)пирена приведена в нг/м3
.
Таблица 3.2.2. Динамика валовых выбросов загрязняющих веществ (ЗВ) в атмосферу Березовского района (по материалам государственных докладов «О состоянии и охране окружающей среды Красноярского края» за 2000-2008 г.г.)
| Год
|
Численность населения в районе (тыс./чел.)
|
Количество выбросов ЗВ (тонн)
|
Количество выбросов ЗВ (тонн/км2
)
|
| Всего
|
От стационарных источников
|
От автотранспорта
|
| 2000
|
37,5
|
5157,02
|
3547,00
|
1610,02
|
1,124
|
| 2001
|
37,5
|
4603,73
|
2980,00
|
1623,73
|
1,003
|
| 2002
|
37,8
|
5581,73
|
3958,00
|
1623,73
|
1,315
|
| 2003
|
37,6
|
4747,33
|
3253,00
|
1494,33
|
1,034
|
| 2004
|
37,6
|
5422,09
|
3467,00
|
1955,09
|
1,181
|
| 2005
|
37,7
|
5367,691
|
3358,00
|
2009,69
|
1,170
|
| 2006
|
38,0
|
8077,70
|
3200,00
|
4877,70
|
1,760
|
| 2007
|
38,0
|
8160,50
|
2644,00
|
5516,50
|
1,778
|
| 2008
|
38,8
|
10656,0
|
3160,00
|
7496,00
|
2,511
|
Проанализировав количество выбросов в атмосферу от источников в Березовском районе за последние годы, видно увеличение массы транспортных выбросов. Выбросы от стационарных источников, изменяясь год от года, остаются примерно на одном уровне.
Таблица 3.2.3. Фоновые концентрации в воздухе поселка по данным Красноярского ЦГМС-Р превышают допустимые значения по ряду веществ:
| Наименование ингредиентов
|
ПДК среднесуточная, мг/ м3
|
ПДК максимально-разовая, мг/ м3
|
Фоновая концентрация загрязняющих веществ,
|
| мг/м3
|
доли ПДКс.с.
|
| Диоксид серы
|
0,05
|
0,5
|
0,032
|
0,64
|
| Оксид углерода
|
3,0
|
5,0
|
3,5
|
1,17
|
| Диоксид азота
|
0,04
|
0,2
|
0,12
|
3,00
|
| Углеводороды (по бензину)
|
1,5
|
5,0
|
Не определяются
|
-
|
Фоновое загрязнение атмосферного воздуха в поселке обусловлено не только выбросами предприятий поселка, но и влиянием загрязненных воздушных масс, поступающих от г. Красноярска, расположенного со стороны господствующих ветров.
Качественный состав выбросов определяется основным набором источников, который представлен главным образом котельными, сельскохозяйственными предприятиями, ремонтными, деревообрабатывающими. Основные загрязняющие вещества на селитебных территориях – оксиды азота, серы, углерода, взвешенные вещества.
Характерной особенностью предприятий сельского хозяйства является наличие в выбросах таких специфических веществ как аммиак и сероводород. Доля выбросов аммиака от общего объема выбрасываемых по отрасли загрязняющих веществ составляет 4,3% (453,025 тонн), сероводорода – 0,3% (36,629 тонн). Выбросы загрязняющих веществ в атмосферу от ООО ПФ «Сибирская губерния» (Берёзовского района) в 2007 г. составили 1,5 тыс. тонн.
В сложившейся планировочной структуре сформировалось четыре промышленно-коммунальные зоны, которые занимают около 20 % территории поселка. Территориальное развитие промышленных зон I-III классов вредности не предусматривается настоящим Генеральным планом. В основной самой крупной промзоне есть возможность размещения новых небольших производств IV-V классов вредности после рекультивации земель в этой части поселка.
В юго-западной части поселка вдоль автодороги по направлению к г.Красноярску расположены предприятия ОАО «Бетон», Сибкраска, ОАО «АКВА», коммунально-складские объекты, предприятия железнодорожного транспорта. В 50-60 м на север от границы производственной зоны расположена малоэтажная застройка, сохраняемая на перспективу.
Теплично-парниковый комбинат, расположенный в западной части поселка, к настоящему времени – банкрот, производство остановлено.
На северо-западе расположен Шумковский цех ОАО «Литос» – правопреемника Березовского карьероуправления. ОАО «Литос» включает в себя три цеха:
- Шумковский цех расположен на правом берегу р. Енисей на расстоянии 1 км от г. Красноярска. С восточной стороны территория цеха ограничена р. Березовкой, впадающей в Енисейскую протоку, в составе цеха имеются дробильно-сортировочная фабрика, склад каменных материалов, стоянка для машин, резервуар ГСМ. В 160 м от производственной территории расположена капитальная жилая застройка, в 70 м – малоэтажная.
- Березовский цех расположен на правом берегу р. Енисей в 10 км ниже г.Красноярска, в 3-х км на северо-восток от п. Березовка, имеет в своем составе карьер, дробильно-сортировочную фабрику, склад каменных материалов, котельную, склад угля, резервуары АЗС, кузнечный, аккумуляторный, сварочный участки, стоянку для машин, участок металлообработки. Граница территории, занятой производственными участками и котельной, расположены в 150 м западнее от существующей застройки микрорайона Няша.
- Песчанский цех находится на левом берегу р. Енисей, на землях с/х Солонцы Емельяновского района.
В северо-западной части вблизи микрорайона Няша (в 3 км от п.Березовка) расположены еще животноводческий комплекс на 500 голов КРС и ряд небольших предприятий в его санитарно-защитной зоне, что ограничивает развитие перспективной жилой застройки в данном направлении. Комплекс КРС используется на 20%.
На восток от поселка в 1,5 км от границы жилой застройки на обособленной площадке расположена ГПКК птицефабрика «Березовская». Проектная мощность 1,2 млн. бройлеров в год.
В юго-западной части поселка расположен ОАО «Бетон» – бывший завод ЖБИ Главкрасноярскводстрой. Является специализированным предприятием по выпуску железобетонных изделий для строительства в крае. Существенного увеличения производственной мощности в перспективе не ожидается.
Промышленный потенциал поселка за годы реформ в значительной мере растерян. Ряд предприятий обанкротился (авторемзавод), другие снизили производственные показатели и находятся на грани выживания. Сохранились и развиваются предприятия деревообрабатывающей промышленности, производства стройматериалов. Появилось более десятка предприятий малого и среднего бизнеса различного профиля. В перспективе существенного увеличения объема промышленного производства в существующих границах поселка не ожидается из-за ограниченности местных территориальных резервов.
В последние годы наблюдается тенденция выбора участков для развития производства и складского хозяйства вблизи г.Красноярска, на территории Березовского района и поселка Березовка. Ряд предприятий п.Березовка намечается к выносу из жилой застройки. В связи с этим возникла потребность определить на перспективу территории для размещения предприятий, складов с учетом санитарных разрывов до существующей и перспективной жилой застройки.
Вдоль железнодорожного пути на г.Сосновоборск формируется промышленно-коммунальная зона с предприятиями III-V классов вредности. В нее входят существующие мебельная фабрика «Нильс», ООО Деревообрабатывающая компания «Енисей», строительные организации и базы, мелкие частные предприятия. На этой территории возможно в дальнейшем размещение предприятий и складов, не требующих организации санитарно-защитных зон большого размера (более 50-100 м).
В пределах жилой застройки в центральной части поселка расположены ООО «Березовская мебельная фабрика», ООО «Березовский хлебозавод», ПВП «Контакт» газовый участок, МУП «Энергия» и другие мелкие предприятия.
ОАО «Красноярский речной порт» в поселке представлен ремонтно-техническими мастерскими флота. Расположен в приенисейской части территории у северной границы поселка.
Рядом с поселком, но в черте г. Красноярска (по ул. Верхняя 82) расположена производственная база ПМС-48 ОАО «Российские железные дороги».
Источником выбросов в атмосферу взвешенных веществ, оксида углерода, оксидов азота, сернистого ангидрида являются помимо перечисленных предприятий многочисленные ведомственные котельные и бытовые печи частного сектора.
Для оценки состояния атмосферы в поселке был выполнен расчет рассеивания примесей от выбросов промпредприятий по программе Эра 1.7. Данные для расчета предоставлены предприятиями. В расчете участвуют выбросы ОАО «Литос» в составе ООО «Торговый дом», ООО птицефабрика «Сибирская губерния», ООО «РосЦентрПласт», ООО «АКВА», ОАО «Строитель». Расчет рассеивания выполнен с учетом фонового загрязнения.
Атмосфера поселка более всего загрязнена различными видами пыли неорганической и органического происхождения. Основные источники загрязнения воздуха пылью – ОАО Литос и птицефабрика Сибирская губерния. В концентрациях более 1 ПДК имеются так же диоксид азота, сернистый ангидрид, оксид углерода, сажа, источниками которых являются, главным образом, котельные и транспорт. Присутствуют так же летучие органические соединения.
Таблица 3.2.4. Расчетные концентрации загрязняющих веществ в атмосферном воздухе п. Березовка
| Код
|
Примесь
|
Максимальные расчетные концентрации, доли ПДК
|
Предприятие – источник, вносящее наибольший вклад
|
Расстояние, на котором устанавливается 1ПДК, м
|
ПДК макс. разовая, мг/м3
|
ПДК среднесуточная, мг/м3
|
Класс опасности
|
| 1
|
2
|
3
|
4
|
5
|
7
|
8
|
9
|
| 0123
|
диЖелезо триоксид (Железа оксид) /в пересчете на железо/
|
5,140
|
ОАО Литос, Березовский цех
|
185
|
0.04
|
3
|
| 0143
|
Марганец и его соединения /в пересчете на марганца (IV) оксид/
|
18,254
|
ООО РосЦентрПласт
|
380
|
0.01
|
0.001
|
2
|
| 0184
|
Свинец и его неорганические соединения /в пересчете на свинец/
|
3,889
|
ОАО Литос, Березовский цех
|
300
|
0.001
|
0.0003
|
1
|
| 0301
|
Азот (IV) оксид (Азота диоксид)
|
4,222
|
- « -
|
170
|
0.2
|
0.04
|
3
|
| 0303
|
Аммиак
|
0,821
|
ПФ Сибирская губерния
|
-
|
0.2
|
0.04
|
4
|
| 0304
|
Азот (II) оксид (Азота оксид)
|
0,076
|
ПФ Сибирская губерния
|
-
|
0.4
|
0.06
|
3
|
| 0328
|
Углерод (Сажа)
|
4,018
|
ООО Строитель
|
175
|
0.15
|
0.05
|
3
|
| 0330
|
Сера диоксид (Ангидрид сернистый)
|
1,042
|
ООО Строиель
|
-
|
0.5
|
0.05
|
3
|
| 0333
|
Дигидросульфид (Сероводород)
|
0,138
|
ПФ Сибирская губерния
|
-
|
0.008
|
2
|
| 0337
|
Углерод оксид
|
4,098
|
- « -
|
160
|
5
|
3
|
4
|
| 0342
|
Фтористые газообразные соединения (гидрофторид, кремний тетрафторид) (Фтористые соединения газообразные(фтористый водород,
четырехфтористый кремний)) /в
пересчете на фтор/
|
0,427
|
ПФ Сибирская губерния, ОАО Литос
|
-
|
0.02
|
0.005
|
2
|
| 0501
|
Пентилены (амилены - смесь изомеров)
|
1,309
|
ПФ Сибирская губерния, ОАО Литос
|
-
|
1.5
|
4
|
| 0602
|
Бензол
|
5,236
|
- « -
|
в пределах промплощадки
|
0.3
|
0.1
|
2
|
| 0621
|
Метилбензол (Толуол)
|
1,897
|
- « -
|
- « -
|
0.6
|
3
|
| 0627
|
Этилбензол
|
1,964
|
- « -
|
- « -
|
0.02
|
3
|
| 0703
|
Бенз(а)пирен (3,4-Бензпирен)
|
0,227
|
котельные ПФ Сибирская губерния и др.
|
-
|
0.000001
|
1
|
| 1071
|
Гидроксибензол (Фенол)
|
7,842
|
ПФ Сибирская губерния
|
-
|
0.01
|
0.003
|
2
|
| 1314
|
Пропиональдегид (Альдегид пропионовый; Пропаналь; Метилуксусный альдегид)
|
5,850
|
ПФ Сибирская губерния
|
в пределах промплощадки
|
0.01
|
3
|
| 1325
|
Формальдегид
|
8,437
|
- « -
|
-
|
0.035
|
0.003
|
2
|
| 1
|
2
|
3
|
4
|
5
|
7
|
8
|
9
|
| 2902
|
Взвешенные вещества
|
0,493
|
ПФ Сибирская губерния
|
-
|
0.5
|
0.15
|
3
|
| 2908
|
Пыль неорганическая: 70-20% двуокиси кремния (шамот, цемент, пыль цементного производства -
глина, глинистый сланец, доменный
шлак, песок, клинкер, зола кремнезем и др.)
|
9,378
|
ПФ Сибирская губерния и другие
|
425
|
0.3
|
0.1
|
3
|
| 2909
|
Пыль неорганическая: ниже 20% двуокиси кремния (доломит, пыль цементного производства - известняк, мел, огарки, сырьевая смесь, пыль вращающихся печей, боксит и др.)
|
85,847
|
ОАО Литос
|
630-800
|
0.5
|
0.15
|
3
|
| 2937
|
Пыль зерновая /по грибам хранения/
|
23,1004
|
ПФ Сибирская губерния
|
610
|
0.5
|
0.15
|
3
|
Наибольший вклад в загрязнение атмосферы поселка вносят такие крупные предприятия как ОАО «Литос» и птицефабрика «Сибирская губерния».
Таблица 3.2.5
Валовые выбросы и вклад различных предприятий в загрязнение атмосферы
| Наименование предприятия
|
вредное вещество
|
Кол-во вредных веществ, отходящих из всех источников
|
в том числе
|
из поступивших на очистку
|
Всего выбрасывается в атмосферу, т/год
|
Вклад в общий выброс по поселку, %
|
| наименование
|
код
|
выделяется без очистки
|
поступает на очистку
|
уловлено и обезврежено
|
будет утилизировано
|
| 1
|
2
|
3
|
4
|
5
|
6
|
7
|
8
|
9
|
11
|
| ООО Березовский хлебозавод
|
Всего:
|
44,500
|
4,47
|
| ОАО Бетон
|
Всего:
|
147,100
|
14,78
|
| ООО Деревообрабатывающая компания Енисей
|
Всего:
|
54,400
|
5,47
|
| ОАО АКВА
|
Азота диоксид
|
0301
|
0,005673
|
0,005673
|
0,005673
|
| Углерод оксид
|
0337
|
0,051668
|
0,051668
|
0,051668
|
| Сажа
|
0328
|
0,000308
|
0,000308
|
0,000308
|
| Железа оксид /в пересчете на железо/
|
0123
|
0,000098
|
0,000098
|
0,000098
|
| Марганец и его соединения
|
0143
|
0,000017
|
0,000017
|
0,000017
|
| Ангидрид сернистый
|
0330
|
0,000571
|
0,000571
|
0,000571
|
| Бензин
|
2704
|
0,005551
|
0,005551
|
0,005551
|
| Керосин
|
2732
|
0,374000
|
0,374000
|
0,374000
|
| Алканы С12-19 /в пересчете на углерод/
|
2754
|
0,001551
|
0,001551
|
0,001551
|
| Фтористые газообразные соединения (в пересчете на фтор)
|
0342
|
0,000004
|
0,000004
|
0,000004
|
| Всего:
|
0,439442
|
0,439442
|
0,439442
|
0,04
|
| ООО «РосЦентрПласт»
|
Железа оксид /в пересчете на железо/
|
0123
|
0,005898
|
0,005898
|
0,005898
|
| Марганец и его соединения
|
0143
|
0,000239
|
0,000239
|
0,000239
|
| 1
|
2
|
3
|
4
|
5
|
6
|
7
|
8
|
9
|
11
|
| Бенз(а)пирен (3,4-Бензпирен)
|
0703
|
0,000001
|
0,000001
|
0,000001
|
| Взвешенные вещества
|
2902
|
0,012000
|
0,012000
|
0,012000
|
| Пыль неорганическая: 70-20% двуокиси кремния (шамот, цемент и др.)
|
2908
|
3,508000
|
3,508000
|
3,508000
|
| Пыль неорганическая: ниже 20% двуокиси кремния (доломит и др.)
|
2909
|
0,002083
|
0,002083
|
0,002083
|
| Азота диоксид
|
0301
|
0,417340
|
0,417340
|
0,417340
|
| Азота оксид
|
0304
|
0,067500
|
0,067500
|
0,067500
|
| Ангидрид сернистый
|
0330
|
0,864000
|
0,864000
|
0,864000
|
| Фтористые газообразные соединения (в пересчете на фтор)
|
0342
|
0,000040
|
0,000040
|
0,000040
|
| Этиловый спирт
|
1061
|
0,001800
|
0,001800
|
0,001800
|
| Ацетон
|
1401
|
0,003600
|
0,003600
|
0,003600
|
| Триэтилендиамин
|
1866
|
0,006000
|
-
|
0,006000
|
0,000300
|
0,005700
|
0,003000
|
| Толуилендиизоционат
|
2031
|
0,010153
|
0,003153
|
0,007000
|
0,000350
|
0,006650
|
0,003503
|
| Всего:
|
4,898654
|
4,885654
|
0,013000
|
0,000650
|
0,012350
|
4,889004
|
0,49
|
| ОАО «Строитель»
|
Азота диоксид
|
0301
|
0,766
|
0,766
|
| Азота оксид
|
0304
|
0,124
|
0,124
|
| Сажа
|
0328
|
2,247
|
2,247
|
| Ангидрид сернистый
|
0330
|
2,550
|
2,550
|
| Углерод оксид
|
0337
|
13,552
|
13,552
|
| Бенз(а)пирен (3,4-Бензпирен)
|
0703
|
0,0000086
|
0,0000086
|
| Бензин
|
2704
|
0,006
|
0,006
|
| Керосин
|
2732
|
0,0005
|
0,0005
|
| Пыль неорганическая: 70-20% двуокиси кремния (шамот, цемент и др.)
|
2908
|
6,420
|
6,420
|
| Пыль неорганическая: ниже
|
2909
|
0,014
|
0,014
|
| 1
|
2
|
3
|
4
|
5
|
6
|
7
|
8
|
9
|
11
|
| 20% двуокиси кремния (доломит и др.)
|
| Всего:
|
25,680
|
25,680
|
2,58
|
| ОАО «Литос»
Березовский цех
|
Железа оксид (в пересчете на железо)
|
0123
|
0,148000
|
| Марганец и его соединения (в пересчете на диоксид марганца)
|
0143
|
0,001400
|
| Свинец и его неорганические соединения
|
0184
|
0,000290
|
| Азота диоксид
|
0301
|
0,296700
|
| Кислота серная по молекуле H2SO4
|
0322
|
0,000004
|
| Сажа
|
0328
|
0,008100
|
| Ангидрид сернистый
|
0330
|
0,491060
|
| Сероводород
|
0333
|
0,000030
|
| Углерода оксид
|
0337
|
3,383000
|
| Фтористые соединения газообразные (в пересчете на фтор)
|
0342
|
0,000200
|
| Пентан
|
0405
|
0,030000
|
| Амилены (смесь изомеров)
|
0501
|
0,000800
|
| Бензол
|
0602
|
0,000620
|
| Ксилол
|
0616
|
0,000050
|
| Толуол
|
0621
|
0,000500
|
| Этилбензол
|
0627
|
0,000020
|
| Бенз(а)пирен (3,4-Бензпирен)
|
0703
|
0,000002
|
| Бензин (нефтяной, малосернистый в пересчете на С)
|
2704
|
0,159000
|
| Углеводороды предельные С12-С19 в пересч. на суммарный орг. углерод
|
2754
|
0,038550
|
| 1
|
2
|
3
|
4
|
5
|
6
|
7
|
8
|
9
|
11
|
| Пыль неорганическая: ниже 20% двуокиси кремния (доломит и др.)
|
2909
|
261,700000
|
| Пыль неорганическая: 70-20% двуокиси кремния (шамот, цемент, зола и др.)
|
2908
|
5,244000
|
| Всего:
|
271,502326
|
27,29
|
| ОАО «Литос»
Шумковский цех
|
Железа оксид (в пересчете на железо)
|
0123
|
0,004000
|
| Азота диоксид
|
0301
|
0,044000
|
| Сажа
|
0328
|
0,005900
|
| Ангидрид сернистый
|
0330
|
0,004700
|
| Сероводород
|
0333
|
0,000014
|
| Углерода оксид
|
0337
|
0,173000
|
| Фтористые соединения газообразные (в пересчете на фтор)
|
0342
|
0,000200
|
| Бензол
|
0602
|
0,000007
|
| Углеводороды предельные С12-С19 в пересчете на суммарный орг.углерод
|
2754
|
0,027900
|
| Пыль неорганическая, содержащая двуокись кремния в % ниже 20 (доломит и др.)
|
2909
|
196,516000
|
| Всего:
|
196,775721
|
19,78
|
| Птицефабрика «Березовская»
|
Железа оксид (в пересчете на железо)
|
0123
|
0,065997
|
0,065997
|
0,065997
|
| Марганец и его соединения (в пересчете на диоксид марганца)
|
0143
|
0,003832
|
0,003832
|
0,003832
|
| Сажа
|
0328
|
0,001625
|
0,001625
|
0,001625
|
| 1
|
2
|
3
|
4
|
5
|
6
|
7
|
8
|
9
|
11
|
| Бенз(а)пирен (3,4-Бензпирен)
|
0703
|
0,001773
|
0,001773
|
0,001304
|
0,000469
|
| Микроорганизмы имикроорганизмы-продуценты
|
2603
|
0,000000
|
0,000000
|
0,000000
|
| Взвешенные вещества
|
2902
|
0,027640
|
0,027640
|
0,027640
|
| Пыль неорганическая: 70-20% двуокиси кремния (шамот, цемент, зола и др.)
|
2908
|
652,813297
|
652,813297
|
533,523297
|
119,290000
|
| Пыль неорганическая, содержащая двуокись кремния в % ниже 20 (доломит и др.)
|
2909
|
2,076030
|
2,076030
|
2,076030
|
| Пыль меховая
|
2920
|
0,198700
|
0,198700
|
0,198700
|
| Пыль древесная
|
2936
|
4,590000
|
4,590000
|
4,452300
|
0,137700
|
| Пыль зерновая (по грибам хранения)
|
2937
|
46,843478
|
3,800000
|
43,043478
|
42,053478
|
4,790000
|
| Азота диоксид
|
0301
|
50,756487
|
50,756487
|
50,756487
|
| Аммиак
|
0303
|
7,846945
|
7,846945
|
7,846945
|
| Азота оксид
|
0304
|
8,234000
|
8,234000
|
8,234000
|
| Кислота серная по молекуле H2SO4
|
0322
|
0,000001
|
0,000001
|
0,000001
|
| Ангидрид сернистый
|
0330
|
35,567043
|
35,567043
|
35,567043
|
| Сероводород
|
0333
|
1,649200
|
1,649200
|
1,649200
|
| Углерода оксид
|
0337
|
15,190824
|
15,190824
|
15,190824
|
| Фтористые соединения газообразные (в пересчете на фтор)
|
0342
|
0,001040
|
0,001040
|
0,001040
|
| Смесь углеводородов предельных С1-С5
|
0415
|
0,108200
|
0,108200
|
0,108200
|
| Смесь углеводородов предельных С6-С10
|
0416
|
0,026360
|
0,026360
|
0,026360
|
| Амилены (смесь изомеров)
|
0501
|
0,003586
|
0,003586
|
0,003586
|
| Бензол
|
0602
|
0,002868
|
0,002868
|
0,002868
|
| Ксилол
|
0616
|
0,000215
|
0,000215
|
0,000215
|
| 1
|
2
|
3
|
4
|
5
|
6
|
7
|
8
|
9
|
11
|
| Толуол
|
0621
|
0,002080
|
0,002080
|
0,002080
|
| Этилбензол
|
0627
|
0,000072
|
0,000072
|
0,000072
|
| Пентан-1-ол (спирт амиловый)
|
1039
|
0,001200
|
0,001200
|
0,001200
|
| Фенол
|
1071
|
0,035661
|
0,035661
|
0,035661
|
| Пропаналь
|
1314
|
0,034430
|
0,034430
|
0,034430
|
| Формальдегид
|
1325
|
3,582000
|
3,582000
|
3,582000
|
| Ацетон
|
1401
|
0,006000
|
0,006000
|
0,006000
|
| Валериановая кислота
|
1519
|
0,007800
|
0,007800
|
0,007800
|
| Капроновая кислота
|
1531
|
0,002756
|
0,002756
|
0,002756
|
| Диметилсульфид
|
1707
|
0,006290
|
0,006290
|
0,006290
|
| Метилмеркаптан
|
1715
|
0,000561
|
0,000561
|
0,000561
|
| Диметиламин
|
1819
|
0,011500
|
0,011500
|
0,011500
|
| Бензин (нефтяной, малосернистый в пересчете на С)
|
2704
|
0,072716
|
0,072716
|
0,072716
|
| Масло минеральное нефтяное
|
2735
|
0,000255
|
0,000255
|
0,000255
|
| Углеводороды предельные С12-С19 (пересч. на суммарный орг. углерод)
|
2754
|
0,018333
|
0,018333
|
0,018333
|
| Всего:
|
829,790795
|
129,342247
|
700,448548
|
580,030379
|
0,000000
|
249,760417
|
25,10
|
| ИТОГО
|
995,046910
|
100
|
| ЭРА v1.7 Логос-Плюс(ЭРА-УПРЗА+ЭРА-ПДВ)
|
Таблица 3.2.6
|
| Перечень загрязняющих веществ, выбрасываемых в атмосферу
на существующее положение
|
22.12.06
|
| п. Березовка, Березовка генплан
|
| Код
|
Н а и м е н о в а н и е
|
ПДК
|
ПДК
|
ОБУВ
|
Класс
|
Выброс
|
Выброс
|
Значение
|
Категория
|
| загр.
|
вещества
|
максим.
|
средне-
|
ориентир.
|
опас-
|
вещества
|
вещества,
|
КОВ
|
опасности
|
| веще-
|
разовая,
|
суточная,
|
безопасн.
|
ности
|
г/с
|
т/год
|
(M/ПДК)**а
|
вещества
|
| ства
|
мг/м3
|
мг/м3
|
УВ,мг/м3
|
(M)
|
| 1
|
2
|
3
|
4
|
5
|
6
|
7
|
8
|
9
|
10
|
| 0123
|
диЖелезо триоксид (Железа оксид) /в
|
0.04
|
3
|
0.2452494
|
0.6464377
|
16.1609
|
3
|
| пересчете на железо/
|
| 0143
|
Марганец и его соединения /в
|
0.01
|
0.001
|
2
|
0.029862
|
0.0587193
|
199.2577
|
3
|
| пересчете на марганца (IV) оксид/
|
| 0304
|
Азот (II) оксид (Азота оксид)
|
0.4
|
0.06
|
3
|
0.8736
|
8.2464
|
137.44
|
3
|
| 0328
|
Углерод (Сажа)
|
0.15
|
0.05
|
3
|
0.22926198
|
2.2698489
|
45.397
|
3
|
| 0405
|
Пентан
|
100
|
25
|
4
|
1.2
|
0.03
|
-
|
-
|
| 0415
|
Смесь углеводородов предельных
|
50
|
8.06
|
0.1082
|
-
|
-
|
| С1-С5
|
| 0416
|
Смесь углеводородов предельных
|
30
|
1.962
|
0.02636
|
-
|
-
|
| С6-С10
|
| 0501
|
Пентилены (амилены - смесь
|
1.5
|
4
|
0.299
|
0.004386
|
-
|
-
|
| изомеров)
|
| 0602
|
Бензол
|
0.3
|
0.1
|
2
|
0.239612
|
0.003495
|
-
|
-
|
| 0616
|
Диметилбензол (Ксилол) (смесь о-,
|
0.2
|
3
|
0.01802
|
0.0002652
|
-
|
-
|
| м-, п- изомеров)
|
| 0621
|
Метилбензол (Толуол)
|
0.6
|
3
|
0.1738
|
0.00258
|
-
|
-
|
| 0627
|
Этилбензол
|
0.02
|
3
|
0.00594
|
0.0000917
|
-
|
-
|
| 0703
|
Бенз(а)пирен (3,4-Бензпирен)
|
0.000001
|
1
|
0.00005294
|
0.0004798
|
36124.5474
|
1
|
| 1039
|
Пентан-1-ол (Спирт амиловый)
|
0.01
|
3
|
0.000106
|
0.0012
|
1.2
|
3
|
| 1061
|
Этанол (Спирт этиловый)
|
5
|
4
|
0.00001
|
0.000018
|
-
|
-
|
| 1314
|
Пропиональдегид (Альдегид
|
0.01
|
3
|
0.015162
|
0.03443
|
34.43
|
3
|
| пропионовый; Пропаналь;
|
| Метилуксусный альдегид)
|
| 1519
|
Пентановая кислота (Кислота
|
0.03
|
0.01
|
3
|
0.00068
|
0.0078
|
-
|
-
|
| валериановая)
|
| 1531
|
Гексановая кислота (Кислота
|
0.01
|
0.005
|
3
|
0.000638
|
0.002756
|
-
|
-
|
| капроновая)
|
| ЭРА v1.7 Логос-Плюс(ЭРА-УПРЗА+ЭРА-ПДВ)
|
| Перечень загрязняющих веществ, выбрасываемых в атмосферу
на существующее положение
|
22.12.06
|
| п. Березовка, Березовка генплан
|
| 1
|
2
|
3
|
4
|
5
|
6
|
7
|
8
|
9
|
10
|
| 1707
|
Диметилсульфид
|
0.8
|
4
|
0.00115
|
0.0053
|
-
|
-
|
| 1715
|
Метантиол (Метилмеркаптан)
|
0.000009
|
2
|
0.0001121
|
0.000561
|
4296.7141
|
2
|
| 1819
|
Диметиламин
|
0.005
|
0.0025
|
2
|
0.002407
|
0.0115
|
7.2708
|
3
|
| 2031
|
Диизоцианатметилбензол
|
0.005
|
0.002
|
1
|
0.00462
|
0.015403
|
32.1498
|
3
|
| 2603
|
Микроорганизмы и
|
0.000004
|
0.000000036
|
0.0000001545
|
-
|
-
|
| микроорганизмы-продуценты (отраслей
|
| промышленности: мукомольной,
|
| комбикормовой, дрожжевой,
|
| пивоваренной, кормовых дрожжей,
|
| аминокислот, ферментов,
|
| биопрепаратов на основе
|
| молочнокислых бактерий) /по общему
|
| бактериальному счету/
|
| 2704
|
Бензин (нефтяной, малосернистый) /в
|
5
|
1.5
|
4
|
0.6566209
|
0.226933231
|
-
|
-
|
| пересчете на углерод/
|
| 2732
|
Керосин
|
1.2
|
0.2605
|
0.3745
|
3.1208
|
3
|
| 2735
|
Масло минеральное нефтяное
|
0.05
|
0.0000722
|
0.0002548
|
-
|
-
|
| (веретенное, машинное, цилиндровое
|
| и др.)
|
| 2754
|
Алканы С12-19 (Растворитель
|
1
|
4
|
0.208588
|
0.11058247
|
1.0948
|
3
|
| РПК-265П) /в пересчете на углерод/
|
| 2902
|
Взвешенные вещества
|
0.5
|
0.15
|
3
|
0.0348
|
0.03244
|
-
|
-
|
| 2909
|
Пыль неорганическая: ниже 20%
|
0.5
|
0.15
|
3
|
6.3884467
|
67.75316992
|
451.6878
|
3
|
| двуокиси кремния (доломит, пыль
|
| цементного производства -
|
| известняк, мел, огарки, сырьевая
|
| смесь, пыль вращающихся печей,
|
| боксит и др.)
|
| 2920
|
Пыль меховая (шерстяная, пуховая)
|
0.03
|
0.046
|
0.1987
|
66.2333
|
3
|
| 2936
|
Пыль древесная
|
0.5
|
0.153
|
0.1377
|
2.754
|
3
|
| 2937
|
Пыль зерновая /по грибам хранения/
|
0.5
|
0.15
|
3
|
0.53
|
3.99
|
26.6
|
3
|
| Вещества, обладающие эффектом суммарного вредного воздействия
|
| 0184
|
Свинец и его неорганические
|
0.001
|
0.0003
|
1
|
0.00036
|
0.00029
|
-
|
-
|
| соединения /в пересчете на свинец/
|
| ЭРА v1.7 Логос-Плюс(ЭРА-УПРЗА+ЭРА-ПДВ)
|
| Перечень загрязняющих веществ, выбрасываемых в атмосферу
на существующее положение
|
22.12.06
|
| п. Березовка, Березовка генплан
|
| 1
|
2
|
3
|
4
|
5
|
6
|
7
|
8
|
9
|
10
|
| 0301
|
Азот (IV) оксид (Азота диоксид)
|
0.2
|
0.04
|
3
|
5.93821716
|
53.615313499
|
1340.3828
|
2
|
| 0303
|
Аммиак
|
0.2
|
0.04
|
4
|
0.174145
|
7.84414
|
115.6743
|
3
|
| 0322
|
Кислота серная
|
0.3
|
0.1
|
2
|
0.0002795
|
0.000108684
|
-
|
-
|
| 0330
|
Сера диоксид (Ангидрид сернистый)
|
0.5
|
0.05
|
3
|
4.08658343
|
40.601388342
|
812.0278
|
3
|
| 0333
|
Дигидросульфид (Сероводород)
|
0.008
|
2
|
0.0942354
|
1.64855382
|
20333.7316
|
1
|
| 0337
|
Углерод оксид
|
5
|
3
|
4
|
8.234650057
|
50.372993418
|
12.6639
|
3
|
| 0342
|
Фтористые газообразные соединения
|
0.02
|
0.005
|
2
|
0.0018148
|
0.001444
|
-
|
-
|
| (гидрофторид, кремний тетрафторид)
|
| (Фтористые соединения газообразные
|
| (фтористый водород,
|
| четырехфтористый кремний)) /в
|
| пересчете на фтор/
|
| 1071
|
Гидроксибензол (Фенол)
|
0.01
|
0.003
|
2
|
0.0191021
|
0.035661
|
24.9801
|
3
|
| 1325
|
Формальдегид
|
0.035
|
0.003
|
2
|
0.33
|
3.582
|
10002.4324
|
1
|
| 1401
|
Пропан-2-он (Ацетон)
|
0.35
|
4
|
0.00056
|
0.006036
|
-
|
-
|
| 2908
|
Пыль неорганическая: 70-20%
|
0.3
|
0.1
|
3
|
14.8586
|
140.13179968
|
1401.318
|
2
|
| двуокиси кремния (шамот, цемент,
|
| пыль цементного производства -
|
| глина, глинистый сланец, доменный
|
| шлак, песок, клинкер, зола
|
| кремнезем и др.)
|
| В С Е Г О:
|
55.377858703
|
382.14024062
|
75489.3
|
| Суммарный коэффициент опасности: 75489.3
|
| Категория опасности: 2
|
| Примечания: 1. В колонке 9: "M" - выброс ЗВ,т/год; "ПДК" - ПДКс.с. или (при отсутствии ПДКс.с.) 0.1*ПДКм.р. или (при отсутстви
|
| ПДКм.р.) 0.1*ОБУВ; "a" - константа, зависящая от класса опасности ЗВ
|
| 2. "-" в колонках 9,10 означает, что для данного ЗВ М/ПДК < 1. В этом случае КОВ не рассчитывается и в определении
|
| категории опасности предприятия не участвует.
|
| 3. Способ сортировки: по возрастанию кода ЗВ (колонка 1)
|
| Таблица 3.2.7
|
| БЛАНК ИНВЕНТАРИЗАЦИИ ИСТОЧНИКОВ ВЫБРОСОВ ВРЕДНЫХ ВЕЩЕСТВ В АТМОСФЕРУ
|
| ЭРА v1.7 Логос-Плюс(ЭРА-УПРЗА+ЭРА-ПДВ)
|
22.12.06
|
| Раздел IV. Суммарные выбросы загрязняющих веществ в атмосферу, их очистка и утилизация
|
| (в целом по поселку), т/год
|
| на 2006 год
|
| п. Березовка, Березовка генплан
|
| Код
|
Количество
|
В том числе
|
Из поступивших на очистку
|
Всего
|
| заг-
|
Н а и м е н о в а н и е
|
загрязняющих
|
выброшено
|
| ряз-
|
загрязняющего
|
веществ
|
выбрасыва-
|
поступает
|
выброшено
|
уловлено и обезврежено
|
в
|
| няющ
|
вещества
|
отходящих от
|
ется без
|
на
|
в
|
атмосферу
|
| веще
|
источников
|
очистки
|
очистку
|
атмосферу
|
фактически
|
из них ути-
|
| ства
|
выделения
|
лизовано
|
| 1
|
2
|
3
|
4
|
5
|
6
|
7
|
8
|
9
|
| В С Е Г О:
|
382.140240618
|
382.1402406
|
382.1402406
|
| в том числе:
|
| т в е р д ы е
|
215.219585454
|
215.2195855
|
215.2195855
|
| из них:
|
| 0123
|
диЖелезо триоксид (Железа оксид) /в
|
0.6464377
|
0.6464377
|
0.6464377
|
| пересчете на железо/
|
| 0143
|
Марганец и его соединения /в
|
0.0587193
|
0.0587193
|
0.0587193
|
| пересчете на марганца (IV) оксид/
|
| 0184
|
Свинец и его неорганические
|
0.00029
|
0.00029
|
0.00029
|
| соединения /в пересчете на свинец/
|
| 0328
|
Углерод (Сажа)
|
2.2698489
|
2.2698489
|
2.2698489
|
| 0703
|
Бенз(а)пирен (3,4-Бензпирен)
|
0.0004798
|
0.0004798
|
0.0004798
|
| 2603
|
Микроорганизмы и
|
0.0000001545
|
0.000000155
|
0.000000155
|
| микроорганизмы-продуценты (отраслей
|
| промышленности: мукомольной,
|
| комбикормовой, дрожжевой,
|
| пивоваренной, кормовых дрожжей,
|
| аминокислот, ферментов,
|
| биопрепаратов на основе
|
| молочнокислых бактерий) /по общему
|
| бактериальному счету/
|
| 2902
|
Взвешенные вещества
|
0.03244
|
0.03244
|
0.03244
|
| 2908
|
Пыль неорганическая: 70-20%
|
140.13179968
|
140.1317997
|
140.1317997
|
| ЭРА v1.7 Логос-Плюс(ЭРА-УПРЗА+ЭРА-ПДВ)
|
| Раздел IV. Суммарные выбросы загрязняющих веществ в атмосферу, их очистка и утилизация
|
| (в целом по поселку), т/год
|
| на 2006 год
|
| п. Березовка, Березовка генплан
|
| 1
|
2
|
3
|
4
|
5
|
6
|
7
|
8
|
9
|
| двуокиси кремния (шамот, цемент,
|
| пыль цементного производства -
|
| глина, глинистый сланец, доменный
|
| шлак, песок, клинкер, зола
|
| кремнезем и др.)
|
| 2909
|
Пыль неорганическая: ниже 20%
|
67.75316992
|
67.75316992
|
67.75316992
|
| двуокиси кремния (доломит, пыль
|
| цементного производства -
|
| известняк, мел, огарки, сырьевая
|
| смесь, пыль вращающихся печей,
|
| боксит и др.)
|
| 2920
|
Пыль меховая (шерстяная, пуховая)
|
0.1987
|
0.1987
|
0.1987
|
| 2936
|
Пыль древесная
|
0.1377
|
0.1377
|
0.1377
|
| 2937
|
Пыль зерновая /по грибам хранения/
|
3.99
|
3.99
|
3.99
|
| г а з о о б р а з н ы е и ж и д к и е
|
166.920655164
|
166.9206552
|
166.9206552
|
| из них:
|
| 0301
|
Азот (IV) оксид (Азота диоксид)
|
53.615313499
|
53.6153135
|
53.6153135
|
| 0303
|
Аммиак
|
7.84414
|
7.84414
|
7.84414
|
| 0304
|
Азот (II) оксид (Азота оксид)
|
8.2464
|
8.2464
|
8.2464
|
| 0322
|
Кислота серная
|
0.000108684
|
0.000108684
|
0.000108684
|
| 0330
|
Сера диоксид (Ангидрид сернистый)
|
40.6013883419
|
40.60138834
|
40.60138834
|
| 0333
|
Дигидросульфид (Сероводород)
|
1.64855382
|
1.64855382
|
1.64855382
|
| 0337
|
Углерод оксид
|
50.372993418
|
50.37299342
|
50.37299342
|
| 0342
|
Фтористые газообразные соединения
|
0.001444
|
0.001444
|
0.001444
|
| (гидрофторид, кремний тетрафторид)
|
| (Фтористые соединения газообразные
|
| (фтористый водород,
|
| четырехфтористый кремний)) /в
|
| пересчете на фтор/
|
| 0405
|
Пентан
|
0.03
|
0.03
|
0.03
|
| 0415
|
Смесь углеводородов предельных
|
0.1082
|
0.1082
|
0.1082
|
| С1-С5
|
| ЭРА v1.7 Логос-Плюс(ЭРА-УПРЗА+ЭРА-ПДВ)
|
| Раздел IV. Суммарные выбросы загрязняющих веществ в атмосферу, их очистка и утилизация
|
| (в целом по поселку), т/год
|
| на 2006 год
|
| п. Березовка, Березовка генплан
|
| 1
|
2
|
3
|
4
|
5
|
6
|
7
|
8
|
9
|
| 0416
|
Смесь углеводородов предельных
|
0.02636
|
0.02636
|
0.02636
|
| С6-С10
|
| 0501
|
Пентилены (амилены - смесь
|
0.004386
|
0.004386
|
0.004386
|
| изомеров)
|
| 0602
|
Бензол
|
0.003495
|
0.003495
|
0.003495
|
| 0616
|
Диметилбензол (Ксилол) (смесь о-,
|
0.0002652
|
0.0002652
|
0.0002652
|
| м-, п- изомеров)
|
| 0621
|
Метилбензол (Толуол)
|
0.00258
|
0.00258
|
0.00258
|
| 0627
|
Этилбензол
|
0.0000917
|
0.0000917
|
0.0000917
|
| 1039
|
Пентан-1-ол (Спирт амиловый)
|
0.0012
|
0.0012
|
0.0012
|
| 1061
|
Этанол (Спирт этиловый)
|
0.000018
|
0.000018
|
0.000018
|
| 1071
|
Гидроксибензол (Фенол)
|
0.035661
|
0.035661
|
0.035661
|
| 1314
|
Пропиональдегид (Альдегид
|
0.03443
|
0.03443
|
0.03443
|
| пропионовый; Пропаналь;
|
| Метилуксусный альдегид)
|
| 1325
|
Формальдегид
|
3.582
|
3.582
|
3.582
|
| 1401
|
Пропан-2-он (Ацетон)
|
0.006036
|
0.006036
|
0.006036
|
| 1519
|
Пентановая кислота (Кислота
|
0.0078
|
0.0078
|
0.0078
|
| валериановая)
|
| 1531
|
Гексановая кислота (Кислота
|
0.002756
|
0.002756
|
0.002756
|
| капроновая)
|
| 1707
|
Диметилсульфид
|
0.0053
|
0.0053
|
0.0053
|
| 1715
|
Метантиол (Метилмеркаптан)
|
0.000561
|
0.000561
|
0.000561
|
| 1819
|
Диметиламин
|
0.0115
|
0.0115
|
0.0115
|
| 2031
|
Диизоцианатметилбензол
|
0.015403
|
0.015403
|
0.015403
|
| 2704
|
Бензин (нефтяной, малосернистый) /в
|
0.226933231
|
0.226933231
|
0.226933231
|
| пересчете на углерод/
|
| 2732
|
Керосин
|
0.3745
|
0.3745
|
0.3745
|
| 2735
|
Масло минеральное нефтяное
|
0.0002548
|
0.0002548
|
0.0002548
|
| (веретенное, машинное, цилиндровое
|
| и др.)
|
| 2754
|
Алканы С12-19 (Растворитель
|
0.11058247
|
0.11058247
|
0.11058247
|
| РПК-265П) /в пересчете на углерод/
|
Шумковский участок ОАО «Литос» расположен с наветренной стороны по отношению к поселку, атмосферные загрязнения, главным образом твердые составляющие (пыли), от карьера и дробильно-сортировочной фабрики поступают в воздушный бассейн поселка при основных направлениях ветра. Проектом предлагается вынос Шумковского участка за пределы поселка в северо-восточном направлении.
3.3. Предложения по организации санитарно-защитных зон
На схеме планировочных ограничений показаны санитарно-защитные зоны от существующих предприятий, принятые ориентировочно по СанПиН 2.2.1/2.1.1.1200-03 «Санитарно--защитные зоны и санитарная классификация предприятий, сооружений и иных объектов» (утв. постановлением главного санитарного врача РФ от 25.09.2007 №74).
В санитарно-защитные зоны от предприятий и железной дороги, расположенных вблизи жилых кварталов, попадает жилая застройка. Проектом выделены на первую очередь зоны запрещения жилой застройки. К расчетному сроку необходимо проведение природоохранных мероприятий с целью сокращения СЗЗ до размеров, при которых жилая застройка не попадает в границы санитарно-защитных зон, вплоть до перепрофилирования производства или выноса вредных производственных процессов, предприятий на новые площадки, переселения жителей.
Проектом предлагается вынос из жилых зон ООО «Березовская мебельная фабрика», ООО «Березовский хлебозавод», литейного цеха. К выносу предлагается Березовское карьерное управления в район «Няши», склады «Шалыгина» по ул.Береговой, МТФ «Злобинское отделение» и молочный завод СПК «Березовский» в восточную зону.
Таблица 3.3.1
Размеры нормативных санитарно-защитных зон основных предприятий и организаций поселка.
| №№
|
Отрасли народного хозяйства и предприятия
|
Вид деятельности
|
Нормативная СЗЗ ориентировочно по СанПиН 2.2.1/2.1.1.1200-03
|
Рекомендуемое изменение размера СЗЗ, м
|
Примечания
|
| 1
|
2
|
3
|
4
|
5
|
6
|
| 1
|
ОАО «Сибирская губерния» «ПКФ Березовская»
|
Бройлерная фабрика
|
1000
|
1000
|
| 2
|
Березовская ремонтно-механическая мастерская флота ОАО «Красноярский речной флот»
|
300
|
300
|
| 3
|
ОАО «Бетон»
|
производство железобетонных изделий
|
300
|
300
|
| 4
|
ООО «Березовская мебельная фабрика»
|
производство мебели
|
100
|
100
|
Переносится в район птицефабрики.
|
| 5
|
ООО Деревообрабатывающая компания «Енисей»
|
обработка древесины
|
300
|
300
|
Планируется увеличение производства. Необходимо проведение мероприятий по уменьшению размера СЗЗ в сторону жилых домов ул. Московская.
|
| 6
|
МТФ
|
животноводство
|
300
|
300
|
не более 1200 голов
|
| 7
|
ОАО «Торговый дом» («Литос»)
|
Производство песчано-гравийных материалов
|
100
|
100
|
| 8
|
ООО «Нильс» мебельная фабрика
|
производство мебели
|
100
|
50
|
Процессы окраски и лакировки перенести на другую площадку.
|
| 9
|
ГПКК "ДРСУ-2"
|
Ремонт и строительство дорог
|
100
|
100
|
без битумной установки
|
| 10
|
ООО "Строитель"
|
Строительство
|
50
|
мер-ия по сокращению СЗЗ до 50 м
|
| 11
|
База с/х техники
|
300
|
100
|
сокращение СЗЗ до 100 м
|
| 12
|
Ленагропромснаб
|
100
|
100
|
| 13
|
ФГУ УСС №9
|
Предприятие железной дороги
|
100
|
сокращение СЗЗ до 100 м
|
| 14
|
База ГСМ
|
100
|
100
|
| 15
|
ОАО «Красноярскэлектро-сеть МК-16»
|
50
|
сокращение СЗЗ до 50 м
|
| 16
|
Склады медицинского оборудования
|
50
|
50
|
| 17
|
ООО «Березовский хлебозавод»
|
Производство хлеба
|
100
|
Перенос на другую площадку
|
| 18
|
ООО «Новые технологии»
|
Склады медикаментов
|
50
|
50
|
| 19
|
ТУ «Березовский районный отдел ветеринарии»
|
50
|
50
|
Для АЗС, расположенных вблизи жилой застройки, необходимо оснащение оборудования закольцовкой паров бензина для сокращения размера СЗЗ до 50 м, либо вынос из жилой зоны.
Для существующих электроподстанций следует определить санитарно-защитные зоны и при необходимости выполнить защитные мероприятия.
3.4. Мероприятия по уменьшению выбросов загрязняющих веществ в атмосферу
Важной мерой по улучшению состояния атмосферы в поселке является упорядочение промышленно-коммунальных территорий, выделение зон развития промышленных предприятий, вынос производств, выделяющих вредности в воздушный бассейн, из селитебной зоны, организация санитарно-защитных зон.
В 2007 г. ОАО «Литос» планирует довести выбросы в атмосферу до норм ПДВ, что обеспечит улучшение состояния воздушной среды в поселке, это касается главным образом Шумковского цеха. В дальнейшем генеральным планом предлагается вынос данного производства за пределы поселка, на прибрежной части освободившейся территории создать зеленую зону вдоль ручья.
Одним из источников загрязнения атмосферы твердыми частицами остаются золоотвалы Красноярской ТЭЦ-1, особенно в ветреную погоду. Согласно СанПиН 2.2.1/2.1.1.1200-03 минимальная СЗЗ от золоотвала ТЭЦ должна составлять не менее 300 м (третий класс) с осуществлением древесно-кустарниковых посадок по его периметру. Целесообразно при поэтапной рекультивации отработанных золоотвалов создание озлененной полосы шириной 300-500 м между правобережной промзоной Красноярска и землями поселка, защищающей селитебные территории п.Березовка от атмосферных загрязнений.
Предприятия поселка разрабатывают нормативы ПДВ, в ближайшее время планируется реализация решений по достижению объемов допустимых выбросов. На крупных предприятиях – загрязнителях атмосферы проводятся технологические мероприятия для уменьшения объемов отходящих газов и подавления вредных выбросов в воздушный бассейн.
Красноярский ЦМС-Р проводит мониторинг загрязнения атмосферного воздуха в поселке.
Размещение новых предприятий выше II класса вредности по территориальным, экологическим условиям в поселке не предусматривается. Учитывая вероятностный характер долгосрочного прогноза развития экономики поселка, нельзя исключить возможность в перспективе расширения объема производства на действующих предприятиях, появления неучтенных в расчетах предприятий и организаций малого и среднего бизнеса.
Для АЗС, расположенных вблизи жилой застройки, необходимо оснащение оборудования закольцовкой паров бензина для сокращения размера СЗЗ до 50 м, либо вынос из жилой зоны.
Для существующих электроподстанций следует определить санитарно-защитные зоны и при необходимости выполнить защитные мероприятия.
Большой вклад в загрязнение окружающей среды вносит автомобильный транспорт, численность которого увеличивается год от года. Транспортную подвижность поселка увеличивает близость крупнейшего города.
Поселок Березовка с трех сторон обозначен магистральными транспортными артериями: с запада – Главной Сибирской железнодорожной магистралью, с севера - обходная автодорога, проходящая вдоль р. Енисей, с юга – федеральная автодорога М-53 «Байкал». Центральную часть поселка пересекает в широтном направлении автодорога на Сосновоборск, Железногорск.
В настоящее время завершено строительство кольцевого обхода г Красноярска по направлению «с. Вознесенское – Ермолаево – Старцево – Емельяново», что позволило вывести транзитный транспорт за пределы п. Березовка.
При дальнейшем развитии г. Красноярска и строительстве нового мостового перехода через р. Енисей в створе ул. Волочаевская, «Комплексной транспортной схемой г. Красноярска», запроектирован южный автодорожный обход по ул. Трактовая. Данным генпланом рассматривается возможность его выхода через Кузнецово, Лукино, Зыково, Лопатино на трассу автодороги «Байкал», что также уменьшит транспортный поток на улицах п. Березовка.
Для отвода транспорта, следующего по дороге «Байкал» через центральную часть поселка по ул. Кирова, проектом предлагается построить автодорогу от ул. Трактовая вдоль железнодорожного пути « Бугач – Красноярск-Северный - Красноярск-Восточный», протяженностью 0,55км, для выхода на Коркинский мостовой переход с использованием существующих участков дороги.
Федеральная автодорога М-53 «Байкал» проходила через центр поселка по ул. Кирова на «Коркинский» мост. Проектом предлагается убрать ее из центра, построив участок автодороги вдоль железнодорожной линии « Бугач - Красноярск-Северный - Красноярск-Восточный», протяженностью 0,55 км, от ул. Трактовая, а далее с использованием существующих участков дорог, тем более что от нее существует четвертый выход в г. Красноярск.
Проектом, также, предлагается расширить сеть дорог с асфальтовым покрытием, что снижает количество переключений двигателя, способствует увеличению скорости транспортного потока и, соответственно, уменьшению количества выбросов от автотранспорта.
3.5. Мероприятия по защите от шума
Существенным источником шума на селитебных территориях является железнодорожный транспорт. На западной окраине поселка в меридиональном направлении пролегает участок железнодорожного пути «Красноярск-Северный–Красноярск-Восточный». В юго-западной оконечности поселка в районе дер. Злобино добавляется движение поездов по участку «Базаиха– Красноярск-Восточный» Главной Сибирской железнодорожной магистрали.
В широтном направлении поселок пересекает железнодорожный путь на Сосновоборск, одна колея с очень незначительной интенсивностью движения.
Таким образом территория поселка Березовка пересекается железнодорожными путями с севера на юг и с запада на восток.
Жилая застройка должна быть отделена от железной дороги согласно СНиП 2.07.01-89* санитарно-защитной зоной 100 м. В соответствии с СанПиН 2.2.1/2.1.1.1200-03 санитарно-защитная зона от железных дорог устанавливается с учетом величины вредного воздействия.
Допустимые уровни звука (СН 2.2.4\2.1.8.562-96) составляют:
- для расчетной точки, расположенной в 2 м от наружной стены здания, обращенной к магистрали:
с 7 до 23 ч
LA
экв.доп
= 55+10+0 = 65 дБА;
с 23 до 7 ч
LA
экв.доп
= 45+10+0 = 55 дБА;
- для жилых помещений в зданиях:
с 7 до 23 ч
LA
экв.доп
= 40+0 = 40 дБА;
с 23 до 7 ч
LA
экв.доп
= 30+0 = 30 дБА.
Таблица 3.5.1. Расчет эквивалентных уровней шума от железной дороги
| Участок
|
Время, период
|
Пассажирские поезда (в парах)
|
Электропоезда (в парах)
|
Грузовые поезда (в парах)
|
Эквивалентный уровень шума, дБА
|
| из Красноярска
|
с 6 ч. 00 мин.
до 22ч. 00мин.
|
26
|
30
|
8
|
77,4
|
| в восточном направлении
|
с 22 ч. 00 мин.
до 6 ч. 00 мин.
|
6
|
1
|
5
|
74,4
|
| Красноярск Северный –
|
С 6 ч. 00 мин.
до 22ч. 00мин.
|
-
|
-
|
23
|
77
|
| Красноярск Восточный
|
с 22 ч. 00 мин.
до 6 ч. 00 мин.
|
-
|
-
|
29
|
80
|
Скорость движения принята для пассажирских и грузовых составов – 50 км/ч, для электропоездов – 55 км/ч.
Уровень шума от железной дороги в поселке рассчитан по «Руководству по учету в проектах планировки и застройки городов требований снижения уровней шума» исходя из интенсивности движения подвижного состава с учетом средней скорости движения по направлениям:
Из Красноярска в восточном направлении:
с 7 до 23 ч LA
экв.
= 77,4 дБА;
с 23 до 7 ч LA
экв.
= 74,4 дБА;
По перегону Красноярск-Северный – Красноярск-Восточный:
с 7 до 23 ч LA
экв.
= 77,0 дБА;
с 23 до 7 ч LA
экв.
= 80,0 дБА;
Начиная от д.Злобино в южной части поселка обе ветки идут в одном направлении, шум от движения подвижного состава определяем сложением энергетических уровней:
с 7 до 23 ч LA
экв.
= 80,2 дБА;
с 23 до 7 ч LA
экв.
= 81,1 дБА;
В западной части поселка находится жилой район ПМК-16, южнее которого проходит Главная Сибирская железнодорожная магистраль, западнее – участок пути «Красноярск-Северный–Красноярск-Восточный».
Требуемое снижение уровня шума в жилом районе ПМК-16:
- для территории
с 7 до 23 ч ΔLA
тр.
= ΔLA
экв.
– LA
экв.доп
= 77,4 – 65 = 12,4 дБА;
с 23 до 7 ч ΔLA
тр.
= ΔLA
экв.
– LA
экв.доп
= 74,4 – 55 = 19,4 дБА;
- для жилых помещений
с 7 до 23 ч ΔLA
тр.
= ΔLA
экв.
– LA
экв.доп
= 77,4 – 40 = 37,4 дБА;
с 23 до 7 ч ΔLA
тр.
= ΔLA
экв.
– LA
экв.доп
= 74,4 – 30 = 44,4 дБА;
От путей Главной сибирской магистрали до ближайших жилых домов – 290 м, на таком расстоянии снижение уровня звука составляет 23 дБА. Между жилой застройкой и железной дорогой находятся промпредприятия, экранирующие шум от железнодорожного транспорта.
Определим величину снижения звука экраном для расчетной точки на территории h=1,5 м. Сплошную огороженную зону промышленной застройки можно считать экраном бесконечной длины.
Разница длин путей прохождения звукового луча (рис. 1)
δ = (a + b) – c = (117,94 + 174,36) – 292,1 = 0,2
По графику (Руководство по учету в проектах планировки и застройки городов требований снижения уровня шума) определяем уровень снижения шума экраном бесконечной длины А2Б
= 11 дБА.
Общее снижение уровня звука 34 дБА обеспечивает санитарные нормы на территории и в помещениях при открытой форточке (еще 10 дБА и 5 дБА).
От пути «Красноярск-Северный–Красноярск-Восточный» до жилых домов этого района – 170 м, снижение звука расстоянием составляет 20 дБА. До школы – 100 м, снижение звука расстоянием составляет 16 дБА.
С восточной стороны от этих путей находится капитальная и усадебная жилая застройка, расстояние до которой местами не превышает 50 м.
Железнодорожные пути «Красноярск-Северный–Красноярск-Восточный» по территории поселка идут в насыпи высотой 7-9 м. Зона шумового дискомфорта от этого направления составляет около 350,0 м.
Проектом предлагается запрещение нового жилищного строительства в полосе до 100 м от железной дороги. На освобождающейся территории рекомендуется размещать озеленение с применением высоких пород деревьев и коммунальную застройку. Для защиты остальной территории и помещений наиболее эффективно применение тройного остекления и устройство шумозащитного экрана вдоль путей в той же насыпи. На дальнейших этапах необходимо выполнить проект устройства шумозащитного экрана.
Шумовая характеристика автодорог рассчитана для магистральных улиц по «Руководству по учету в проектах планировки и застройки городов требований снижения уровней шума» (ЦНИИП Градостроительства, 1984 г).
Таблица 3.5.2
| Участок магистрали, улица
|
Средневзвешенная скорость потока, км/час
|
Кол-во грузового транспорта, %
|
Интенсивность движения, эк/час
|
Расчетный уровень LАэкв
, дБА
|
Поправки, учитывающие
|
Расчетный уровень LАэкв
, дБА с учетом поправок
|
| продольный уклон
|
ширину разделит. полосы
|
материал дорожного покрытия
|
характер застройки
|
| Кирова
|
45
|
20
|
1000
|
67
|
0
|
-
|
0
|
+3
|
70
|
| Центральная
|
45
|
20
|
1000
|
67
|
0
|
-
|
0
|
+3
|
70
|
| Дружбы
|
45
|
30
|
1000
|
69
|
0
|
-
|
0
|
+1
|
70
|
| Набережная
|
45
|
20
|
1000
|
67
|
0
|
-
|
0
|
+3
|
70
|
| Береговая
|
60
|
30
|
1000
|
72
|
0
|
-
|
0
|
+2
|
74
|
| Парковая
|
45
|
20
|
1000
|
67
|
0
|
-
|
0
|
+1
|
68
|
| Трактовая
|
60
|
30
|
1000
|
70
|
0
|
-
|
0
|
+2
|
72
|
Улицы в поселке имеют ширину, как правило, не более 30 м в красных линиях, расширение их связано со сносом. Не достаточно места и для создания шумозащитного озеленения.
Вдоль улицы Набережная предполагается снос усадебной жилой застройки, односторонняя застройка в перспективе обеспечивает снижение шума на 2 дБА по сравнению с двусторонней.
Автодорога по ул. Береговая расположена таким образом, что естественный рельеф, откос высотой 7-10 м, является защитой от шума для селитебных территорий.
Изменения в транспортной структуре поселка представлены в соответствующем разделе.
Снижение транспортного шума на жилых территориях достигается следующими мероприятиями:
- функциональным зонированием территории поселка с формированием отдельных от селитьбы промышленных зон, пропуском грузового транспорта в обход жилых микрорайонов;
- формированием рациональной транспортно-планировочной структуры территории поселка;
- трассировкой автодорог с транзитным транспортом в обход жилых территорий;
- формированием общей системы зеленых насаждений, способствующей шумозащите, созданию тихих зон для отдыха населения.
Обеспечение акустического комфорта в помещениях возможно при использовании шумозащитного остекления.
4. Мероприятия по ОХРАНЕ ПОВЕРХНОСТНЫХ И ПОДЗЕМНЫХ ВОД ОТ ЗАГРЯЗНЕНИЯ И ИСТОЩЕНИЯ
4.1. Гидрологические условия
Поселок расположен на второй надпойменной террасе р.Енисей, в месте впадения в него правого притока – р. Березовка.
Енисей
в данном створе зарегулирован плотиной Красноярской ГЭС, гидрологический режим и уровни воды определяются попусками с водохранилища. Зимой река не замерзает, что увеличивает влажность воздуха в прибрежной зоне.
Прохождение наибольших годовых расходов и уровней полностью зависит от сбросов ГЭС, поэтому они могут наблюдаться в любое время года. Наивысшие уровни воды р. Енисей в створе пос. Березовка 1% обеспеченности – 135,68 м БС, 5% обеспеченности – 134,04 м БС. Высокий берег в районе поселка не затапливается.
Средняя скорость течения при максимальном расходе воды, равном 12400 м3
/с (1988 г.), составляла 1,92 м/с, наибольшая скорость потока при этом расходе равнялась 2,80 м/с. Наименьшая средняя скорость течения – 0,71 м/с.
Таблица 4.1. Характерные расходы воды, м3
/с.
| Характеристика / месяцы
|
Наименьший
|
Наибольший
|
Средний
|
| I
|
1680
|
2950
|
2500
|
| II
|
1640
|
3550
|
2380
|
| III
|
1740
|
4200
|
2740
|
| IV
|
1930
|
4350
|
2830
|
| V
|
2510
|
5240
|
3030
|
| VI
|
2610
|
5460
|
3040
|
| VII
|
2580
|
5390
|
3070
|
| VIII
|
2560
|
5790
|
3210
|
| IX
|
2470
|
4930
|
2930
|
| X
|
1820
|
3430
|
2620
|
| XI
|
1820
|
3230
|
2260
|
| XII
|
1850
|
3090
|
2440
|
| Средний годовой
|
2320
|
3350
|
2760
|
| Наибольший
|
3000
|
12400
|
5160
|
| Дата
|
30.08.00
|
01.08.88
|
-
|
| Наименьший
|
1500
|
2090
|
1740
|
| Дата
|
22.01.79
|
23-31.12(3) 2005
|
-
|
Более всего воды реки прогреваются в августе-сентябре (в среднем 11,1-11,2°С), наивысшая температура воды за год – 14,4°С.
Река Березовка – небольшой правый приток Енисея, в холодное время года местами перемерзает, образует наледи. Скорость течения – 0,4 м/с, глубина – 0,8-1,0 м. Ширина русла – 8,0-10,0 м. Уклон реки в нижнем течении – 0,4 ‰. По водному режиму р.Березовка относится к рекам с весенним половодьем и дождевыми паводками в летний период. Летний паводок имеет меньшие расходы воды. Питание, в основном, осуществляется за счет атмосферных осадков, частично – грунтовое, в период весеннего половодья – за счет талых вод.
В прежние годы при подъеме уровня воды в Енисее во время сброса возникал подпор воды в р.Березовка, при наивысшем уровне воды в Енисее 1 % обеспеченности подпор уровня от Енисея распространялся более чем на 1000 м вверх по течению р.Березовка.
По опросам населения после возведения дамбы подтопления близлежащих земель не наблюдалось.
Таблица 4.2. Общая характеристика водотоков
| Река
|
Расстояние от устья (км)
|
Площадь водосбора (км2
)
|
Средняя ширина (м)
|
Средняя глубина (м)
|
Скорость течения (м/с)
|
Среднемноголетний расход воды (мс)
|
| наибольший
|
наименьший
|
| 1
|
2
|
3
|
4
|
5
|
6
|
7
|
8
|
| Енисей
|
2462
|
300000
|
1,92
|
5160
|
1740
|
| Березовка
|
59
|
8
|
0,8
|
0,4
|
4.2. Состояние и охрана поверхностных вод
Рассматриваемый поселок расположен на месте впадения р.Березовка в р. Енисей, ниже по течению краевого центра. Енисей выше по течению зарегулирован плотиной ГЭС, уровень воды никогда не поднимается выше линии берега, где начинается застройка. Высотные отметки крайней линии застройки вдоль берега Енисея составляют 146,0-148,0 м, отметка уреза воды – 130,0 м. Граница застройки проходит на расстоянии 110,0-160,0 м от реки.
Водоохранная зона реки Енисей в соответствие с Водным кодексом РФ, принятым Госдумой 12.04.2006 г., составляет 200 м от уреза воды, в нее попадает жилая капитальная и усадебная застройка, объекты здравоохранения, гаражи.
Воды Енисея на территории Красноярска принимают многочисленные стоки от ливневой канализации и промышленности, прошедшие очистку на локальных очистных сооружениях. Самые крупные загрязнители воды в Красноярске, ЛОС и ПОС, имеют выпуски ниже по течению по отношению к поселку. Большие расходы воды в реке Енисей способствуют тому, что общее загрязнение реки по большинству показателей оказывается в норме. Превышение предельно-допустимых показателей наблюдают, главным образом, по нефтепродуктам, фенолам.
Таблица 4.2.1. Характеристика состояния загрязненности воды в р.Енисей
| Водный объект
|
Пункт контроля
|
Наименование створа
|
Величина УКИЗВ*
|
Класс и раз-ряд
|
Характеристика состояния загрязненности воды
|
| р. Енисей
|
г. Красноярск
|
9 км выше города
|
3,06
|
3 «б»
|
очень загрязненная
|
| 3 км ниже впадения р. Березовка
|
3,47
|
3 «б»
|
очень загрязненная
|
| 1 км ниже г. Сосновоборск
|
3,70
|
3 «б»
|
очень загрязненная
|
Водоохранная зона р. Березовка по «Водному кодексу Российской Федерации» составляет 200 м.
В прежние годы река в половодье разливалась, затапливая ближайшие огороды. После возведения дамбы вдоль правого берега на участке от ул. Дружбы вверх по течению до возвышенного рельефа подобного не происходит. Выше строения расположены на отметке 150,0 м, что превышает на 5,0 м отметку уреза воды.
Расстояние от истока реки до поселка составляет 59 км. В р. Березовку поступают загрязнения от расположенных выше по течению сельских населенных пунктов, пгт Зыково, земледельческих и животноводческих хозяйств. Наблюдений за состоянием воды в реке Красноярским ЦГМС-Р не ведется. Источником хозяйственно-питьевого водоснабжения река не является из-за маловодности, однако в верхнем течении вода реки используется для полива в некоторых садоводческих товариществах, за пределами поселка имеет рекреационное значение, как место отдыха горожан.
В районе пос. Шумково в реку поступают сбросы от локальных очистных сооружений Шумковского карьера ООО «Литос». В устье реки имеются выпуски очищенных стоков «Химволокно», сбросного канала ТЭЦ-1, в котором присутствуют условно-чистые стоки ТЭЦ-1, стоки ЦБК, химкомбината «Енисей», гормолзавода №2, шинного завода, завода СК.
На территории поселка в реку поступает неорганизованный поверхностный сток от жилых и промышленных территорий. В пойме реки распространены огороды, что противоречит статусу водоохраной зоны, в нижнем течении имеются выработки нерудных материалов, которые проектом предлагается рекультивировать под озеленение. Вдоль русла реки Березовка и ручья Безымянного в поселке предполагается создание озелененной зоны отдыха. Благоустройство прибрежной территории, предусмотренное проектом, с устройством ливневой канализации и очистки поверхностного стока прекратит поступление загрязнителей в реку на территории поселка.
Березовский район является одним из лидеров по объемам использования свежей воды на хозяйственно-питьевые нужды среди районов края. Однако и для рассматриваемого района характерен низкий расход воды населением, что объясняется слабым развитием централизованных систем водоснабжения.
По материалам Государственных докладов о состоянии и охране окружающей среды Красноярского края можно проследить динамику изменения объемов водопотребления во всем административном районе, более половины населения которого составляет население районного центра. Заметен резкий спад после 2000 года и затем постепенное нарастание потребления водных ресурсов в районе.
Таблица 4.2.2. Динамика объемов использования на хозяйственно-питьевые нужды свежей воды из природных водных объектов предприятиями Березовского района
| Год
|
Объем использования свежей воды на нужды населения
|
| Всего тыс. м3
|
% к общему использованию по краю
|
На одного жителя, л/чел в сутки
|
| 2000 г.
|
5360
|
0,19
|
387,4
|
| 2001 г. (население)
|
180
|
0,009
|
13,01
|
| 2001 г. (всего)
|
1814
|
0,79
|
131,1
|
| 2002 г.
|
1275
|
0,63
|
92,2
|
| 2003 г.
|
2750
|
1,4
|
183,7
|
| 2004 г.
|
2510
|
1,1
|
182,4
|
| 2007
|
3570
|
0,12
|
257,4
|
| 2008
|
3220
|
227,4
|
Физико-географические условия здесь не очень благоприятны для питания верхних горизонтов подземных вод: плоские водоразделы, сравнительно небольшое количество атмосферных осадков при высоких значениях испарения.
Подземные воды в поселке Березовка эксплуатируются в основном одиночными скважинами, 3 групповыми водозаборами. В поселке в настоящее время дефицит воды. Сеть водопровода холодного водоснабжения не удовлетворяет требованиям водопотребителей.
В настоящее время водоснабжение п. Березовка осуществляется от двух источников. Часть поселка - микрорайоны Шумкова и Ремзавод (западнее реки Березовка) и частная застройка микрорайона ГЭС (восточнее реки Березовка) – снабжается водой от водопровода г.Красноярска.
Другая часть поселка – микрорайон ГЭС западнее частной застройки – снабжается водой от скважинного водозабора, расположенного в Бору. Качество воды скважин не удовлетворяет санитарным требованиям. Обеззараживание воды не производится. Зоны санитарной охраны не выдержаны. В связи с малой пропускной способностью водовода диаметром 100 мм, напор в водопроводной сети недостаточен для водоснабжения пятиэтажной застройки поселка.
В поселке Березовка химический состав воды имеет незначительное отклонение от нормированных требований.
Объем водопотребления из природных источников 2006 году составил 7280 тыс. м3, в том числе из подземных источников 4380 тыс.м3. На производственные нужды использовано 2390 тыс.м3. Объем сброса загрязненных сточных вод за 2006 год составил 40 тыс.м3.
Существующая и проектная схема водоснабжения подробно представлены в соответствующем разделе.
4.3. Воздействие проектируемого объекта на состояние поверхностных и подземных вод
Основными объектами водопотребления являются жилая и общественная застройка, местная промышленность.
Самым крупным водопотребителем среди промышленных предприятий является птицефабрика. Большинство промышленных водопотребителей имеют собственные скважины на территории предприятий.
Источником водоснабжения жилой и общественной застройки на перспективу служат водозаборные сооружения подземных вод: водозаборные скважины, расположенные в Бору, в пойме реки Березовка и западнее микрорайона Шумково, Ремзавод. Вода от скважины подается в резервуары чистой воды и, далее насосной станцией второго подъема по водоводам диаметром 150 мм в разводящую сеть поселка.
Система водоснабжения: централизованная, объединенная хозяйственнопитьевая и противопожарная.
Удельное водопотребление включает расходы воды на хозяйственно-питьевые и бытовые нужды в жилых и общественных зданиях.
Количество воды на нужды местной промышленности, обеспечивающей население продуктами, и неучтенные расходы принимаются дополнительно в размере 15% суммарного расхода воды на хоз-питьевые нужды населенного пункта.
Согласно проектной схеме водоснабжения необходимо запроектировать скважинный водозабор как для микрорайона ГЭС, так и для микрорайона Шумково, Ремзавод.
Проект зон санитарной охраны источников водоснабжения в п.Березовка выполнен ООО «Гидроинформсервис», в настоящее время проект находится на согласовании.
Водоносные горизонты защищенные. Водозаборы подземных вод располагаются вне территории промышленных предприятий и жилой застройки. Граница первого пояса при использовании защищенных подземных вод устанавливается на расстоянии не менее 30 м от водозабора.
Граница второго пояса ЗСО определяется гидродинамическими расчетами, исходя из условий, что микробное загрязнение, поступающее в водоносный пласт за пределами второго пояса, не достигает водозабора.
Территория первого пояса ЗСО должна быть спланирована для отвода поверхностного стока за ее пределы, озеленена, ограждена и обеспечена охраной. Дорожки к сооружениям должны иметь твердое покрытие.
Не допускаются: посадка высокоствольных деревьев, все виды строительства, не имеющие непосредственного отношения к эксплуатации, реконструкции и расширению водопроводных сооружений, в том числе прокладка трубопроводов различного назначения, размещение жилых и хозяйственно-бытовых зданий, проживание людей, применение ядохимикатов и удобрений.
Здания должны быть оборудованы канализацией с отведением сточных вод в ближайшую систему бытовой или производственной канализации или на местные станции очистных сооружений, расположенные за пределами первого пояса ЗСО с учетом санитарного режима на территории второго пояса.
В исключительных случаях при отсутствии канализации должны устраиваться водонепроницаемые приемники нечистот и бытовых отходов, расположенные в местах, исключающих загрязнение территории первого пояса ЗСО при их вывозе.
Водопроводные сооружения, расположенные в первом поясе зоны санитарной охраны, должны быть оборудованы с учетом предотвращения возможности загрязнения питьевой воды через оголовки и устья скважин, люки и переливные трубы резервуаров и устройства заливки насосов.
Мероприятия по второму и третьему поясам:
- Выявление, тампонирование или восстановление всех старых, бездействующих, дефектных или неправильно эксплуатируемых скважин, представляющих опасность в части возможности загрязнения водоносных горизонтов.
- Бурение новых скважин и новое строительство, связанное с нарушением почвенного покрова, производится при обязательном согласовании с центром государственного санитарно-эпидемиологического надзора.
- Запрещение закачки отработанных вод в подземные горизонты, подземного складирования твердых отходов и разработки недр земли.
- Запрещение размещения складов горюче-смазочных материалов, ядохимикатов и минеральных удобрений, накопителей промстоков, шламохранилищ и других объектов, обусловливающих опасность химического загрязнения подземных вод.
- Размещение таких объектов допускается в пределах третьего пояса ЗСО только при использовании защищенных подземных вод, при условии выполнения специальных мероприятий по защите водоносного горизонта от загрязнения при наличии санитарно-эпидемиологического заключения центра государственного санитарно-эпидемиологического надзора, выданного с учетом заключения органов геологического контроля.
- Своевременное выполнение необходимых мероприятий по санитарной охране поверхностных вод, имеющих непосредственную гидрологическую связь с используемым водоносным горизонтом, в соответствии с гигиеническими требованиями к охране поверхностных вод.
Кроме указанных мероприятий в пределах второго пояса ЗСО подземных источников водоснабжения подлежат выполнению следующие дополнительные мероприятия. Не допускается:
- размещение кладбищ, скотомогильников, полей ассенизации, полей фильтрации, навозохранилищ, силосных траншей, животноводческих и птицеводческих предприятий и других объектов, обусловливающих опасность микробного загрязнения подземных вод;
- применение удобрений и ядохимикатов;
- рубка леса главного пользования и реконструкции.
Схема и объемы водоснабжения и водоотведения, организация зон санитарной охраны источников и водоводов подробно описываются в соответствующем разделе.
Таблица
4.3.1.Характеристика водопотребления и водоотведения промышленных объектов
| Водопотребление
|
Водоотведение
|
| Наименование производства, цеха, оборудования
|
Режим водопотребления
|
Количество потребляемой воды (м3
/сут)
|
Особые требования к качеству воды
|
Используемый водный источник
|
Режим водоотведения
|
Количество отводимых сточных вод (м3
/сут)
|
Температура сточных вод, 0
С
|
Загрязняющие вещества в сточных водах, класс опасности
|
Концентрация загрязнений (мг/л)
|
Место отведения сточных вод
|
Примечание
|
| Всего
|
в том числе
|
Всего
|
в том числе
|
| Хозяйственно-питьевой
|
На производственные нужды
|
На очистные сооружения
|
В бытовую канализацию
|
В накопитель промстоков
|
Передано другим организациям
|
| 1
|
2
|
3
|
4
|
5
|
6
|
7
|
8
|
9
|
10
|
11
|
12
|
13
|
14
|
15
|
16
|
17
|
18
|
| ОАО «Аква»
|
1,2
|
0,8
|
0,4
|
-
|
скважина
|
В септик
|
192 м3
/год
0,74 м3
/сут
|
-
|
-
|
-
|
192 м3
/год
0,74 м3
/сут
|
-
|
-
|
-
|
вывоз в сети МП Водоканал
|
| ОАО «РосЦентрПласт»
|
1 смена
|
1,786
|
0,96
|
0,826
|
техническая
|
собств. скважина
|
септик
|
0,96
|
-
|
-
|
0,8
|
-
|
-
|
-
|
-
|
-
|
питьевая вода – привоз.
|
| ООО Торговый дом, Березовская дробильно-сортировочная фабрика
|
3,28
|
3,28
|
-
|
собств. скважина
|
3,0
|
-
|
-
|
-
|
-
|
17-20
|
-
|
-
|
септик
|
| ООО ПФ «Сибирская губерния», отд. Березовское
|
2443,08
|
163,94
|
2279,04
|
2021,19
|
2021,04
|
Часть поселка обеспечена канализацией, стоки собираются в коллектор и направляются на правобережные очистные сооружения «Водоканала». Большинство промышленных предприятий водоотведение производят в накопители (септики), с последующим вывозом в сети «Водоканала».
Общая проектная схема канализации приводится в соответствующем разделе.
Проектом разработана схема вертикальной планировки для высотной привязки планируемой территории к рельефу местности, обеспечивающей отвод поверхностных вод. Вертикальная планировка внутримикрорайонных территорий должна обеспечивать поверхностный водоотвод самотёком в прибордюрные лотки уличной сети с последующим поступлением стоков в закрытые или открытые коллекторы ливневой канализации.
К территории проектируемого посёлка примыкают нагорные территории. Расходы с этих нагорных бассейнов являются транзитными по отношению к застраиваемой территории. Для перехвата и организованного водоотвода ливневых транзитных расходов проектом предусматривается устройство нагорных канав. Нагорные канавы ограждают городские улицы и дороги, а также здания, сооружения и территории от размыва.
В соответствии с рельефом местности, с учётом вертикальной планировки поселковая территория представляет собой четыре водосборных бассейна Б-I, Б-II, Б-III и Б-IV с выпусками в р. Берёзовка и р. Енисей.
В общую площадь водосборного бассейна Б-I входят левобережные и правобережные территории посёлка. Вся сеть ливневой канализации на данных территориях централизована, сброс поверхностных вод намечен в одном месте, на выпуске ливневых стоков предусматривается устройство очистных сооружений закрытого типа.
Площадь водосборного бассейна Б-II включает в себя территории микрорайона Няша и лесопарковой зоны. Сброс ливневых стоков с бассейна Б-II предполагается в р. Енисей с устройством на выпуске очистных сооружений закрытого типа. Выпуск и очистные сооружения расположить за микрорайоном Няша вниз по течению р. Енисей.
В таблице приведены площади водосборных бассейнов, расходы ливневых вод, водоприемник.
Таблица 4.3.2
| Водосборные бассейны
|
Площадь водосборных бассейнов, га
|
Расход ливневых стоков, л/сек.
|
Водоприёмник
|
| Б-I
|
999,81
|
23545,5
|
р. Берёзовка
|
| Б-II
|
1061
|
24986,6
|
р. Енисей
|
| Б-III
|
64,9
|
1528,4
|
р. Енисей
|
| Б-IV
|
15,7
|
369,7
|
р. Берёзовка
|
В связи с удалённостью водосборного бассейна Б-III от возможных водоприёмников ливневых вод, р. Берёзовка и р. Енисей, все поверхностные стоки с территории этого бассейна направляются на ближайшие очистные сооружения поверхностных вод г. Красноярска.
На выпусках ливневой канализации предусматривается устройство очистных сооружений закрытого типа, предназначенных для полной очистки ливневых сточных вод, обезвреживания и утилизации образующегося осадка с подачей очищенных ливневых сточных вод в подрусловые горизонты водоема рыбохозяйственного назначения.
В проекте рассчитаны годовые и суточные объемы ливневых стоков.
- Годовой объем жидких осадков составляет:
W
=946523,8 м3
- Суточный объем жидких осадков составляет:
W
=248815,2 м3
.
Масса выноса загрязняющих веществ определяется :
М = С × 10-6
× Wгод
,
где С – концентрация загрязняющего вещества, мг/л; Wгод
– годовой объем поверхностного стока.
Концентрации загрязнений в поверхностном стоке принимаются по СН 496-77 "Временная инструкция по проектированию сооружений для очистки поверхностных сточных вод" и составляют для районов жилой застройки по взвешенным веществам - 250 мг/л; по нефтепродуктам - 14,0 мг/л.
Таблица 4.3.3
| #G
№
п.п.
|
Характерные зоны в водосборном бассейне
|
Количество загрязнений в поверхностном стоке для расчета очистных сооружений
|
| Взвешенные
вещества, мг/л
|
Эфирорастворимые вещества, мг/л
|
Плавающие мусор,
м /1000 га
|
| дождевые воды
|
талые воды
|
моеч-ные воды
|
дождевые воды
|
талые воды
|
моечные воды
|
дождевые воды
|
талые воды
|
моечные воды
|
| 1
|
Жилые кварталы и микрорайоны
|
250
|
3500
|
200
|
35
|
40
|
75
|
0,1
|
0,3
|
0,1
|
| 2
|
Территории промышленных предприятий и сооружений с повышенным загрязнением, расположенные в населенных пунктах
|
2000
|
4500
|
2000
|
250
|
70
|
150
|
0,2
|
0,3
|
0,2
|
| 3
|
Автомагистрали с интенсивным движением грузового автомобильного транспорта
|
1300
|
2700
|
1300
|
60
|
65
|
100
|
0,2
|
0,3
|
0,2
|
Масса выноса взвешенных веществ:
М = 250 × 10-6
× 946523,8 =236,63 т/год
Масса выноса нефтепродуктов:
М = 14,0 × 10-6
× 946523,8 =13,25 т/год
Таблица 4.3.4
| №
п.п.
|
Вид загрязнений
|
Степень очистки воды в сооружениях закрытого типа, % количества поступающих загрязнений, при расчетном времени отстоя воды 60 мин
|
| 1
|
Взвешенные вещества
|
80
|
| 2
|
Нефтепродукты при содержании, мг/л:
|
| до 50
|
80
|
| до 100
|
80
|
| 3
|
Плавающий мусор
|
100
|
5. МЕРОПРИТИЯ в области обращения с отходами
Сбором и удалением ТБО в поселке занимается ООО «Память». Бытовые отходы от жилой и общественной застройки, а так же от предприятий вывозятся на полигон ТБО, расположенный на месте отработанного гравийного карьера «Сосновый мыс», в 10 км к югу от существующей границы поселка, в 3,5 км от микрорайона Мехколонна.
Перечень разрешительных документов, имеющихся на полигон ТБО «Сосновый мыс»:
- Проект полигона ТБО, утвержденный в соответствии с действующим законодательством.
- Постановление администрации Березовского района Красноярского края от 12.11.1997 г. № 1142 «О расширении полигона коммунально-бытовых отходов»
- Постановление администрации Березовского района Красноярского края от 09.10.2003 г. № 676 «О предоставлении земельного участка в аренду ООО «Память-1» для утилизации твердых бытовых отходов»
- Постановление администрации Березовского района Красноярского края от 22.12.2003 г. № 860 «О внесении изменений в постановление администрации Березовского района от 09.10.2003 г. № 676».
Проектом полигона ТБО установлена требуемая площадь отведения под захоронение отходов 15,0 га, в том числе для I очереди – выработанное пространство карьера площадью 3,8 га. В настоящее время освоено 2,0 га. Для расширения полигона и строительства II очереди требуется отведение еще 13,0 га земель. Необходимо осуществить перевод земель из категории земель сельскохозяйственного назначения в категорию земель промышленности, энергетики, транспорта, связи, радиовещания, телевидения, информатики, космического обеспечения, обороны, безопасности и иного назначения с разрешенным использованием – для утилизации твердых бытовых отходов.
Численность населения поселка по данным Всероссийской переписи населения 2002 года (октябрь) составила 21346 человек. Проектная численность населения поселка принимается:
- на 2010 год – 22000 человек;
- на 2025 год – 23000 человек.
Общее количество твердых бытовых отходов по поселку с учетом общественных зданий (при норме 300 кг на 1 человека с учетом учреждений) составит
на I очередь: 300 × 22000 чел = 6600,0 т/год = 6,6 тыс.т/год.
на расчетный срок: 300 × 23000 чел = 6900,0 т/год = 6,9 тыс.т/год.
Смет с твердых покрытий при норме 0,015 т с 1 м2 твердых покрытий при их общей площади 1491300 м2
составит на расчетный срок
0,015 × 1491300 = 22369,5 т/год » 22,4 тыс.т/год.
Итого общая масса отходов, образующихся за год, составит:
на I очередь: 6,6 тыс.т/год + 22,4 тыс.т/год = 29,0 тыс.т/год .
на расчетный срок: 6,9 тыс.т/год + 22,4 тыс.т/год = 29,3 тыс.т/год.
Таблица 5.1. Необходимое количество машин
| Нормативное
|
Количество
|
| I очередь
|
расчетный срок
|
| Мусоровозы
|
20 на 100 тыс. жителей
|
5
|
5
|
| Уборочные
|
60 на 1 млн. м2
улич. покрытий
|
90
|
90
|
Площадь участка, отводимого под полигон, выбирается, как правило, из условия срока его эксплуатации не менее 15-20 лет. Ориентировочная площадь участка складирования полигона на расчетный срок эксплуатации 15 лет при проектной численности населения 23 тыс. человек и высоте складирования 12 м – 6,5 га.
Промышленные отходы, допустимые к совместному захоронению с бытовыми отходами вывозятся на полигон ТБО.
Для утилизации трупов павших животных (птицы) самое значимое сельскохозяйственное предприятие района ООО «Птицефабрика «Сибирская губерния» имеет собственный объект утилизации отхода.
На территории Березовского района действуют полигоны промышленных отходов, принимающие токсичные отходы, образующиеся на предприятиях и в организациях г.Красноярска и Березовского района:
1. Полигон промотходов ООО «Вторичные ресурсы» – 10 га.
2. Полигон регионального значения по безопасному размещению отходов 1-3 класса опасности «Серебристый», ООО «Зеленый город» – 11,055 га.
3. Свалка промышленных отходов ФГУП Красноярского машиностроительного завода – 10,4 га.
Ртутьсодержащие отходы от организаций п.Березовка передаются на демеркуризацию в ООО «Экоресурс» (г.Красноярск, ул Светлогорская,35). Эта же организация осуществляет по договору термическое уничтожение медицинских и биологических отходов Б, В класса опасности, уничтожение жидких и твердых лекарственных препаратов с истекшим сроком реализации, сжигание биологических отходов (в том числе трупов животных).
Для предотвращения загрязнения окружающей среды отходами необходимо:
- Осуществить перевод земель из категории земель сельскохозяйственного назначения в категорию земель промышленности, энергетики, транспорта, связи, радиовещания, телевидения, информатики, космического обеспечения, обороны, безопасности и иного назначения с разрешенным использованием – для утилизации твердых бытовых отходов для строительства II очереди полигона ТБО «Сосновый мыс».
- Строительство II очереди полигона ТБО «Сосновый мыс».
- Разработка программ по селективному сбору ТБО в сельской местности, садоводческих товариществах, в районах малоэтажной застройки.
- Совершенствование системы сбора и транспортировки ТБО из частного сектора: организация контейнерных площадок с твердым покрытием в поселке, установка мусорных контейнеров, организация централизованного вывоза ТБО, расширение парка спецтехники.
- Организация пункта приема ртутьсодержащих отходов .(отработанных люминесцентных, энергосберегающих ламп) от населения.
- Ликвидация стихийных свалок.
6. Мероприятия по ОХРАНЕ РАСТИТЕЛЬНОСТИ И ЖИВОТНОГО МИРА
В границах черты населенного пункта зеленые насаждения представлены небольшим сквером перед исполкомом и небольшой березовой рощей за микрорайоном Молодежный, которая за последнее время поредела и не имеет ценности. В жилой зоне зеленые насаждения имеются, в основном, в палисадниках малоэтажной жилой застройки, возле общественных зданий, частично, вдоль улиц. Отсутствует озеленение санитарно-защитных зон.
В зоне реки Березовка имеются редкие заросли кустарников.
Генеральным планом предлагается создание системы озеленения, включающей в себя новые скверы, бульвары, парки.
В непосредственной близости от поселка находится сосновый бор, земли которого являются федеральной собственностью. Управление лесным фондом на территории поселка осуществляет КГУ «Красноярское лесничество». На основании Постановления Администрации Березовского района Красноярского края №628 от 07.081996 г, произошла передача лесных земель из ведения Березовской поселковой администрации в ведение Красноярскому лесничеству, площадь передаваемых земель составила 359 га (Березовский бор). За счет чего образовались земли лесного фонда МО п. Березовка – 384 га.
В проектных границах сосновый бор оказывается территориально в пределах населенного пункта п.Березовка. Размещение новой жилой застройки на предлагаемых проектом площадках, рост численности населения увеличит антропогенную нагрузку на лес. С целью предотвращения рекреационной дигрессии необходимо выполнить благоустройство леса.
Особо охраняемых природных территорий в границах муниципального образования нет.
В районе СПК «Березовское» находятся земли запаса площадью 116 га, представлены они, в основном, покрытыми лесом территориями.
Основной задачей объемно – пространной организацией поселка является создания единой системы озелененных пространств во взаимосвязи с характером застройки, рельефом, акваториями Енисея, малыми реками и лесопарками. Река Березовка служит связующим звеном системы зеленых насаждений.
В систему зеленых насаждений поселка входит лесопарк, бульвар на набережной, зеленые насаждения вдоль улиц и дорог, а также зеленые насаждения общественных зданий и детских учреждений. Озеленение в пойме ручья Безымянного генеральным планом трактуется как основная зона отдыха поселка Березовка, где будет осуществляться комплекс оздоровительной работы.
Все зеленые насаждения делятся на насаждения общего пользования, ограниченного пользования и насаждения специального назначения.
Насаждения общего пользования представлены парком культуры и отдыха, набережная рек Енисей и Березовка а также бульвары. Парк, представляющий собой сосновый бор площадью около 344 га, является основной рекреационной зоной. От нее пойдут пешеходные озелененные направления к общественным территориям, к жилой застройке.
Насаждения ограниченного пользования – это территории общеобразовательных школ, дошкольных учреждений и зеленые насаждения общественных учреждений.
Насаждения специального назначения – это зеленые насаждения санитарно защитных зон от промышленно - складских территорий, железной дороги и зеленые насаждения вдоль автомагистралей.
Для повышения эстетических качеств и устойчивости насаждений к неблагоприятным воздействиям необходимо подбирать ассортимент древесных пород в зависимости от функционального назначения насаждений.
В лесопарковой зоне необходимо проведение мероприятий по благоустройству для предотвращения рекреационной дигрессии сосновых насаждений, очень чувствительных к уплотнению почвы и загрязнению среды.
Для создания оптимальных санитарно-гигиенических условий в поселке большое значение имеет правильная организация защитных зон, служащих барьером для распространения производственных выбросов.
Защитное озеленение предотвратит распространение пыли от карьера (открытая разработка) на поселок. Зеленые насаждения с шершавыми, морщинистыми листьями и листьями, покрытыми тончайшими ворсинками задерживают пыль и уменьшают запыленность воздуха. Наибольшей пылезащитной способностью обладает вяз. Хорошо удерживают пыль листья сирени, черемухи, бузины.
На расчетный срок (2025 г.) проектом принимается следующий баланс зеленых насаждений:
1. Насаждения общего пользования - 441,71га
· скверы, бульвары, объекты отдыха - 4,53 га
· лесопарк сосновый бор 344,38 га
2. Насаждения специального назначения - 7,63 га
· озеленение санитарно–защитных зон – 7,63 га
Всего проектируемых насаждений по поселку на расчетный срок – 449,34 га.
7. ПЕРЕЧЕНЬ МЕРОПРИЯТИЙ ПО ОХРАНЕ ОКРУЖАЮЩЕЙ СРЕДЫ
Мероприятия по охране земельных ресурсов:
Вынос Шумковского участка ОАО «Литос» за пределы селитебной территории, в район д. Няша, в связи с его неблагоприятным с экологической точки зрения расположением.
Рекультивация нарушенных земляными и горными работами земель и приведение их в состояние, пригодное для дальнейшего использования.
Рекультивации земель, нарушенных горными работами, под озеленение и под нежилую застройку – гаражи и другие коммунальные объекты.
Для обеспечения возможности извлечения полезных ископаемых согласно требованиям Федерального закона застройку новых площадок необходимо вести с учетом сохранения требуемых санитарно-защитных зон от объекта по добыче полезных ископаемых и с соблюдением очередности строительства.
Застройка северной и восточной частей площадки «Сосновый бор» и соответствующих кварталов юго-восточной площадки допускается при согласовании соответствующих органов по контролю за недропользованием.
Для предотвращения загрязнения и истощения земель необходимо:
- Строительство благоустроенного жилья, обеспечение большей части территории централизованной системой канализации.
- Озеленение территории.
- Создание рациональной системы организации сбора, утилизации и уничтожения твердых и жидких бытовых отходов, особенно в частном жилом секторе.
- Ликвидация несанкционированных свалок. Контроль за сбором и удалением отходов.
- Снижение количества выбросов в воздушный бассейн от промышленности и транспорта.
- Выполнение противоэрозионных мероприятий.
Расположенный в неблагоприятных экологических условиях поселок требует принятия мер по улучшению санитарных условий проживания. Проектом предлагаются в развитие проектных решений следующие предложения:
1. Разработать и осуществить проект рекультивации нарушенных земель в поселке на Шумковском производственном участке ОАО «Литос».
2. Разработать и осуществить проект рекультивации нарушенных земель в восточной промышленно-коммунальной зоне поселка под нежилую застройку.
3. Реконструкция в небольших случаях устаревших, нерентабельных и разорившихся предприятий, и размещения новых, не выше III-V класса вредности, как на реконструируемых, так и свободных территориях.
4. Организация санитарно-защитных зон предприятий с выводом из них жилой и общественной застройки.
5. Организация стационарного поста наблюдения за загрязнением атмосферного воздуха.
6. Запрещение нового жилого строительства в зоне акустического дискомфорта от железной дороги. Выполнение проекта устройства шумозащитного экрана.
7. Строительство объездных дорог для транзитного и грузового транспорта.
8. Разработка проекта общей схемы водоснабжения поселка на перспективу.
9. Разработка и утверждение проектов зон санитарной охраны для существующих и проектируемых водозаборов.
10. Выполнение мероприятий по первому, второму и третьему поясам зон санитарной охраны водозаборов.
11. Создание системы зеленых насаждений, создание зеленого коридора между территориями города Красноярска и проектируемым поселком.
12. Организация сбора и вывоза бытового мусора от населения и организаций.
13. Осуществление мониторинга загрязнения по всем средам: атмосферы, водных объектов, почв.
ПРИЛОЖЕНИЯ








| ЭРА v1.7 Логос-Плюс(ЭРА-УПРЗА+ЭРА-ПДВ)
|
| Параметры выбросов загрязняющих веществ в атмосферу для расч
|
| п. Березовка, Березовка генплан, проектный план
|
| Источники выделения
|
Число
|
Hаименование
|
Чис
|
Hо-
|
Высо
|
Диа-
|
Параметры газовозд.смеси
|
Координаты на карте-сх
|
| Про
|
загрязняющих веществ
|
часов
|
источника выброса
|
ло
|
мер
|
та
|
метр
|
на выходе из ист.выброса
|
| изв
|
Цех
|
рабо-
|
вредных веществ
|
ист
|
ист.
|
источ
|
устья
|
точ.ист,/1конца
|
второго
|
| одс
|
Hаименование
|
Ко-
|
ты
|
выб
|
выб-
|
ника
|
трубы
|
ско-
|
объем на 1
|
тем-
|
линейного источ
|
лин.ист
|
| тво
|
лич
|
в
|
ро-
|
роса
|
выбро
|
рость
|
трубу, м3/с
|
пер.
|
| ист
|
год
|
са
|
са,м
|
м
|
м/с
|
оС
|
Х1
|
Y1
|
Х2
|
| 1
|
2
|
3
|
4
|
5
|
6
|
7
|
8
|
9
|
10
|
11
|
12
|
13
|
14
|
15
|
16
|
| ОАО Аква
|
| 001
|
гараж
|
1
|
2080
|
крышный
|
1
|
0001
|
12
|
0.4
|
5.97
|
0.75
|
18.0
|
-62
|
548
|
| автомобильный
|
вентилятор
|
| 001
|
сварочный пост
|
1
|
1040
|
вентилятор
|
1
|
0002
|
6
|
0.2x0
|
12.5
|
0.5
|
16.0
|
-72
|
543
|
| .2
|
| Таблица 3.3
|
| ета ПДВ
|
22.12.06
|
| еме,м
|
Hаименование
|
Вещества
|
Средняя
|
Код
|
Выбросы загрязняющих веществ
|
Год
|
| газоочистных
|
по котор.
|
эксплуат
|
ве-
|
Hаименование
|
дос-
|
| конца
|
установок
|
производ.
|
степень
|
ще-
|
вещества
|
тиже
|
| очника
|
и мероприятий
|
г-очистка
|
очистки/
|
ства
|
г/с
|
мг/м3
|
т/год
|
ния
|
| по сокращению
|
к-т обесп
|
max.степ
|
ПДВ
|
| Y2
|
выбросов
|
газоо-й %
|
очистки%
|
| 17
|
18
|
19
|
20
|
21
|
22
|
23
|
24
|
25
|
26
|
| 0301
|
Азот (IV) оксид
|
0.00502
|
6.693
|
0.00403715
|
| (Азота диоксид)
|
| 0328
|
Углерод (Сажа)
|
0.000438
|
0.584
|
0.0003066
|
| 0330
|
Сера диоксид
|
0.000726
|
0.968
|
0.00056425
|
| (Ангидрид сернистый)
|
| 0337
|
Углерод оксид
|
0.0613
|
81.733
|
0.050483
|
| 2704
|
Бензин (нефтяной,
|
0.00611
|
8.147
|
0.005422
|
| малосернистый) /в
|
| пересчете на углерод/
|
| 2754
|
Алканы С12-19
|
0.00196
|
2.613
|
0.0015325
|
| (Растворитель
|
| РПК-265П) /в
|
| пересчете на углерод/
|
| 0123
|
диЖелезо триоксид
|
0.002714
|
5.428
|
0.0000977
|
| (Железа оксид) /в
|
| пересчете на железо/
|
| 0143
|
Марганец и его
|
0.000481
|
0.962
|
0.0000173
|
| соединения /в
|
| пересчете на марганца
|
| (IV) оксид/
|
| 0301
|
Азот (IV) оксид
|
0.0833
|
166.600
|
0.001584
|
| (Азота диоксид)
|
| 0342
|
Фтористые
|
0.0001111
|
0.222
|
0.000004
|
ЭРА v1.7 Логос-Плюс(ЭРА-УПРЗА+ЭРА-ПДВ)
|
| Параметры выбросов загрязняющих веществ в атмосферу для расч
|
| п. Березовка, Березовка генплан, проектный план
|
| 1
|
2
|
3
|
4
|
5
|
6
|
7
|
8
|
9
|
10
|
11
|
12
|
13
|
14
|
15
|
16
|
| 001
|
участок ТО и ТР
|
1
|
2080
|
Вентилятор
|
1
|
0003
|
5
|
0.3
|
11.78
|
0.833
|
18.0
|
-72
|
560
|
| 001
|
мойка деталей
|
1
|
2080
|
осевой вентилятор
|
1
|
0004
|
5
|
0.4
|
3.98
|
0.5
|
16.0
|
-49
|
562
|
| ООО РосЦентрПласт
|
| 002
|
труба котельной
|
1
|
5808
|
труба котельной
|
1
|
0005
|
10
|
0.25
|
16.1
|
0.7903088
|
80.0
|
-37
|
1435
|
Таблица 3.3
|
| ета ПДВ
|
22.12.06
|
| 17
|
18
|
19
|
20
|
21
|
22
|
23
|
24
|
25
|
26
|
| газообразные
|
| соединения
|
| (гидрофторид, кремний
|
| тетрафторид)
|
| (Фтористые соединения
|
| газообразные
|
| (фтористый водород,
|
| четырехфтористый
|
| кремний)) /в
|
| пересчете на фтор/
|
| 0301
|
Азот (IV) оксид
|
0.00043316
|
0.520
|
0.000052249
|
| (Азота диоксид)
|
| 0328
|
Углерод (Сажа)
|
0.00001361
|
0.016
|
0.000001637
|
| 0330
|
Сера диоксид
|
0.00005647
|
0.068
|
0.0000068079
|
| (Ангидрид сернистый)
|
| 0337
|
Углерод оксид
|
0.010048
|
12.062
|
0.0011848
|
| 2704
|
Бензин (нефтяной,
|
0.0011103
|
1.333
|
0.000129231
|
| малосернистый) /в
|
| пересчете на углерод/
|
| 2754
|
Алканы С12-19
|
0.0001496
|
0.180
|
0.00001877
|
| (Растворитель
|
| РПК-265П) /в
|
| пересчете на углерод/
|
| 2732
|
Керосин
|
0.26
|
520.000
|
0.374
|
| 0301
|
Азот (IV) оксид
|
0.081
|
102.492
|
1.6936128
|
| (Азота диоксид)
|
| 0330
|
Сера диоксид
|
0.108
|
136.655
|
2.2581504
|
| (Ангидрид сернистый)
|
ЭРА v1.7 Логос-Плюс(ЭРА-УПРЗА+ЭРА-ПДВ)
|
| Параметры выбросов загрязняющих веществ в атмосферу для расч
|
| п. Березовка, Березовка генплан, проектный план
|
| 1
|
2
|
3
|
4
|
5
|
6
|
7
|
8
|
9
|
10
|
11
|
12
|
13
|
14
|
15
|
16
|
| 002
|
цех, отделение
|
1
|
2080
|
цех, отделение
|
1
|
0007
|
11
|
0.4
|
15.9
|
1.9980576
|
17.0
|
-191
|
1340
|
| расходных
|
расходных
|
| емкостей
|
емкостей
|
| 002
|
цех, отделение
|
1
|
2080
|
цех, отделение
|
1
|
0008
|
12
|
0.8
|
18.2
|
9.1483392
|
17.0
|
-188
|
1340
|
| разогрева бочек
|
разогрева бочек
|
| 002
|
цех, отделение
|
1
|
2080
|
цех, отделение
|
1
|
0009
|
12
|
0.8
|
18.2
|
9.1483392
|
17.0
|
-190
|
1311
|
| вспенивания
|
вспенивания
|
| 002
|
цех, отделение
|
1
|
2080
|
цех, отделение
|
1
|
0010
|
12
|
1
|
11.8
|
9.26772
|
17.0
|
-210
|
1319
|
| вызревания
|
вызревания
|
| 002
|
цех, отделение
|
1
|
2080
|
цех, отделение
|
1
|
0011
|
12
|
1
|
11.8
|
9.26772
|
17.0
|
-212
|
1342
|
| резки, скрутки
|
резки, скрутки
|
| 002
|
цех, химическая
|
1
|
2080
|
цех, химическая
|
1
|
0012
|
12.5
|
0.56
|
9.5
|
2.3398637
|
17.0
|
-188
|
1386
|
| лаборатория
|
лаборатория
|
Таблица 3.3
|
| ета ПДВ
|
22.12.06
|
| 17
|
18
|
19
|
20
|
21
|
22
|
23
|
24
|
25
|
26
|
| 0337
|
Углерод оксид
|
0.856
|
1083.121
|
17.8979328
|
| 2908
|
Пыль неорганическая:
|
0.4386
|
554.973
|
9.17059968
|
| 70-20% двуокиси
|
| кремния (шамот,
|
| цемент, пыль
|
| цементного
|
| производства - глина,
|
| глинистый сланец,
|
| доменный шлак, песок,
|
| клинкер, зола
|
| кремнезем и др.)
|
| 2031
|
Диизоцианатметилбензо
|
0.00006
|
0.030
|
0.000035
|
| л
|
| 2031
|
Диизоцианатметилбензо
|
0.00105
|
0.115
|
0.00035
|
| л
|
| 2031
|
Диизоцианатметилбензо
|
0.0013
|
0.142
|
0.003
|
| л
|
| 2031
|
Диизоцианатметилбензо
|
0.0022
|
0.237
|
0.012
|
| л
|
| 2902
|
Взвешенные вещества
|
0.0022
|
0.237
|
0.012
|
| 1061
|
Этанол (Спирт
|
0.00001
|
0.004
|
0.000018
|
| этиловый)
|
| 1401
|
Пропан-2-он (Ацетон)
|
0.00002
|
0.009
|
0.000036
|
| 2031
|
Диизоцианатметилбензо
|
0.00001
|
0.004
|
0.000018
|
| л
|
ЭРА v1.7 Логос-Плюс(ЭРА-УПРЗА+ЭРА-ПДВ)
|
| Параметры выбросов загрязняющих веществ в атмосферу для расч
|
| п. Березовка, Березовка генплан, проектный план
|
| 1
|
2
|
3
|
4
|
5
|
6
|
7
|
8
|
9
|
10
|
11
|
12
|
13
|
14
|
15
|
16
|
| ООО Литос, Березовский цех
|
| 005
|
Энергетическое
|
1
|
720
|
труба
|
1
|
0014
|
40
|
0.5
|
8
|
1.5708
|
70.0
|
4185
|
5015
|
| пр-во, труба
|
| 005
|
Ремонтное
|
1
|
160
|
кузн горн, труба
|
1
|
0015
|
8
|
0.4
|
4
|
0.502656
|
75.0
|
4192
|
4975
|
| обслуж.,
|
| кузнечный горн
|
Таблица 3.3
|
| ета ПДВ
|
22.12.06
|
| 17
|
18
|
19
|
20
|
21
|
22
|
23
|
24
|
25
|
26
|
| 0301
|
Азот (IV) оксид
|
0.092
|
58.569
|
0.234
|
| (Азота диоксид)
|
| 0330
|
Сера диоксид
|
0.186
|
118.411
|
0.48
|
| (Ангидрид сернистый)
|
| 0337
|
Углерод оксид
|
0.917
|
583.779
|
2.325
|
| 0703
|
Бенз(а)пирен
|
0.0000007
|
0.0004
|
0.000002
|
| (3,4-Бензпирен)
|
| 2908
|
Пыль неорганическая:
|
2.028
|
1291.062
|
5.232
|
| 70-20% двуокиси
|
| кремния (шамот,
|
| цемент, пыль
|
| цементного
|
| производства - глина,
|
| глинистый сланец,
|
| доменный шлак, песок,
|
| клинкер, зола
|
| кремнезем и др.)
|
| 0301
|
Азот (IV) оксид
|
0.0007
|
1.393
|
0.0004
|
| (Азота диоксид)
|
| 0330
|
Сера диоксид
|
0.007
|
13.926
|
0.004
|
| (Ангидрид сернистый)
|
| 0337
|
Углерод оксид
|
0.012
|
23.873
|
0.007
|
| 2908
|
Пыль неорганическая:
|
0.021
|
41.778
|
0.012
|
| 70-20% двуокиси
|
| кремния (шамот,
|
| цемент, пыль
|
| цементного
|
| производства - глина,
|
| глинистый сланец,
|
| доменный шлак, песок,
|
| клинкер, зола
|
ЭРА v1.7 Логос-Плюс(ЭРА-УПРЗА+ЭРА-ПДВ)
|
| Параметры выбросов загрязняющих веществ в атмосферу для расч
|
| п. Березовка, Березовка генплан, проектный план
|
| 1
|
2
|
3
|
4
|
5
|
6
|
7
|
8
|
9
|
10
|
11
|
12
|
13
|
14
|
15
|
16
|
| 005
|
АТ, резервуар
|
1
|
2048
|
вент окно
|
1
|
0016
|
0.7x0
|
0.1
|
0.021
|
4155
|
4930
|
| подзем
|
.3
|
| горизонтальный
|
| 005
|
АТ, резервуар
|
1
|
2048
|
вент окно
|
1
|
0017
|
0.7x0
|
0.1
|
0.021
|
4160
|
4925
|
| подзем
|
.3
|
| горизонтальный
|
| ООО Литос, Шумковский цех
|
| 004
|
резервуар
|
1
|
2048
|
дыхательный
|
1
|
0027
|
0.5x0
|
0.1
|
0.025
|
412
|
2816
|
| подземный
|
клапан
|
.5
|
| ООО ПФ Сибирская губерния
|
| 003
|
АТХ, зарядное
|
1
|
1500
|
труба
|
1
|
0040
|
2
|
0.4
|
5.49
|
0.6898954
|
18.0
|
4094
|
2060
|
Таблица 3.3
|
| ета ПДВ
|
22.12.06
|
| 17
|
18
|
19
|
20
|
21
|
22
|
23
|
24
|
25
|
26
|
| кремнезем и др.)
|
| 0405
|
Пентан
|
1.2
|
57142.857
|
0.03
|
| 0501
|
Пентилены (амилены -
|
0.032
|
1523.810
|
0.0008
|
| смесь изомеров)
|
| 0602
|
Бензол
|
0.026
|
1238.095
|
0.0006
|
| 0616
|
Диметилбензол
|
0.002
|
95.238
|
0.00005
|
| (Ксилол) (смесь о-,
|
| м-, п- изомеров)
|
| 0621
|
Метилбензол (Толуол)
|
0.019
|
904.762
|
0.0005
|
| 0627
|
Этилбензол
|
0.0006
|
28.571
|
0.00002
|
| 0333
|
Дигидросульфид
|
0.000011
|
0.524
|
0.00003
|
| (Сероводород)
|
| 0602
|
Бензол
|
0.000006
|
0.286
|
0.00002
|
| 2754
|
Алканы С12-19
|
0.00398
|
189.524
|
0.01095
|
| (Растворитель
|
| РПК-265П) /в
|
| пересчете на углерод/
|
| 0333
|
Дигидросульфид
|
0.000011
|
0.440
|
0.000014
|
| (Сероводород)
|
| 0602
|
Бензол
|
0.000006
|
0.240
|
0.000007
|
| 2754
|
Алканы С12-19
|
0.00398
|
159.200
|
0.0049
|
| (Растворитель
|
| РПК-265П) /в
|
| пересчете на углерод/
|
| 0322
|
Кислота серная
|
0.0000095
|
0.014
|
0.000000684
|
ЭРА v1.7 Логос-Плюс(ЭРА-УПРЗА+ЭРА-ПДВ)
|
| Параметры выбросов загрязняющих веществ в атмосферу для расч
|
| п. Березовка, Березовка генплан, проектный план
|
| 1
|
2
|
3
|
4
|
5
|
6
|
7
|
8
|
9
|
10
|
11
|
12
|
13
|
14
|
15
|
16
|
| устройство
|
| 003
|
Котлоагрегат
|
1
|
1968
|
труба
|
1
|
0041
|
30
|
0.8
|
17.64
|
8.8668518
|
99.0
|
4156
|
2036
|
| ДКВР 6,5/13
|
| 003
|
Котлоагрегат
|
1
|
5808
|
труба
|
1
|
0042
|
30
|
1.2
|
14.29
|
16.161647
|
110.0
|
4160
|
2036
|
| ДКВР 10/13
|
Таблица 3.3
|
| ета ПДВ
|
22.12.06
|
| 17
|
18
|
19
|
20
|
21
|
22
|
23
|
24
|
25
|
26
|
| 0301
|
Азот (IV) оксид
|
2.67
|
301.122
|
3.41
|
| (Азота диоксид)
|
| 0304
|
Азот (II) оксид
|
0.4336
|
48.901
|
0.554
|
| (Азота оксид)
|
| 0330
|
Сера диоксид
|
1.77
|
199.620
|
3.18
|
| (Ангидрид сернистый)
|
| 0337
|
Углерод оксид
|
0.698
|
78.720
|
1.243
|
| 0703
|
Бенз(а)пирен
|
0.00002877
|
0.003
|
0.0000512
|
| (3,4-Бензпирен)
|
| 2908
|
Пыль неорганическая:
|
5.89
|
664.272
|
10.49
|
| 70-20% двуокиси
|
| кремния (шамот,
|
| цемент, пыль
|
| цементного
|
| производства - глина,
|
| глинистый сланец,
|
| доменный шлак, песок,
|
| клинкер, зола
|
| кремнезем и др.)
|
| 0301
|
Азот (IV) оксид
|
2.63
|
162.731
|
47.3
|
| (Азота диоксид)
|
| 0304
|
Азот (II) оксид
|
0.428
|
26.482
|
7.68
|
| (Азота оксид)
|
| 0330
|
Сера диоксид
|
1.77
|
109.519
|
32.38
|
| (Ангидрид сернистый)
|
| 0337
|
Углерод оксид
|
0.691
|
42.756
|
12.66
|
| 0703
|
Бенз(а)пирен
|
0.00002277
|
0.001
|
0.000418
|
| (3,4-Бензпирен)
|
| 2908
|
Пыль неорганическая:
|
5.93
|
366.918
|
108.8
|
| 70-20% двуокиси
|
| кремния (шамот,
|
ЭРА v1.7 Логос-Плюс(ЭРА-УПРЗА+ЭРА-ПДВ)
|
| Параметры выбросов загрязняющих веществ в атмосферу для расч
|
| п. Березовка, Березовка генплан, проектный план
|
| 1
|
2
|
3
|
4
|
5
|
6
|
7
|
8
|
9
|
10
|
11
|
12
|
13
|
14
|
15
|
16
|
| 003
|
Угледробилка
|
1
|
1186
|
труба
|
1
|
0043
|
1.5
|
0.4x0
|
3.13
|
0.5008
|
10.0
|
4122
|
2020
|
| .4
|
| 003
|
Цех утилизации,
|
1
|
1250
|
осевой вентилятор
|
1
|
0044
|
4
|
0.7
|
7.22
|
2.7785881
|
25.0
|
4326
|
2040
|
| котлы
|
| -утилихаторы
|
Таблица 3.3
|
| ета ПДВ
|
22.12.06
|
| 17
|
18
|
19
|
20
|
21
|
22
|
23
|
24
|
25
|
26
|
| цемент, пыль
|
| цементного
|
| производства - глина,
|
| глинистый сланец,
|
| доменный шлак, песок,
|
| клинкер, зола
|
| кремнезем и др.)
|
| 2909
|
Пыль неорганическая:
|
0.135
|
269.569
|
1.835
|
| ниже 20% двуокиси
|
| кремния (доломит,
|
| пыль цементного
|
| производства -
|
| известняк, мел,
|
| огарки, сырьевая
|
| смесь, пыль
|
| вращающихся печей,
|
| боксит и др.)
|
| 0303
|
Аммиак
|
0.0006
|
0.216
|
0.0075
|
| 0333
|
Дигидросульфид
|
0.0001
|
0.036
|
0.0012
|
| (Сероводород)
|
| 1039
|
Пентан-1-ол (Спирт
|
0.000053
|
0.019
|
0.0006
|
| амиловый)
|
| 1071
|
Гидроксибензол
|
0.00005
|
0.018
|
0.0006
|
| (Фенол)
|
| 1314
|
Пропиональдегид
|
0.0003
|
0.108
|
0.0034
|
| (Альдегид
|
| пропионовый;
|
| Пропаналь;
|
| Метилуксусный
|
| альдегид)
|
| 1401
|
Пропан-2-он (Ацетон)
|
0.00027
|
0.097
|
0.003
|
| 1519
|
Пентановая кислота
|
0.00034
|
0.122
|
0.0039
|
ЭРА v1.7 Логос-Плюс(ЭРА-УПРЗА+ЭРА-ПДВ)
|
| Параметры выбросов загрязняющих веществ в атмосферу для расч
|
| п. Березовка, Березовка генплан, проектный план
|
| 1
|
2
|
3
|
4
|
5
|
6
|
7
|
8
|
9
|
10
|
11
|
12
|
13
|
14
|
15
|
16
|
| 003
|
Цех копчения,
|
1
|
500
|
вентилятор
|
1
|
0045
|
6
|
0.4
|
1.46
|
0.1834694
|
25.0
|
4300
|
2026
|
| дымогенератор
|
| 003
|
Птичник №1а
|
1
|
6000
|
осевой вентилятор
|
1
|
0046
|
2
|
1.4x6
|
5.67
|
50
|
24.0
|
4210
|
1970
|
4228
|
| .3
|
Таблица 3.3
|
| ета
|
22.12.06
|
| 17
|
18
|
19
|
20
|
21
|
22
|
23
|
24
|
25
|
26
|
| (Кислота
|
| валериановая)
|
| 1707
|
Диметилсульфид
|
0.00009
|
0.032
|
0.00105
|
| 1715
|
Метантиол
|
0.000005
|
0.002
|
0.00006
|
| (Метилмеркаптан)
|
| 1819
|
Диметиламин
|
0.00008
|
0.029
|
0.0009
|
| 0301
|
Азот (IV) оксид
|
0.002
|
10.901
|
0.0036
|
| (Азота диоксид)
|
| 0303
|
Аммиак
|
0.0002
|
1.090
|
0.00036
|
| 0330
|
Сера диоксид
|
0.0006
|
3.270
|
0.00108
|
| (Ангидрид сернистый)
|
| 0337
|
Углерод оксид
|
0.016
|
87.208
|
0.0288
|
| 1071
|
Гидроксибензол
|
0.0054
|
29.433
|
0.00972
|
| (Фенол)
|
| 1314
|
Пропиональдегид
|
0.004
|
21.802
|
0.0072
|
| (Альдегид
|
| пропионовый;
|
| Пропаналь;
|
| Метилуксусный
|
| альдегид)
|
| 2908
|
Пыль неорганическая:
|
0.004
|
21.802
|
0.0072
|
| 70-20% двуокиси
|
| кремния (шамот,
|
| цемент, пыль
|
| цементного
|
| производства - глина,
|
| глинистый сланец,
|
| доменный шлак, песок,
|
| клинкер, зола
|
| кремнезем и др.)
|
| 1970
|
0303
|
Аммиак
|
0.00327
|
0.065
|
0.0707
|
ЭРА v1.7 Логос-Плюс(ЭРА-УПРЗА+ЭРА-ПДВ)
|
| Параметры выбросов загрязняющих веществ в атмосферу для расч
|
| п. Березовка, Березовка генплан, проектный план
|
| 1
|
2
|
3
|
4
|
5
|
6
|
7
|
8
|
9
|
10
|
11
|
12
|
13
|
14
|
15
|
16
|
| 003
|
Птичник №1б
|
1
|
6000
|
осевой вентилятор
|
1
|
0047
|
2
|
1.4x6
|
5.67
|
50
|
24.0
|
4210
|
1888
|
4228
|
| .3
|
| 003
|
Птичник №4
|
1
|
5640
|
осевой вентилятор
|
1
|
0048
|
1.5
|
0.7x7
|
5.67
|
27.78
|
18.0
|
4324
|
1964
|
4324
|
| 003
|
Птичник №5
|
1
|
5640
|
осевой вентилятор
|
1
|
0049
|
1.5
|
0.7x7
|
5.67
|
27.78
|
18.0
|
4360
|
1964
|
4360
|
| 003
|
Птичник №6
|
1
|
5520
|
осевой вентилятор
|
1
|
0050
|
1.5
|
0.7x7
|
5.67
|
27.78
|
18.0
|
4400
|
1964
|
4400
|
| 003
|
Птичник №7
|
1
|
3960
|
осевой вентилятор
|
1
|
0051
|
1.5
|
0.7x7
|
5.67
|
27.78
|
18.0
|
4440
|
1964
|
4440
|
| 003
|
Птичник №8
|
1
|
5112
|
осевой вентилятор
|
1
|
0052
|
1.5
|
0.7x7
|
5.67
|
27.78
|
18.0
|
4480
|
1964
|
4480
|
Таблица 3.3
|
| ета ПДВ
|
22.12.06
|
| 17
|
18
|
19
|
20
|
21
|
22
|
23
|
24
|
25
|
26
|
| 0333
|
Дигидросульфид
|
0.001018
|
0.020
|
0.022
|
| (Сероводород)
|
| 0337
|
Углерод оксид
|
0.00000917
|
0.0002
|
0.000198
|
| 1888
|
0303
|
Аммиак
|
0.00327
|
0.065
|
0.0707
|
| 0333
|
Дигидросульфид
|
0.001018
|
0.020
|
0.02198
|
| (Сероводород)
|
| 0337
|
Углерод оксид
|
0.00000917
|
0.0002
|
0.000198
|
| 1894
|
0303
|
Аммиак
|
0.003625
|
0.130
|
0.736
|
| 0333
|
Дигидросульфид
|
0.00719
|
0.259
|
0.146
|
| (Сероводород)
|
| 0337
|
Углерод оксид
|
0.00357
|
0.129
|
0.0725
|
| 1894
|
0303
|
Аммиак
|
0.00345
|
0.124
|
0.7
|
| 0333
|
Дигидросульфид
|
0.00688
|
0.248
|
0.1397
|
| (Сероводород)
|
| 0337
|
Углерод оксид
|
0.003364
|
0.121
|
0.0683
|
| 1894
|
0303
|
Аммиак
|
0.00341
|
0.123
|
0.677
|
| 0333
|
Дигидросульфид
|
0.0068
|
0.245
|
0.1352
|
| (Сероводород)
|
| 0337
|
Углерод оксид
|
0.003315
|
0.119
|
0.0659
|
| 1894
|
0303
|
Аммиак
|
0.00342
|
0.123
|
0.488
|
| 0333
|
Дигидросульфид
|
0.00683
|
0.246
|
0.0973
|
| (Сероводород)
|
| 0337
|
Углерод оксид
|
0.00333
|
0.120
|
0.0475
|
| 1894
|
0303
|
Аммиак
|
0.00353
|
0.127
|
0.65
|
| 0333
|
Дигидросульфид
|
0.00702
|
0.253
|
0.1292
|
| (Сероводород)
|
| 0337
|
Углерод оксид
|
0.003456
|
0.124
|
0.0636
|
ЭРА v1.7 Логос-Плюс(ЭРА-УПРЗА+ЭРА-ПДВ)
|
| Параметры выбросов загрязняющих веществ в атмосферу для расч
|
| п. Березовка, Березовка генплан, проектный план
|
| 1
|
2
|
3
|
4
|
5
|
6
|
7
|
8
|
9
|
10
|
11
|
12
|
13
|
14
|
15
|
16
|
| 003
|
Птичник №9а
|
1
|
6000
|
осевой вентилятор
|
1
|
0053
|
1.5
|
0.7x7
|
5.67
|
27.78
|
18.0
|
4518
|
1990
|
4534
|
| 003
|
Птичник №9б
|
1
|
6000
|
осевой вентилятор
|
1
|
0054
|
2
|
1.4x6
|
5.67
|
50
|
26.0
|
4518
|
1890
|
4534
|
| .3
|
| 003
|
Птичник №10а
|
1
|
6168
|
осевой вентилятор
|
1
|
0055
|
2
|
1.4x6
|
5.67
|
50
|
26.0
|
4560
|
1990
|
4576
|
| .3
|
| 003
|
Птичник №10б
|
1
|
6168
|
осевой вентилятор
|
1
|
0056
|
2
|
1.4x6
|
5.67
|
50
|
26.0
|
4560
|
1890
|
4576
|
| .3
|
| 003
|
Птичник №12а
|
1
|
6000
|
осевой вентилятор
|
1
|
0057
|
2
|
1.4x6
|
5.67
|
50
|
22.0
|
4470
|
2086
|
4470
|
| .3
|
| 003
|
Птичник №12б
|
1
|
6000
|
осевой вентилятор
|
1
|
0058
|
2
|
1.4x6
|
5.67
|
50
|
22.0
|
4574
|
2086
|
4574
|
| .3
|
Таблица 3.3
|
| ета ПДВ
|
22.12.06
|
| 17
|
18
|
19
|
20
|
21
|
22
|
23
|
24
|
25
|
26
|
| 1990
|
0303
|
Аммиак
|
0.001492
|
0.054
|
0.0298
|
| 0333
|
Дигидросульфид
|
0.000463
|
0.017
|
0.0093
|
| (Сероводород)
|
| 0337
|
Углерод оксид
|
0.00000489
|
0.0002
|
0.0000978
|
| 1890
|
0303
|
Аммиак
|
0.00149
|
0.030
|
0.0322
|
| 0333
|
Дигидросульфид
|
0.000463
|
0.009
|
0.01
|
| (Сероводород)
|
| 0337
|
Углерод оксид
|
0.00000489
|
0.00010
|
0.0001056
|
| 1990
|
0303
|
Аммиак
|
0.001492
|
0.030
|
0.0331
|
| 0333
|
Дигидросульфид
|
0.000463
|
0.009
|
0.0103
|
| (Сероводород)
|
| 0337
|
Углерод оксид
|
0.00000489
|
0.00010
|
0.0001086
|
| 1890
|
0303
|
Аммиак
|
0.001492
|
0.030
|
0.0331
|
| 0333
|
Дигидросульфид
|
0.000463
|
0.009
|
0.01029
|
| (Сероводород)
|
| 0337
|
Углерод оксид
|
0.00000489
|
0.00010
|
0.0001086
|
| 2102
|
0303
|
Аммиак
|
0.001498
|
0.030
|
0.03236
|
| 0333
|
Дигидросульфид
|
0.000468
|
0.009
|
0.0101
|
| (Сероводород)
|
| 0337
|
Углерод оксид
|
0.00000733
|
0.0001
|
0.0001584
|
| 2102
|
0303
|
Аммиак
|
0.001498
|
0.030
|
0.03236
|
| 0333
|
Дигидросульфид
|
0.000468
|
0.009
|
0.01011
|
| (Сероводород)
|
ЭРА v1.7 Логос-Плюс(ЭРА-УПРЗА+ЭРА-ПДВ)
|
| Параметры выбросов загрязняющих веществ в атмосферу для расч
|
| п. Березовка, Березовка генплан, проектный план
|
| 1
|
2
|
3
|
4
|
5
|
6
|
7
|
8
|
9
|
10
|
11
|
12
|
13
|
14
|
15
|
16
|
| 003
|
Птичник №11а
|
1
|
6144
|
осевой вентилятор
|
1
|
0059
|
2
|
1.4x6
|
5.67
|
50
|
26.0
|
4470
|
2050
|
4470
|
| .3
|
| 003
|
Птичник №11б
|
1
|
6144
|
осевой вентилятор
|
1
|
0060
|
2
|
1.4x6
|
5.67
|
50
|
26.0
|
4574
|
2050
|
4574
|
| .3
|
| 003
|
Птичник №29
|
1
|
4152
|
осевой вентилятор
|
1
|
0061
|
1.5
|
0.7x7
|
5.67
|
27.78
|
18.0
|
3850
|
1960
|
3850
|
| 003
|
Птичник №30
|
1
|
5280
|
осевой вентилятор
|
1
|
0062
|
1.5
|
0.7x7
|
5.67
|
27.78
|
18.0
|
3894
|
1960
|
3894
|
| 003
|
Птичник №31 (1)
|
1
|
6000
|
осевой вентилятор
|
1
|
0063
|
2
|
1.4x6
|
5.67
|
50
|
22.0
|
3934
|
1980
|
3960
|
| .3
|
| 003
|
Птичник №31 (2)
|
1
|
6000
|
осевой вентилятор
|
1
|
0064
|
2
|
1.4x6
|
5.67
|
50
|
22.0
|
3974
|
1980
|
4000
|
| .3
|
Таблица 3.3
|
| ета ПДВ
|
22.12.06
|
| 17
|
18
|
19
|
20
|
21
|
22
|
23
|
24
|
25
|
26
|
| 0337
|
Углерод оксид
|
0.00000733
|
0.0001
|
0.0001584
|
| 2102
|
0303
|
Аммиак
|
0.001492
|
0.030
|
0.033
|
| 0333
|
Дигидросульфид
|
0.000463
|
0.009
|
0.01025
|
| (Сероводород)
|
| 0337
|
Углерод оксид
|
0.00000489
|
0.00010
|
0.000108
|
| 2102
|
0303
|
Аммиак
|
0.001492
|
0.030
|
0.033
|
| 0333
|
Дигидросульфид
|
0.000463
|
0.009
|
0.01025
|
| (Сероводород)
|
| 0337
|
Углерод оксид
|
0.00000489
|
0.00010
|
0.0001081
|
| 1892
|
0303
|
Аммиак
|
0.033
|
1.188
|
0.493
|
| 0333
|
Дигидросульфид
|
0.00661
|
0.238
|
0.0988
|
| (Сероводород)
|
| 0337
|
Углерод оксид
|
0.003185
|
0.115
|
0.0476
|
| 1896
|
0303
|
Аммиак
|
0.0303
|
1.091
|
0.576
|
| 0333
|
Дигидросульфид
|
0.00614
|
0.221
|
0.1167
|
| (Сероводород)
|
| 0337
|
Углерод оксид
|
0.00287
|
0.103
|
0.0545
|
| 1980
|
0303
|
Аммиак
|
0.001498
|
0.030
|
0.03236
|
| 0333
|
Дигидросульфид
|
0.000468
|
0.009
|
0.01011
|
| (Сероводород)
|
| 0337
|
Углерод оксид
|
0.00000733
|
0.0001
|
0.0001584
|
| 1980
|
0303
|
Аммиак
|
0.001498
|
0.030
|
0.03236
|
| 0333
|
Дигидросульфид
|
0.000468
|
0.009
|
0.01011
|
| (Сероводород)
|
ЭРА v1.7 Логос-Плюс(ЭРА-УПРЗА+ЭРА-ПДВ)
|
| Параметры выбросов загрязняющих веществ в атмосферу для расч
|
| п. Березовка, Березовка генплан, проектный план
|
| 1
|
2
|
3
|
4
|
5
|
6
|
7
|
8
|
9
|
10
|
11
|
12
|
13
|
14
|
15
|
16
|
| 003
|
Птичник №25 (1)
|
1
|
6000
|
осевой вентилятор
|
1
|
0065
|
2
|
1.4x6
|
5.67
|
50
|
22.0
|
3974
|
1860
|
4000
|
| .3
|
| 003
|
Птичник №25 (2)
|
1
|
6000
|
осевой вентилятор
|
1
|
0066
|
2
|
1.4x6
|
5.67
|
50
|
22.0
|
3974
|
1764
|
4000
|
| .3
|
| 003
|
Птичник №23
|
1
|
5376
|
осевой вентилятор
|
1
|
0067
|
1.5
|
0.7x7
|
5.67
|
27.78
|
18.0
|
4124
|
1856
|
4124
|
| 003
|
Птичник №20а на
|
1
|
1200
|
осевой вентилятор
|
1
|
0068
|
2
|
1.4x6
|
5.67
|
50
|
18.0
|
4250
|
1860
|
4264
|
| убой
|
.3
|
Таблица 3.3
|
| ета ПДВ
|
22.12.06
|
| 17
|
18
|
19
|
20
|
21
|
22
|
23
|
24
|
25
|
26
|
| 0337
|
Углерод оксид
|
0.00000733
|
0.0001
|
0.0001584
|
| 1860
|
0303
|
Аммиак
|
0.001498
|
0.030
|
0.03236
|
| 0333
|
Дигидросульфид
|
0.000468
|
0.009
|
0.0101
|
| (Сероводород)
|
| 0337
|
Углерод оксид
|
0.00000733
|
0.0001
|
0.0001584
|
| 1764
|
0303
|
Аммиак
|
0.001498
|
0.030
|
0.03236
|
| 0333
|
Дигидросульфид
|
0.000468
|
0.009
|
0.0101
|
| (Сероводород)
|
| 0337
|
Углерод оксид
|
0.00000733
|
0.0001
|
0.0001584
|
| 1772
|
0303
|
Аммиак
|
0.00513
|
0.185
|
0.993
|
| 0333
|
Дигидросульфид
|
0.0116
|
0.418
|
0.2247
|
| (Сероводород)
|
| 0337
|
Углерод оксид
|
0.00383
|
0.138
|
0.0741
|
| 1860
|
0303
|
Аммиак
|
0.004086
|
0.082
|
0.01765
|
| 0333
|
Дигидросульфид
|
0.001124
|
0.022
|
0.00486
|
| (Сероводород)
|
| 1071
|
Гидроксибензол
|
0.0001021
|
0.002
|
0.000441
|
| (Фенол)
|
| 1314
|
Пропиональдегид
|
0.000562
|
0.011
|
0.00243
|
| (Альдегид
|
| пропионовый;
|
| Пропаналь;
|
| Метилуксусный
|
| альдегид)
|
| 1531
|
Гексановая кислота
|
0.000638
|
0.013
|
0.002756
|
| (Кислота капроновая)
|
| 1707
|
Диметилсульфид
|
0.00097
|
0.019
|
0.00419
|
ЭРА v1.7 Логос-Плюс(ЭРА-УПРЗА+ЭРА-ПДВ)
|
| Параметры выбросов загрязняющих веществ в атмосферу для расч
|
| п. Березовка, Березовка генплан, проектный план
|
| 1
|
2
|
3
|
4
|
5
|
6
|
7
|
8
|
9
|
10
|
11
|
12
|
13
|
14
|
15
|
16
|
| 003
|
Птичник №20 б
|
1
|
6168
|
осевой вентилятор
|
1
|
0069
|
2
|
1.4x6
|
5.67
|
50
|
18.0
|
4250
|
1760
|
4264
|
| .3
|
| 003
|
Птичник №16
|
1
|
6240
|
осевой вентилятор
|
1
|
0070
|
1.5
|
0.7x7
|
5.67
|
27.78
|
18.0
|
4400
|
1856
|
4400
|
| 003
|
Птичник №15
|
1
|
2880
|
осевой вентилятор
|
1
|
0071
|
1.5
|
0.7x7
|
5.67
|
27.78
|
18.0
|
4442
|
1856
|
4442
|
Таблица 3.3
|
| ета ПДВ
|
22.12.06
|
| 17
|
18
|
19
|
20
|
21
|
22
|
23
|
24
|
25
|
26
|
| 1715
|
Метантиол
|
0.0001021
|
0.002
|
0.000441
|
| (Метилмеркаптан)
|
| 1819
|
Диметиламин
|
0.002247
|
0.045
|
0.0097
|
| 2603
|
Микроорганизмы и
|
0.000000036
|
0.0000007
|
0.0000001545
|
| микроорганизмы-продуц
|
| енты (отраслей
|
| промышленности:
|
| мукомольной,
|
| комбикормовой,
|
| дрожжевой,
|
| пивоваренной,
|
| кормовых дрожжей,
|
| аминокислот,
|
| ферментов,
|
| биопрепаратов на
|
| основе молочнокислых
|
| бактерий) /по общему
|
| бактериальному счету/
|
| 2920
|
Пыль меховая
|
0.046
|
0.920
|
0.1987
|
| (шерстяная, пуховая)
|
| 1760
|
0303
|
Аммиак
|
0.001508
|
0.030
|
0.0335
|
| 0333
|
Дигидросульфид
|
0.000471
|
0.009
|
0.01045
|
| (Сероводород)
|
| 0337
|
Углерод оксид
|
0.00000917
|
0.0002
|
0.0002035
|
| 1772
|
0303
|
Аммиак
|
0.00405
|
0.146
|
0.91
|
| 0333
|
Дигидросульфид
|
0.00793
|
0.285
|
0.178
|
| (Сероводород)
|
| 0337
|
Углерод оксид
|
0.004065
|
0.146
|
0.0913
|
| 1772
|
0303
|
Аммиак
|
0.00399
|
0.144
|
0.413
|
| 0333
|
Дигидросульфид
|
0.00782
|
0.281
|
0.0811
|
ЭРА v1.7 Логос-Плюс(ЭРА-УПРЗА+ЭРА-ПДВ)
|
| Параметры выбросов загрязняющих веществ в атмосферу для расч
|
| п. Березовка, Березовка генплан, проектный план
|
| 1
|
2
|
3
|
4
|
5
|
6
|
7
|
8
|
9
|
10
|
11
|
12
|
13
|
14
|
15
|
16
|
| 003
|
Птичник №14
|
1
|
2880
|
осевой вентилятор
|
1
|
0072
|
1.5
|
0.7x7
|
5.67
|
27.78
|
18.0
|
4480
|
1856
|
4480
|
| 003
|
Птичник №13а
|
1
|
4800
|
осевой вентилятор
|
1
|
0073
|
2
|
1.4x6
|
5.67
|
50
|
32.0
|
4566
|
1862
|
4584
|
| .3
|
| 003
|
Птичник №13б
|
1
|
4800
|
осевой вентилятор
|
1
|
0074
|
2
|
1.4x6
|
5.67
|
50
|
32.0
|
4566
|
1770
|
4584
|
| .3
|
| 003
|
Цех утилизации,
|
1
|
1250
|
вентилятор
|
1
|
0075
|
7
|
0.4
|
3.98
|
0.5
|
25.0
|
4324
|
2044
|
| котлы-утилизато
|
| ры
|
Таблица 3.3
|
| ета ПДВ
|
22.12.06
|
| 17
|
18
|
19
|
20
|
21
|
22
|
23
|
24
|
25
|
26
|
| (Сероводород)
|
| 0337
|
Углерод оксид
|
0.003994
|
0.144
|
0.0414
|
| 1772
|
0303
|
Аммиак
|
0.00405
|
0.146
|
0.42
|
| 0333
|
Дигидросульфид
|
0.00793
|
0.285
|
0.0822
|
| (Сероводород)
|
| 0337
|
Углерод оксид
|
0.004065
|
0.146
|
0.04215
|
| 1862
|
0303
|
Аммиак
|
0.001492
|
0.030
|
0.0258
|
| 0333
|
Дигидросульфид
|
0.000463
|
0.009
|
0.008
|
| (Сероводород)
|
| 0337
|
Углерод оксид
|
0.00000489
|
0.00010
|
0.0000845
|
| 1770
|
0303
|
Аммиак
|
0.001492
|
0.030
|
0.0258
|
| 0333
|
Дигидросульфид
|
0.000463
|
0.009
|
0.008
|
| (Сероводород)
|
| 0337
|
Углерод оксид
|
0.00000489
|
0.00010
|
0.0000845
|
| 0303
|
Аммиак
|
0.0006
|
1.200
|
0.0075
|
| 0333
|
Дигидросульфид
|
0.0001
|
0.200
|
0.0012
|
| (Сероводород)
|
| 1039
|
Пентан-1-ол (Спирт
|
0.000053
|
0.106
|
0.0006
|
| амиловый)
|
| 1071
|
Гидроксибензол
|
0.00005
|
0.100
|
0.0006
|
| (Фенол)
|
| 1314
|
Пропиональдегид
|
0.0003
|
0.600
|
0.0034
|
| (Альдегид
|
| пропионовый;
|
| Пропаналь;
|
| Метилуксусный
|
| альдегид)
|
| 1401
|
Пропан-2-он (Ацетон)
|
0.00027
|
0.540
|
0.003
|
ЭРА v1.7 Логос-Плюс(ЭРА-УПРЗА+ЭРА-ПДВ)
|
| Параметры выбросов загрязняющих веществ в атмосферу для расч
|
| п. Березовка, Березовка генплан, проектный план
|
| 1
|
2
|
3
|
4
|
5
|
6
|
7
|
8
|
9
|
10
|
11
|
12
|
13
|
14
|
15
|
16
|
| 003
|
Кормоцех,
|
1
|
1250
|
труба
|
1
|
0076
|
7
|
0.4
|
6.1
|
0.7665504
|
25.0
|
4068
|
1884
|
| башмаки норий
|
| 003
|
Цех
|
1
|
250
|
труба
|
1
|
0077
|
10
|
1
|
1.75
|
1.37445
|
10.0
|
4326
|
2066
|
| деревообработки
|
| , станки
|
| 003
|
Цех копчения
|
1
|
500
|
вентилятор
|
1
|
0078
|
6
|
0.4
|
1.46
|
0.1834694
|
25.0
|
4302
|
2020
|
| 003
|
Птичник №17 а
|
1
|
6168
|
осевой вентилятор
|
1
|
0079
|
2
|
1.4x6
|
5.67
|
50
|
24.0
|
4362
|
1862
|
4378
|
| .3
|
Таблица 3.3
|
| ета ПДВ
|
22.12.06
|
| 17
|
18
|
19
|
20
|
21
|
22
|
23
|
24
|
25
|
26
|
| 1519
|
Пентановая кислота
|
0.00034
|
0.680
|
0.0039
|
| (Кислота
|
| валериановая)
|
| 1707
|
Диметилсульфид
|
0.00009
|
0.180
|
0.00006
|
| 1715
|
Метантиол
|
0.000005
|
0.010
|
0.00006
|
| (Метилмеркаптан)
|
| 1819
|
Диметиламин
|
0.00008
|
0.160
|
0.0009
|
| 2937
|
Пыль зерновая /по
|
0.11
|
143.500
|
0.99
|
| грибам хранения/
|
| 2936
|
Пыль древесная
|
0.153
|
111.317
|
0.1377
|
| 0301
|
Азот (IV) оксид
|
0.002
|
10.901
|
0.0036
|
| (Азота диоксид)
|
| 0303
|
Аммиак
|
0.0002
|
1.090
|
0.00036
|
| 0330
|
Сера диоксид
|
0.0006
|
3.270
|
0.00108
|
| (Ангидрид сернистый)
|
| 0337
|
Углерод оксид
|
0.016
|
87.208
|
0.0288
|
| 1071
|
Гидроксибензол
|
0.0054
|
29.433
|
0.00972
|
| (Фенол)
|
| 1314
|
Пропиональдегид
|
0.004
|
21.802
|
0.0072
|
| (Альдегид
|
| пропионовый;
|
| Пропаналь;
|
| Метилуксусный
|
| альдегид)
|
| 2902
|
Взвешенные вещества
|
0.004
|
21.802
|
0.0072
|
| 1862
|
0303
|
Аммиак
|
0.001492
|
0.030
|
0.0331
|
| 0333
|
Дигидросульфид
|
0.000463
|
0.009
|
0.0103
|
ЭРА v1.7 Логос-Плюс(ЭРА-УПРЗА+ЭРА-ПДВ)
|
| Параметры выбросов загрязняющих веществ в атмосферу для расч
|
| п. Березовка, Березовка генплан, проектный план
|
| 1
|
2
|
3
|
4
|
5
|
6
|
7
|
8
|
9
|
10
|
11
|
12
|
13
|
14
|
15
|
16
|
| 003
|
Птичник №17 б
|
1
|
6168
|
осевой вентилятор
|
1
|
0080
|
2
|
1.4x6
|
5.67
|
50
|
24.0
|
4362
|
1764
|
4378
|
| .3
|
| 003
|
Цех копчения,
|
1
|
500
|
вентилятор
|
1
|
0081
|
6
|
0.4
|
1.46
|
0.1834694
|
25.0
|
4306
|
2020
|
| дымогенератор
|
| 003
|
Холодильный цех
|
1
|
520
|
вентилятор
|
1
|
0082
|
2.5
|
0.5
|
4.58
|
0.9
|
18.0
|
4250
|
2026
|
| 003
|
Холодильный цех
|
1
|
520
|
вентилятор
|
1
|
0083
|
2
|
0.5
|
4.58
|
0.9
|
18.0
|
4254
|
2036
|
| ОАО Строитель
|
| 006
|
Котельная
|
1
|
720
|
Котельная
|
1
|
0101
|
10
|
0.4
|
1.2
|
0.1507968
|
60.0
|
1180
|
1273
|
Таблица 3.3
|
| ета ПДВ
|
22.12.06
|
| 17
|
18
|
19
|
20
|
21
|
22
|
23
|
24
|
25
|
26
|
| (Сероводород)
|
| 0337
|
Углерод оксид
|
0.00000489
|
0.00010
|
0.0001086
|
| 1764
|
0303
|
Аммиак
|
0.001492
|
0.030
|
0.0331
|
| 0333
|
Дигидросульфид
|
0.000463
|
0.009
|
0.01029
|
| (Сероводород)
|
| 0337
|
Углерод оксид
|
0.00000489
|
0.00010
|
0.0001086
|
| 1325
|
Формальдегид
|
0.33
|
6.600
|
3.582
|
| 0301
|
Азот (IV) оксид
|
0.003
|
16.352
|
0.0054
|
| (Азота диоксид)
|
| 0303
|
Аммиак
|
0.0003
|
1.635
|
0.00054
|
| 0330
|
Сера диоксид
|
0.0009
|
4.905
|
0.00162
|
| (Ангидрид сернистый)
|
| 0337
|
Углерод оксид
|
0.024
|
130.812
|
0.0432
|
| 1071
|
Гидроксибензол
|
0.0081
|
44.149
|
0.01458
|
| (Фенол)
|
| 1314
|
Пропиональдегид
|
0.006
|
32.703
|
0.0108
|
| (Альдегид
|
| пропионовый;
|
| Пропаналь;
|
| Метилуксусный
|
| альдегид)
|
| 2902
|
Взвешенные вещества
|
0.006
|
32.703
|
0.0108
|
| 0303
|
Аммиак
|
0.019
|
21.111
|
0.0358
|
| 0303
|
Аммиак
|
0.019
|
21.111
|
0.0358
|
| 0301
|
Азот (IV) оксид
|
0.066
|
437.675
|
0.6894
|
ЭРА v1.7 Логос-Плюс(ЭРА-УПРЗА+ЭРА-ПДВ)
|
| Параметры выбросов загрязняющих веществ в атмосферу для расч
|
| п. Березовка, Березовка генплан, проектный план
|
| 1
|
2
|
3
|
4
|
5
|
6
|
7
|
8
|
9
|
10
|
11
|
12
|
13
|
14
|
15
|
16
|
| 006
|
Автотранспорт
|
1
|
2080
|
Автотранспорт
|
1
|
0102
|
5
|
1173
|
1256
|
75
|
| 006
|
Склад угля
|
1
|
1376
|
Склад угля
|
1
|
0103
|
2
|
1173
|
1256
|
3
|
Таблица 3.3
|
| ета ПДВ
|
22.12.06
|
| 17
|
18
|
19
|
20
|
21
|
22
|
23
|
24
|
25
|
26
|
| (Азота диоксид)
|
| 0304
|
Азот (II) оксид
|
0.012
|
79.577
|
0.0124
|
| (Азота оксид)
|
| 0330
|
Сера диоксид
|
0.1962
|
1301.089
|
2.0223
|
| (Ангидрид сернистый)
|
| 0337
|
Углерод оксид
|
1.0701
|
7096.304
|
12.1968
|
| 2908
|
Пыль неорганическая:
|
0.547
|
3627.398
|
6.42
|
| 70-20% двуокиси
|
| кремния (шамот,
|
| цемент, пыль
|
| цементного
|
| производства - глина,
|
| глинистый сланец,
|
| доменный шлак, песок,
|
| клинкер, зола
|
| кремнезем и др.)
|
| 30
|
0301
|
Азот (IV) оксид
|
0.007
|
0.0766
|
| (Азота диоксид)
|
| 0328
|
Углерод (Сажа)
|
0.192
|
2.247
|
| 0330
|
Сера диоксид
|
0.0218
|
0.255
|
| (Ангидрид сернистый)
|
| 0337
|
Углерод оксид
|
0.1189
|
1.3552
|
| 0703
|
Бенз(а)пирен
|
0.0000007
|
0.0000086
|
| (3,4-Бензпирен)
|
| 2704
|
Бензин (нефтяной,
|
0.004
|
0.006
|
| малосернистый) /в
|
| пересчете на углерод/
|
| 2732
|
Керосин
|
0.0005
|
0.0005
|
| 3
|
2909
|
Пыль неорганическая:
|
0.0008
|
0.014
|
| ниже 20% двуокиси
|
| кремния (доломит,
|
| пыль цементного
|
ЭРА v1.7 Логос-Плюс(ЭРА-УПРЗА+ЭРА-ПДВ)
|
| Параметры выбросов загрязняющих веществ в атмосферу для расч
|
| п. Березовка, Березовка генплан, проектный план
|
| 1
|
2
|
3
|
4
|
5
|
6
|
7
|
8
|
9
|
10
|
11
|
12
|
13
|
14
|
15
|
16
|
| ООО РосЦентрПласт
|
| 002
|
склад угля
|
1
|
5808
|
склад угля
|
1
|
6006
|
-92
|
1422
|
11
|
| 002
|
пост сварки,
|
1
|
1040
|
пост сварки,
|
1
|
6013
|
5
|
0.4
|
3.98
|
0.5
|
16.0
|
-214
|
1362
|
| резки
|
резки
|
Таблица 3.3
|
| ета ПДВ
|
22.12.06
|
| 17
|
18
|
19
|
20
|
21
|
22
|
23
|
24
|
25
|
26
|
| производства -
|
| известняк, мел,
|
| огарки, сырьевая
|
| смесь, пыль
|
| вращающихся печей,
|
| боксит и др.)
|
| 15
|
2909
|
Пыль неорганическая:
|
0.000954
|
0.00208992
|
| ниже 20% двуокиси
|
| кремния (доломит,
|
| пыль цементного
|
| производства -
|
| известняк, мел,
|
| огарки, сырьевая
|
| смесь, пыль
|
| вращающихся печей,
|
| боксит и др.)
|
| 0123
|
диЖелезо триоксид
|
0.0010354
|
2.071
|
0.00234
|
| (Железа оксид) /в
|
| пересчете на железо/
|
| 0143
|
Марганец и его
|
0.02366
|
47.320
|
0.05347
|
| соединения /в
|
| пересчете на марганца
|
| (IV) оксид/
|
| 0301
|
Азот (IV) оксид
|
0.012666
|
25.332
|
0.000239
|
| (Азота диоксид)
|
| 0342
|
Фтористые
|
0.0000177
|
0.035
|
0.00004
|
| газообразные
|
| соединения
|
| (гидрофторид, кремний
|
| тетрафторид)
|
ЭРА v1.7 Логос-Плюс(ЭРА-УПРЗА+ЭРА-ПДВ)
|
| Параметры выбросов загрязняющих веществ в атмосферу для расч
|
| п. Березовка, Березовка генплан, проектный план
|
| 1
|
2
|
3
|
4
|
5
|
6
|
7
|
8
|
9
|
10
|
11
|
12
|
13
|
14
|
15
|
16
|
| ООО Литос, Березовский цех
|
| 005
|
карьер
|
1
|
2000
|
экскаватор
|
1
|
6018
|
4435
|
6240
|
3
|
| Березовский,
|
| экскаватор
|
| ЭКГ-5А
|
| 005
|
карьер
|
2
|
2048
|
автотранспорт
|
1
|
6019
|
0.05x
|
1
|
0.0025
|
4435
|
6240
|
100
|
| Березовский,
|
карьерный
|
0.05
|
| автосамосвалы
|
Таблица 3.3
|
| ета ПДВ
|
22.12.06
|
| 17
|
18
|
19
|
20
|
21
|
22
|
23
|
24
|
25
|
26
|
| (Фтористые соединения
|
| газообразные
|
| (фтористый водород,
|
| четырехфтористый
|
| кремний)) /в
|
| пересчете на фтор/
|
| 3
|
2909
|
Пыль неорганическая:
|
0.16335
|
1.1761
|
| ниже 20% двуокиси
|
| кремния (доломит,
|
| пыль цементного
|
| производства -
|
| известняк, мел,
|
| огарки, сырьевая
|
| смесь, пыль
|
| вращающихся печей,
|
| боксит и др.)
|
| 150
|
0301
|
Азот (IV) оксид
|
0.03
|
12000.000
|
0.028
|
| (Азота диоксид)
|
| 0328
|
Углерод (Сажа)
|
0.004
|
1600.000
|
0.0022
|
| 0330
|
Сера диоксид
|
0.004
|
1600.000
|
0.004
|
| (Ангидрид сернистый)
|
| 0337
|
Углерод оксид
|
0.056
|
22400.000
|
0.046
|
| 2754
|
Алканы С12-19
|
0.008
|
3200.000
|
0.0072
|
| (Растворитель
|
| РПК-265П) /в
|
| пересчете на углерод/
|
| 2909
|
Пыль неорганическая:
|
0.144
|
57600.000
|
1.062
|
| ниже 20% двуокиси
|
| кремния (доломит,
|
| пыль цементного
|
ЭРА v1.7 Логос-Плюс(ЭРА-УПРЗА+ЭРА-ПДВ)
|
| Параметры выбросов загрязняющих веществ в атмосферу для расч
|
| п. Березовка, Березовка генплан, проектный план
|
| 1
|
2
|
3
|
4
|
5
|
6
|
7
|
8
|
9
|
10
|
11
|
12
|
13
|
14
|
15
|
16
|
| 005
|
ДСФ
|
1
|
2000
|
дробилки,
|
1
|
6020
|
12x56
|
0.08
|
53.76
|
4135
|
5090
|
12
|
| грохоты,
|
| конвейера
|
| 005
|
ДСФ, склад
|
1
|
2000
|
склад каменных
|
1
|
6021
|
4135
|
5090
|
60
|
| материалов
|
| 005
|
Энергетич
|
1
|
720
|
склад угля
|
1
|
6022
|
4181
|
5015
|
5
|
| пр-во, склад
|
| угля
|
Таблица 3.3
|
| ета ПДВ
|
22.12.06
|
| 17
|
18
|
19
|
20
|
21
|
22
|
23
|
24
|
25
|
26
|
| производства -
|
| известняк, мел,
|
| огарки, сырьевая
|
| смесь, пыль
|
| вращающихся печей,
|
| боксит и др.)
|
| 56
|
2909
|
Пыль неорганическая:
|
0.45996
|
8.556
|
3.57678
|
| ниже 20% двуокиси
|
| кремния (доломит,
|
| пыль цементного
|
| производства -
|
| известняк, мел,
|
| огарки, сырьевая
|
| смесь, пыль
|
| вращающихся печей,
|
| боксит и др.)
|
| 50
|
2909
|
Пыль неорганическая:
|
1.567
|
11.76
|
| ниже 20% двуокиси
|
| кремния (доломит,
|
| пыль цементного
|
| производства -
|
| известняк, мел,
|
| огарки, сырьевая
|
| смесь, пыль
|
| вращающихся печей,
|
| боксит и др.)
|
| 20
|
2909
|
Пыль неорганическая:
|
0.0004
|
0.008
|
| ниже 20% двуокиси
|
| кремния (доломит,
|
| пыль цементного
|
| производства -
|
ЭРА v1.7 Логос-Плюс(ЭРА-УПРЗА+ЭРА-ПДВ)
|
| Параметры выбросов загрязняющих веществ в атмосферу для расч
|
| п. Березовка, Березовка генплан, проектный план
|
| 1
|
2
|
3
|
4
|
5
|
6
|
7
|
8
|
9
|
10
|
11
|
12
|
13
|
14
|
15
|
16
|
| 005
|
ремонтные
|
4
|
1000
|
двероной проем
|
1
|
6023
|
1.1x2
|
0.1
|
0.22
|
4200
|
4945
|
2
|
| станки
|
| 005
|
аккумуляторные
|
27
|
270
|
дверной проем
|
1
|
6024
|
1.1x2
|
0.1
|
0.22
|
4198
|
4955
|
2
|
| батареи
|
| 005
|
сварочный пост
|
1
|
200
|
сварочный пост
|
1
|
6025
|
4135
|
5090
|
20
|
| 005
|
выезд и въезд
|
1
|
2048
|
автотранспорт
|
1
|
6026
|
1
|
0.1x0
|
1
|
0.01
|
4210
|
5114
|
| на а/стоянку
|
.1
|
Таблица 3.3
|
| ета ПДВ
|
22.12.06
|
| 17
|
18
|
19
|
20
|
21
|
22
|
23
|
24
|
25
|
26
|
| известняк, мел,
|
| огарки, сырьевая
|
| смесь, пыль
|
| вращающихся печей,
|
| боксит и др.)
|
| 1
|
0123
|
диЖелезо триоксид
|
0.1568
|
712.727
|
0.568
|
| (Железа оксид) /в
|
| пересчете на железо/
|
| 1
|
0322
|
Кислота серная
|
0.00027
|
1.227
|
0.000108
|
| 20
|
0123
|
диЖелезо триоксид
|
0.008
|
0.006
|
| (Железа оксид) /в
|
| пересчете на железо/
|
| 0143
|
Марганец и его
|
0.001
|
0.0014
|
| соединения /в
|
| пересчете на марганца
|
| (IV) оксид/
|
| 0342
|
Фтористые
|
0.0003
|
0.0002
|
| газообразные
|
| соединения
|
| (гидрофторид, кремний
|
| тетрафторид)
|
| (Фтористые соединения
|
| газообразные
|
| (фтористый водород,
|
| четырехфтористый
|
| кремний)) /в
|
| пересчете на фтор/
|
| 0184
|
Свинец и его
|
0.00036
|
36.000
|
0.00029
|
| неорганические
|
ЭРА v1.7 Логос-Плюс(ЭРА-УПРЗА+ЭРА-ПДВ)
|
| Параметры выбросов загрязняющих веществ в атмосферу для расч
|
| п. Березовка, Березовка генплан, проектный план
|
| 1
|
2
|
3
|
4
|
5
|
6
|
7
|
8
|
9
|
10
|
11
|
12
|
13
|
14
|
15
|
16
|
| ООО Литос, Шумковский цех
|
| 004
|
резерв,
|
1
|
1000
|
экскаватор
|
1
|
6028
|
3x3
|
6
|
54
|
486
|
2974
|
3
|
| экскаватор
|
| ЭКГ-5А
|
| 004
|
автотранспорт
|
2
|
1400
|
грузовые
|
1
|
6029
|
0.1x0
|
10
|
0.1
|
486
|
2959
|
8
|
| карьерный
|
автомобили
|
.1
|
Таблица 3.3
|
| ета ПДВ
|
22.12.06
|
| 17
|
18
|
19
|
20
|
21
|
22
|
23
|
24
|
25
|
26
|
| соединения /в
|
| пересчете на свинец/
|
| 0301
|
Азот (IV) оксид
|
0.0714
|
7140.000
|
0.0483
|
| (Азота диоксид)
|
| 0328
|
Углерод (Сажа)
|
0.01
|
1000.000
|
0.007
|
| 0330
|
Сера диоксид
|
0.00629
|
629.000
|
0.00506
|
| (Ангидрид сернистый)
|
| 0337
|
Углерод оксид
|
1.724
|
172400.000
|
1.028
|
| 2704
|
Бензин (нефтяной,
|
0.271
|
27100.000
|
0.159
|
| малосернистый) /в
|
| пересчете на углерод/
|
| 2754
|
Алканы С12-19
|
0.041
|
4100.000
|
0.024
|
| (Растворитель
|
| РПК-265П) /в
|
| пересчете на углерод/
|
| 3
|
2909
|
Пыль неорганическая:
|
0.16335
|
3.025
|
0.58805
|
| ниже 20% двуокиси
|
| кремния (доломит,
|
| пыль цементного
|
| производства -
|
| известняк, мел,
|
| огарки, сырьевая
|
| смесь, пыль
|
| вращающихся печей,
|
| боксит и др.)
|
| 8
|
0301
|
Азот (IV) оксид
|
0.034
|
340.000
|
0.022
|
| (Азота диоксид)
|
| 0328
|
Углерод (Сажа)
|
0.002
|
20.000
|
0.0018
|
| 0337
|
Углерод оксид
|
0.056
|
560.000
|
0.036
|
| 2754
|
Алканы С12-19
|
0.01
|
100.000
|
0.006
|
ЭРА v1.7 Логос-Плюс(ЭРА-УПРЗА+ЭРА-ПДВ)
|
| Параметры выбросов загрязняющих веществ в атмосферу для расч
|
| п. Березовка, Березовка генплан, проектный план
|
| 1
|
2
|
3
|
4
|
5
|
6
|
7
|
8
|
9
|
10
|
11
|
12
|
13
|
14
|
15
|
16
|
| 004
|
ДСФ, дробилки,
|
13
|
3600
|
дробилки,
|
1
|
6030
|
30.3
|
0.02
|
14.42
|
386
|
2844
|
24
|
| грохоты,
|
грохоты,
|
| конвейеры
|
конвейеры
|
| 004
|
ДСФ, склад
|
1
|
7200
|
склад каменных
|
1
|
6031
|
416
|
2934
|
24
|
| каменных
|
материалов
|
| материалов
|
Таблица 3.3
|
| ета ПДВ
|
22.12.06
|
| 17
|
18
|
19
|
20
|
21
|
22
|
23
|
24
|
25
|
26
|
| (Растворитель
|
| РПК-265П) /в
|
| пересчете на углерод/
|
| 2909
|
Пыль неорганическая:
|
0.148
|
1480.000
|
0.746
|
| ниже 20% двуокиси
|
| кремния (доломит,
|
| пыль цементного
|
| производства -
|
| известняк, мел,
|
| огарки, сырьевая
|
| смесь, пыль
|
| вращающихся печей,
|
| боксит и др.)
|
| 40
|
2909
|
Пыль неорганическая:
|
3.2994
|
228.807
|
42.76012
|
| ниже 20% двуокиси
|
| кремния (доломит,
|
| пыль цементного
|
| производства -
|
| известняк, мел,
|
| огарки, сырьевая
|
| смесь, пыль
|
| вращающихся печей,
|
| боксит и др.)
|
| 20
|
2909
|
Пыль неорганическая:
|
0.2984
|
3.984
|
| ниже 20% двуокиси
|
| кремния (доломит,
|
| пыль цементного
|
| производства -
|
| известняк, мел,
|
| огарки, сырьевая
|
| смесь, пыль
|
| вращающихся печей,
|
ЭРА v1.7 Логос-Плюс(ЭРА-УПРЗА+ЭРА-ПДВ)
|
| Параметры выбросов загрязняющих веществ в атмосферу для расч
|
| п. Березовка, Березовка генплан, проектный план
|
| 1
|
2
|
3
|
4
|
5
|
6
|
7
|
8
|
9
|
10
|
11
|
12
|
13
|
14
|
15
|
16
|
| 004
|
Сварочный пост
|
1
|
200
|
дуговая сварка
|
1
|
6032
|
0.05x
|
6
|
0.015
|
406
|
2800
|
4
|
| стали
|
0.05
|
| 004
|
автотранспорт,
|
2
|
2048
|
автотранспорт
|
1
|
6033
|
0.1x0
|
10
|
0.1
|
390
|
2798
|
140
|
| выезд и въезд
|
.1
|
| на стоянку
|
| ООО ПФ Сибирская губерния
|
| 003
|
склад угля
|
1
|
8760
|
склад угля
|
1
|
6084
|
4062
|
2024
|
100
|
Таблица 3.3
|
| ета ПДВ
|
22.12.06
|
| 17
|
18
|
19
|
20
|
21
|
22
|
23
|
24
|
25
|
26
|
| боксит и др.)
|
| 4
|
0123
|
диЖелезо триоксид
|
0.005
|
333.333
|
0.004
|
| (Железа оксид) /в
|
| пересчете на железо/
|
| 0342
|
Фтористые
|
0.0002
|
13.333
|
0.0002
|
| газообразные
|
| соединения
|
| (гидрофторид, кремний
|
| тетрафторид)
|
| (Фтористые соединения
|
| газообразные
|
| (фтористый водород,
|
| четырехфтористый
|
| кремний)) /в
|
| пересчете на фтор/
|
| 50
|
0301
|
Азот (IV) оксид
|
0.094
|
940.000
|
0.066
|
| (Азота диоксид)
|
| 0328
|
Углерод (Сажа)
|
0.018
|
180.000
|
0.01
|
| 0330
|
Сера диоксид
|
0.01
|
100.000
|
0.006
|
| (Ангидрид сернистый)
|
| 0337
|
Углерод оксид
|
0.524
|
5240.000
|
0.31
|
| 2754
|
Алканы С12-19
|
0.07
|
700.000
|
0.04
|
| (Растворитель
|
| РПК-265П) /в
|
| пересчете на углерод/
|
| 50
|
2909
|
Пыль неорганическая:
|
0.0078327
|
0.24103
|
| ниже 20% двуокиси
|
| кремния (доломит,
|
| пыль цементного
|
ЭРА v1.7 Логос-Плюс(ЭРА-УПРЗА+ЭРА-ПДВ)
|
| Параметры выбросов загрязняющих веществ в атмосферу для расч
|
| п. Березовка, Березовка генплан, проектный план
|
| 1
|
2
|
3
|
4
|
5
|
6
|
7
|
8
|
9
|
10
|
11
|
12
|
13
|
14
|
15
|
16
|
| 003
|
АТХ, резервуары
|
1
|
1280
|
резервуары
|
1
|
6085
|
4298
|
1716
|
67
|
| 003
|
Автотранспорт
|
1
|
500
|
ворота
|
1
|
6086
|
3x4
|
0.5
|
6
|
18.0
|
4162
|
2082
|
Таблица 3.3
|
| ета ПДВ
|
22.12.06
|
| 17
|
18
|
19
|
20
|
21
|
22
|
23
|
24
|
25
|
26
|
| производства -
|
| известняк, мел,
|
| огарки, сырьевая
|
| смесь, пыль
|
| вращающихся печей,
|
| боксит и др.)
|
| 48
|
0333
|
Дигидросульфид
|
0.0001504
|
0.00003282
|
| (Сероводород)
|
| 0415
|
Смесь углеводородов
|
8.06
|
0.1082
|
| предельных С1-С5
|
| 0416
|
Смесь углеводородов
|
1.962
|
0.02636
|
| предельных С6-С10
|
| 0501
|
Пентилены (амилены -
|
0.267
|
0.003586
|
| смесь изомеров)
|
| 0602
|
Бензол
|
0.2136
|
0.002868
|
| 0616
|
Диметилбензол
|
0.01602
|
0.0002152
|
| (Ксилол) (смесь о-,
|
| м-, п- изомеров)
|
| 0621
|
Метилбензол (Толуол)
|
0.1548
|
0.00208
|
| 0627
|
Этилбензол
|
0.00534
|
0.0000717
|
| 2735
|
Масло минеральное
|
0.0000722
|
0.0002548
|
| нефтяное (веретенное,
|
| машинное, цилиндровое
|
| и др.)
|
| 2754
|
Алканы С12-19
|
0.0536
|
0.01168
|
| (Растворитель
|
| РПК-265П) /в
|
| пересчете на углерод/
|
| 0301
|
Азот (IV) оксид
|
0.001042
|
0.174
|
0.00135
|
| (Азота диоксид)
|
| 0328
|
Углерод (Сажа)
|
0.00002517
|
0.004
|
0.0000333
|
| 0330
|
Сера диоксид
|
0.000123
|
0.021
|
0.0001578
|
ЭРА v1.7 Логос-Плюс(ЭРА-УПРЗА+ЭРА-ПДВ)
|
| Параметры выбросов загрязняющих веществ в атмосферу для расч
|
| п. Березовка, Березовка генплан, проектный план
|
| 1
|
2
|
3
|
4
|
5
|
6
|
7
|
8
|
9
|
10
|
11
|
12
|
13
|
14
|
15
|
16
|
| 003
|
Автотранспорт
|
1
|
500
|
ворота
|
1
|
6087
|
3x4
|
0.5
|
6
|
18.0
|
4148
|
2082
|
| 003
|
Автотранспорт
|
1
|
500
|
ворота
|
1
|
6088
|
3x4
|
0.5
|
6
|
18.0
|
4138
|
2082
|
| 003
|
автотранспорт
|
1
|
500
|
ворота
|
1
|
6089
|
3x4
|
0.5
|
6
|
18.0
|
4130
|
2082
|
Таблица 3.3
|
| ета ПДВ
|
22.12.06
|
| 17
|
18
|
19
|
20
|
21
|
22
|
23
|
24
|
25
|
26
|
| (Ангидрид сернистый)
|
| 0337
|
Углерод оксид
|
0.0268
|
4.467
|
0.033
|
| 2704
|
Бензин (нефтяной,
|
0.00396
|
0.660
|
0.00503
|
| малосернистый) /в
|
| пересчете на углерод/
|
| 2754
|
Алканы С12-19
|
0.0002794
|
0.047
|
0.00035
|
| (Растворитель
|
| РПК-265П) /в
|
| пересчете на углерод/
|
| 0301
|
Азот (IV) оксид
|
0.00185
|
0.308
|
0.0027
|
| (Азота диоксид)
|
| 0328
|
Углерод (Сажа)
|
0.0002255
|
0.038
|
0.00033
|
| 0330
|
Сера диоксид
|
0.0002615
|
0.044
|
0.000356
|
| (Ангидрид сернистый)
|
| 0337
|
Углерод оксид
|
0.0052
|
0.867
|
0.0065
|
| 2754
|
Алканы С12-19
|
0.000756
|
0.126
|
0.0003
|
| (Растворитель
|
| РПК-265П) /в
|
| пересчете на углерод/
|
| 0301
|
Азот (IV) оксид
|
0.0000972
|
0.016
|
0.00013
|
| (Азота диоксид)
|
| 0330
|
Сера диоксид
|
0.00003154
|
0.005
|
0.00004
|
| (Ангидрид сернистый)
|
| 0337
|
Углерод оксид
|
0.00904
|
1.507
|
0.011
|
| 2704
|
Бензин (нефтяной,
|
0.000925
|
0.154
|
0.0011
|
| малосернистый) /в
|
| пересчете на углерод/
|
| 0301
|
Азот (IV) оксид
|
0.00155
|
0.258
|
0.00115
|
| (Азота диоксид)
|
| 0330
|
Сера диоксид
|
0.000162
|
0.027
|
0.0005
|
| (Ангидрид сернистый)
|
ЭРА v1.7 Логос-Плюс(ЭРА-УПРЗА+ЭРА-ПДВ)
|
| Параметры выбросов загрязняющих веществ в атмосферу для расч
|
| п. Березовка, Березовка генплан, проектный план
|
| 1
|
2
|
3
|
4
|
5
|
6
|
7
|
8
|
9
|
10
|
11
|
12
|
13
|
14
|
15
|
16
|
| 003
|
автотранспорт
|
1
|
50
|
ворота
|
1
|
6090
|
3x4
|
0.5
|
6
|
18.0
|
4120
|
2082
|
| 003
|
Автотранспорт
|
1
|
500
|
ворота
|
1
|
6091
|
3x4
|
0.5
|
6
|
18.0
|
4108
|
2082
|
| 003
|
Автотранспорт
|
1
|
500
|
ворота
|
1
|
6092
|
3x4
|
0.5
|
6
|
18.0
|
4096
|
2082
|
Таблица 3.3
|
| ета ПДВ
|
22.12.06
|
| 17
|
18
|
19
|
20
|
21
|
22
|
23
|
24
|
25
|
26
|
| 0337
|
Углерод оксид
|
0.0786
|
13.100
|
0.2
|
| 2704
|
Бензин (нефтяной,
|
0.01098
|
1.830
|
0.03
|
| малосернистый) /в
|
| пересчете на углерод/
|
| 0301
|
Азот (IV) оксид
|
0.00586
|
0.977
|
0.007
|
| (Азота диоксид)
|
| 0328
|
Углерод (Сажа)
|
0.0002037
|
0.034
|
0.0002
|
| 0330
|
Сера диоксид
|
0.000628
|
0.105
|
0.0003
|
| (Ангидрид сернистый)
|
| 0337
|
Углерод оксид
|
0.033
|
5.500
|
0.04
|
| 2704
|
Бензин (нефтяной,
|
0.002635
|
0.439
|
0.003
|
| малосернистый) /в
|
| пересчете на углерод/
|
| 2754
|
Алканы С12-19
|
0.001998
|
0.333
|
0.001
|
| (Растворитель
|
| РПК-265П) /в
|
| пересчете на углерод/
|
| 0301
|
Азот (IV) оксид
|
0.001904
|
0.317
|
0.002
|
| (Азота диоксид)
|
| 0330
|
Сера диоксид
|
0.0002194
|
0.037
|
0.00015
|
| (Ангидрид сернистый)
|
| 0337
|
Углерод оксид
|
0.098
|
16.333
|
0.1
|
| 2704
|
Бензин (нефтяной,
|
0.01367
|
2.278
|
0.01
|
| малосернистый) /в
|
| пересчете на углерод/
|
| 0301
|
Азот (IV) оксид
|
0.0200448
|
3.341
|
0.0006983
|
| (Азота диоксид)
|
| 0328
|
Углерод (Сажа)
|
0.001945
|
0.324
|
0.000013363
|
| 0330
|
Сера диоксид
|
0.00255352
|
0.426
|
0.000083084
|
| (Ангидрид сернистый)
|
| 0337
|
Углерод оксид
|
1.069627667
|
178.271
|
0.033810018
|
ЭРА v1.7 Логос-Плюс(ЭРА-УПРЗА+ЭРА-ПДВ)
|
| Параметры выбросов загрязняющих веществ в атмосферу для расч
|
| п. Березовка, Березовка генплан, проектный план
|
| 1
|
2
|
3
|
4
|
5
|
6
|
7
|
8
|
9
|
10
|
11
|
12
|
13
|
14
|
15
|
16
|
| 003
|
Автотранспорт
|
1
|
500
|
ворота
|
1
|
6093
|
3x4
|
0.5
|
6
|
18.0
|
4090
|
2056
|
| 003
|
Сварка, резка
|
1
|
375
|
ворота
|
1
|
6094
|
3x4
|
0.5
|
6
|
18.0
|
4090
|
2090
|
Таблица 3.3
|
| ета ПДВ
|
22.12.06
|
| 17
|
18
|
19
|
20
|
21
|
22
|
23
|
24
|
25
|
26
|
| 2704
|
Бензин (нефтяной,
|
0.3422306
|
57.038
|
0.007252
|
| малосернистый) /в
|
| пересчете на углерод/
|
| 2754
|
Алканы С12-19
|
0.011669
|
1.945
|
0.0000842
|
| (Растворитель
|
| РПК-265П) /в
|
| пересчете на углерод/
|
| 2902
|
Взвешенные вещества
|
0.0226
|
3.767
|
0.00244
|
| 0301
|
Азот (IV) оксид
|
0.00355
|
0.592
|
0.00833
|
| (Азота диоксид)
|
| 0328
|
Углерод (Сажа)
|
0.000411
|
0.069
|
0.000964
|
| 0330
|
Сера диоксид
|
0.000432
|
0.072
|
0.00094
|
| (Ангидрид сернистый)
|
| 0337
|
Углерод оксид
|
0.00727
|
1.212
|
0.01456
|
| 2754
|
Алканы С12-19
|
0.001216
|
0.203
|
0.002567
|
| (Растворитель
|
| РПК-265П) /в
|
| пересчете на углерод/
|
| 0123
|
диЖелезо триоксид
|
0.0717
|
11.950
|
0.066
|
| (Железа оксид) /в
|
| пересчете на железо/
|
| 0143
|
Марганец и его
|
0.004721
|
0.787
|
0.003832
|
| соединения /в
|
| пересчете на марганца
|
| (IV) оксид/
|
| 0301
|
Азот (IV) оксид
|
0.0178
|
2.967
|
0.00513
|
| (Азота диоксид)
|
| 0337
|
Углерод оксид
|
0.0176
|
2.933
|
0.0053
|
| 0342
|
Фтористые
|
0.001186
|
0.198
|
0.001
|
| газообразные
|
| соединения
|
| (гидрофторид, кремний
|
ЭРА v1.7 Логос-Плюс(ЭРА-УПРЗА+ЭРА-ПДВ)
|
| Параметры выбросов загрязняющих веществ в атмосферу для расч
|
| п. Березовка, Березовка генплан, проектный план
|
| 1
|
2
|
3
|
4
|
5
|
6
|
7
|
8
|
9
|
10
|
11
|
12
|
13
|
14
|
15
|
16
|
| 003
|
Пометохранилище
|
1
|
2000
|
площадь, занятая
|
1
|
6095
|
4752
|
1960
|
263
|
| пометом
|
| 003
|
Кормоцех,
|
1
|
1250
|
башмаки норий
|
1
|
6096
|
2
|
2
|
0.1
|
0.31416
|
25.0
|
4044
|
1916
|
| башмаки норий
|
| Таблица 3.3
|
| ета ПДВ
|
22.12.06
|
| 17
|
18
|
19
|
20
|
21
|
22
|
23
|
24
|
25
|
26
|
| тетрафторид)
|
| (Фтористые соединения
|
| газообразные
|
| (фтористый водород,
|
| четырехфтористый
|
| кремний)) /в
|
| пересчете на фтор/
|
| 263
|
0303
|
Аммиак
|
0.00025
|
0.00157
|
| 0333
|
Дигидросульфид
|
0.000044
|
0.000277
|
| (Сероводород)
|
| 2937
|
Пыль зерновая /по
|
0.42
|
1336.898
|
3
|
| грибам хранения/
|
|